Station Name: Edinburgh Scotland Street

[Source: Nick Catford]

Date opened: 31.8.1842
Location: North from the end of Scotland Street
Company on opening: Edinburgh Leith & Newhaven Railway
Date closed to passengers: 22.5.1868
Date closed completely: 22.5.1868
Company on closing: North British Railway
Present state: Demolished - the site is now a children's playground and park
County: Lothian
OS Grid Ref: NT254747
Date of visit: 20.9.2006

Notes: For a detailed history of Edinburgh Leith & Newhaven Railway including Canal Street Station, Scotland Street Station and the Scotland Street Tunnel see the Subterranea Britannica web site.


Edinburgh Scotland Street station looking south c.1960.
Photo from Bill Lynn collection

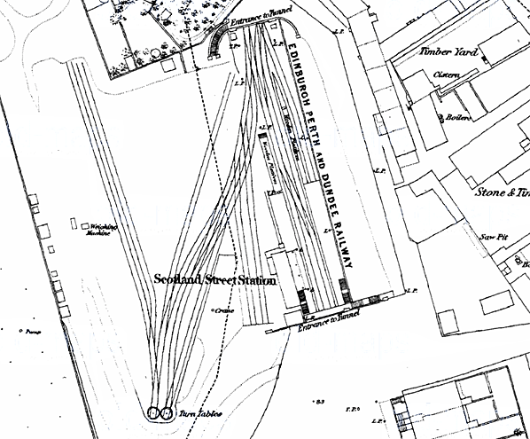
1853 1:1.056 town plan

1876 1:1.056 town plan



The site of Edinburgh Scotland Street station in January 1967.When the station opened in 1842 the tunnel had not been built. The passenger station was on the right side of the picture
Photo by John Hulme

The site of Edinburgh Scotland Street Station today. The red car in the centre of the picture is on to of the north portal of Scotland Street tunnel. The station was in the
clearing to the west (left) of the tunnel portal
.

Tickets from Michael Stewart

 

 

 

[Source: Nick Catford]


Home Page
Last updated: Thursday, 18-May-2017 11:15:12 CEST
© 1998-2006 Disused Stations