RAILWAYS AT BIDSTON

[Source: Paul Wright]

1866 to 1895
Bidston was a small settlement at the northern end of the Wirral Peninsula. It stood towards the bottom of Bidston Hill and, to its north, lay flat expanses of marsh land and sand dunes that in turn bordered the Irish Sea. Bidston was an unlikely location for a complex railway layout to develop, but that is exactly what did happen by the end of the 19th Century.

The first railway to open at Bidston was the Hoylake Railway which received its Royal Assent on 28th July 1863. Beginning in late 1864 much work was needed at Bidston to fill in the marsh so that the line could cross it. This railway opened to regular traffic between Dock station in Birkenhead and Hoylake on 2nd July 1866. It was only 5.4 miles long and single-track. Stations were primitive, consisting of timber structures with low cinder platforms. A station with a loop, allowing trains to pass, opened at Bidston to serve the village.

Being isolated from any other part of the network, the Hoylake Railway was beset with financial difficulties from the start. Initially it had been the company’s aim to build extensions that would reach North Wales. Despite obtaining Acts to do this, finances prevented work from ever starting. The line went into receivership on 13th February 1869, but the receivers kept it running in the hope that it could be sold as going concern.

On 1st July 1872 the Hoylake Railway was taken over by the Hoylake & Birkenhead Rail & Tramway Company (BR&TC). The BR&TC constructed a tramway from the Dock station to the ferry terminal at Birkenhead Woodside. This made the line more useful as passengers could now reach the main centres of population.

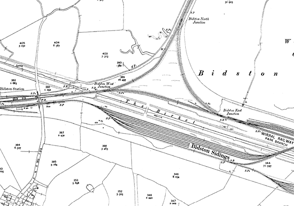
The northeast corner of the Wirral Peninsula as shown on the OS Map of 1952 clearly shows the railway layout at Bidston and the connecting lines. Towards the left of the map coming up from the south is the former GCR/WM&CQR line from Wrexham. It can be seen joining the former Wirral Railway just to the west of Bidston station. The junction at this location being Bidston Dee Junction. To the south of Bidston station can be seen a line that is shown as a goods route. It runs parallel with the Wirral Railway and opens out into sidings to the east of Bidston Station. This line and sidings was part of the GCR/WM&CQR and was used by goods services. At the easternmost end of these lines can be seen Bidston Locomotive Shed. The link from the sidings to the Birkenhead docks which opened in 1907 (when the GCR had full ownership) can be seen crossing the River Birkett by a bridge and the former Wirral Railway on the level.

Returning to the Wirral Railway at Bidston station to the east of the station there is a triangle of lines. The western corner was Bidston West Junction, the eastern was Bidston East Junction and to the north was Bidston North Junction. A little further to the north of the triangle is another junction which was Seacombe Junction. The line shown going west from Bidston was the route of the original Hoylake Railway which became the West Kirby line of the Wirral Railway. Going east the line originally ran to Birkenhead Dock but it was extended to Birkenhead Park where there was a connection with the Mersey Railway which provided a route through to Liverpool. From 1938 with electrification of the former Wirral Railway by the LMS a through route to Liverpool was created.

Going north can be seen the Wirral Railway New Brighton Branch. Branching off from the New Brighton Branch at Seacombe Junction can be seen the line to Seacombe. Also worthy of observation is the extensive system of railways within the dock complex. It was the docks at Birkenhead and Wallasey that led to there being so many railways in such a small area


Railway Clearing House map of the railways at Bidston as they were in 1915. The Wirral Railway network is shown coloured green and the Great Central in pink.

In 1953 a new line was opened that ran from a point on the New Brighton Branch between Bidston North Junction and Seacombe Junction to the Bidston Dock. The branch was opened to facilitate the movement of imported iron ore from the docks at Birkenhead to the Summers Steelworks at Shotton. As well as the branch opening, the dock was also extended and unloading facilities were created. The Bidston Dock branch was used by iron ore trains from 1953 until 1980. Its last regular use was in 1986. It is indicated on this 1961 OS map by a blue arrow.

On 1st April 1878 the line was extended by over a mile to West Kirby at its western end, and for a short distance into the Birkenhead dock system at its eastern end where it connected with the Mersey Dock Board Railway; this ended its physical isolation. In 1879 the line became the Seacombe, Hoylake & Deeside Railway Company (SH&DRC) recognising its aspirations to build a line to Seacombe, in the town of Wallasey, where there was also a ferry terminal, and to Deeside where connections would be made with the Wrexham. Mold & Connah’s Quay Railway (WM&CQR). However it was not until 2nd January 1888 that extensions opened. One was to New Brighton, which initially reached what was to become Wallasey Grove Road station by January, but was completed in August 1888. There was also a line to Birkenhead Park connecting with the Mersey Railway which ran under the river to Liverpool. In June 1890 Bidston Station closed as there were insufficient passengers.

Looking west from the footbridge at the east end of Bidston station in the early years of the 20th Century. The double track line to the left was at that time the GCR route between Bidston sidings and Wrexham. The lines to the right on which Bidston station stood were part of the WR West Kirby line. At the west end of the station can be seen Dee Junction which was the connection
between the GCR and WR systems
Photo from John Mann collection

In 1891 the SH&DRC became the Wirral Railway (WR). The Seacombe branch finally opened on 1st June 1895. During these works the West Kirby line was doubled - an operation completed by 23rd May 1895.

1911 1:2,500 OS map of Bidston station

To the east of Bidston station, the New Brighton line branched northwards off the original route. A triangular junction was laid out so that trains could run from the north to the east and west. Bidston North and East Junctions were controlled by their own signal boxes while Bidston North Junction was controlled by Seacombe Junction box. A short distance north of Bidston North Junction the Seacombe branch veered off to the east at what became known as Seacombe Junction No.1; this junction was also controlled by Seacombe Junction signal box. These new lines produced a complex and busy railway layout at Bidston. North of the original line and east of Bidston East Junction, extra sidings were laid out to handle dock traffic.

1911 1:2,500 OS map showing the triangular junction and sidings east of Bidston station.

1895 to 1923
During the late 1880s, thought was once again given to creating a link to North Wales. However it took a large company, the Manchester, Sheffield & Lincolnshire Railway (MS&LR) to move things forward. They persuaded the WM&CQR to form a joint company, the Dee & Birkenhead Committee (D&BC), to build a line from Hawarden Bridge to Bidston. Work began on 21st October 1892 and it opened on 18th May 1896. On 7th August 1896 the D&BC became the North Wales & Liverpool Railway Company (NW&LRC) and on 1st August 1897 the MS&LR changed its name to the Great Central Railway (GCR).

The new line made a physical connection with the WR at Dee Junction at the western end of Bidston station. Bidston Dee Junction signal box was north of the line. As well as making a physical connection, the NW&LRC owned a line parallel to the WR on its south side which opened out into a large area of sidings just south of the WR’s Bidston triangle. Beyond the sidings

sidings Bidston locomotive shed was opened. Bidston station also reopened at this time, but rebuilt with an island platform. Two timber buildings were provided reached by a footbridge at the east end. The buildings were of timber to keep the weight to a minimum on the marshy ground.

Looking west at Bidston Dee Junction from the west end of Bidston station in March 2011. The line curving off to the left is the former Dee and Birkenhead Railway that provided a connection from the Wrexham, Mold and Connah's Quay Railway and from the Manchester Sheffield and Lincolnshire Railway networks to the River Mersey via Bidston. The line going straight on is the former Wirral railway route to West Kirby. Dee Junction signalbox had stood to the right of the
picture until the 20th of November 1994
P
hoto by Paul Wright

Passenger services operated over the new line from both Wrexham and Chester Northgate. At first they terminated at Bidston, but from 1st May 1898 they ran over the WR route to Seacombe which became the northern terminus for GCR passenger services.

On 1st January 1905 the NW&LRC was vested in the GCR which also took over the WM&CQR on the same date. The WM&CQR had, in fact, been insolvent since 1897 as a result of its involvement with the line to Bidston. From February 1901 the GCR had been the sole provider of locomotives on the line, but previously some WM&CQR engines did work to Bidston. 

The former GCR shed at Bidston looking east in 1953. the shed was the closest that the GCR got to the River Mersey and the the docks at Birkenhead. Access to the river and docks for the GCR had to be via the Wirral Railway's lines. The building to its right is a carriage shed. (see 1899 map above)
Photo from John Mann collection

Goods traffic from the GCR, to be worked beyond Bidston and into the docks at Birkenhead, had to enter the GCR sidings. They then had to reverse out onto the Wrexham line and proceed onto the WR. This procedure reflected WR’s requirement that goods wagons should be worked forward into the docks by their own locomotives. The movements proved awkward and interfered with traffic on both the Wrexham and West Kirby lines. With the opening of Seacombe, passenger traffic to and from West Kirby had grown and services were frequent; in addition there were the Wrexham and Chester services. To address this problem, a new connection opened in 1907 from the Bidston GCR sidings to Birkenhead Docks, crossing the River Birkett on a wooden trestle bridge, and the WR on the level.


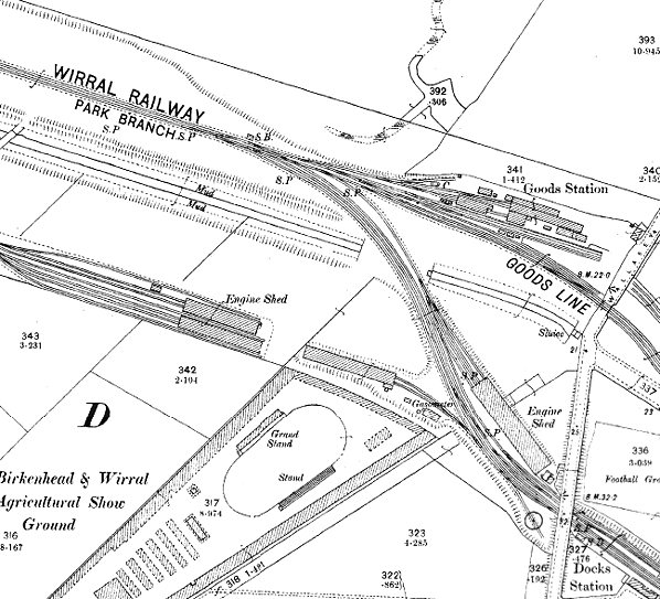
1899 1:2,500 OS map showing the sheds at Bidston. The Bidston shed is the upper of the two 2-road buildings on the left, the lower building was a carriage shed. Just to the right of these are two buildings of 2 roads and 4 roads, each side of a main line; that to the right marked engine shed - both were Wirral Railway carriage sheds, and the one to the right is incorrectly shown as an engine shed by OS.

There is another engine shed shown and not marked as such. To the left of the goods station there are two adjoining long buildings, the lower of which has two tracks entering and one leaving at the rear - this was the Wirral Railway's Birkenhead North engine shed and workshops
(later LMS). Click here for two pictures.

1923 – 1948
On 1st January 1923, the WR became part of the London, Midland & Scottish Railway (LMS) whilst the GCR became part of the London & North Eastern Railway (LNER). At first trains continued to operate as before. LNER passenger trains passed through Bidston, running between Seacombe and either Chester Northgate or Wrexham Central. LMS passenger trains operated between Seacombe and West Kirby, and between Birkenhead Park and West Kirby. All of these services called at Bidston station. In addition services from Birkenhead Park to New Brighton or Seacombe operated over the Bidston East curve. A large amount of goods continued to pass into the docks. The Bidston locomotive shed was provided with a large number of LNER goods engines to cope with the work.

Bidston West signal box closed in 1933, and Dee Junction box took over the operation of the West Junction.

Looking west from the footbridge at the east end of Bidston Station. The picture was taken in the late 1930s after the line to West Kirby had been electrified. Dee Junction lies just beyond the station providing a connection between the West Kirby and the Wrexham lines. At this time the Wrexham line was an LNER route whilst the West Kirby line was LMS. To the far left can be seen the LNER line to Bidston sidings and locomotive shed. Note the new platform building between the two original buildings (compare with picture above)
Copyright photo from John Alsop collection

The WR passenger services had become so busy that the LMS considered electrification of the former WR network to allow through running to Liverpool via the Mersey Railway, which had been electrified in 1903. Electrification was authorised for all the lines except the Seacombe branch, and work was completed by February 1938. Electric trains began to operate passenger services from 14th March 1938. At Bidston, the west junction was altered slightly during the electrification. Dee Junction signal box was replaced with a larger LMS structure. Electrification at Bidston included the main lines between Birkenhead and West Kirby, the west and east curves of the triangle, the New Brighton route, and some sidings east of East Junction that connected into a new electric train depot at Birkenhead North. Regular electric trains ran between Liverpool and West Kirby, and between Liverpool and New Brighton; some services also ran between New Brighton and West Kirby over the west curve. The LMS withdrew its passenger service between Seacombe and West Kirby, but the LNER continued to operate trains between Seacombe and Wrexham Central/Chester Northgate. Passengers wanting to travel between Seacombe and West Kirby were encouraged to use these services and change at Bidston, which took on an important interchange role. The electric services were very successful, and numbers of passengers increased.

Looking southwest along the route of the Bidston Dock branch towards the site of Bidston North Junction in April 2011.
Photo by Paul Wright

1948 – 1994
On 1st January 1948 most of the railways at Bidston became part of the nationalised British Railways’ London Midland Regio (LMR). Immediately south of Bidston, however, the former LNER line towards Wrexham was allocated to the Eastern Region, but it was transferred to the LMR after a few months. In 1952 the Summers Steel works at Shotton expanded its operations and now required high volumes of imported iron ore. Agreement was reached to develop unloading facilities at Bidston Dock. British Railways opened a new branch from a point midway between Bidston North Junction and Seacombe Junction No.1 through to Bidston Dock; Seacombe Junction signal box was altered to operate the new junction. The first train ran from Bidston Dock to Shotton Steelworks on 18th September 1952. After that date there were about eight trains per day although sometimes, if ships were delayed, there would be none, and then workings both day and night to catch up. Bidston shed became the main stabling point for the locomotives that hauled the ore trains. This was the busiest time for the lines around Bidston.

In the late 1950s, Bidston motive power depot received an allocation of the new British Railways Standard Class 9F locomotives, specifically for the heavy iron ore traffic.

On 4th January 1960, the passenger service between Seacombe and Wrexham/Chester was diverted into New Brighton. The Seacombe branch closed to passengers on that date, but goods services to Seacombe continued until 5th December 1960, when the branch was cut back to Poulton. The remaining stub closed on 17th June 1963 and Seacombe Junction No.1 was removed.

On 11th February 1963 Bidston MPD closed and its locomotives were transferred to Birkenhead Mollington Street depot; they then reached Bidston via the dock lines. The former GCR Bidston Sidings closed on 29th June 1968.

Looking east from the footbridge at Bidston station in April 2011. The trackbed of the GCR route to their Bidston Sidings and locomotive shed can be seen to the right of the metal fence. To the left can be seen the Birkenhead and West Kirby line.
Photo by Paul Wright

For the rest of the 1960s, passenger services remained unaltered until 1968 when the service to Chester Northgate was withdrawn. This left the Wrexham trains as the only passenger service over the former GCR route.

In 1969 the electric train services were branded Merseyrail Wirral Line. Wrexham trains were diverted on Mondays to Saturdays to run to Birkenhead North from 4th January1971; Sunday trains continued to operate to New Brighton until 11th January 1976. The service was cut back to Bidston on 2nd October 1978. From 11th January 1976 the only booked passenger service over Bidston triangle west curve was a single Saturdays-only New Brighton to West Kirby Service.

Shotton steelworks cut back its production in 1980 making thousands redundant in one day. There was no further need for imported Iron ore, and the last train ran on 2nd April 1980. On 28th November 1983 the last passenger service ran over the west curve, and it was closed completely and lifted shortly afterwards. From 8th July 1985 until 9th May 1986 coal was imported to Bidston Dock and moved by rail to Fiddlers Ferry power station. It went out via the dock branch, over the east curve, and then via the dock lines to Rock Ferry.

The site of Bidston North Junction looking north in April 2011. The junction closed in November 1983. The home signal post that served the Bidston Triangle west curve at Bidston North Junction can be seen on the left.
Photo by Paul Wright

After that there were sporadic movements of coal, but the very last train departed from Bidston Dock on15th November 1989.

Seacombe Junction box closed on 13th March 1988, and it was destroyed by fire shortly afterwards. The junction between the Bidston Dock branch and the New Brighton line was removed in 1989. A new connecting link between the dock branch and the dock lines at Birkenhead North was ready for use by 6th November 1989; it appears never to have been used. Many of the sidings at Bidston Dock were lifted in the 1990s, and the dock itself was later filled in.

In the early 1990s British Rail began to re-signal the electrified Merseyrail lines on both sides of the Mersey. They completed a signalling centre at Sandhills in Liverpool by 1994. Bidston East Junction signal box closed on 15th September 1994 after the last booked train had left. Bidston Dee Junction closed on 17th September 1994. Both boxes were then demolished. At the same time, a siding opened on the south west end of the former west curve for the use of Wrexham passenger services.

1994 - Present
In 1994 British Rail was privatised. The railways at Bidston, although a shadow of their former selves, have remained busy with passenger traffic. Regular Merseyrail services now run at 15-minute frequencies throughout the day. The Wrexham service had stabilised at an hourly Monday-to-Saturday frequency by the late1990s, and it was branded the Borderlands Line. The only non-passenger services running at Bidston in the 21st century have been engineers’ trains and empty passenger stock off the Merseyrail system for refurbishment or major servicing; these trains run via the Wrexham line.

In 2010 Bidston station was improved with the addition of a new ticket office and waiting room.


A Wrexham Central train prepares to depart from Bidston station in March 2011.
Photo by Paul Wright

Ticket from Michael Stewart

Sources:

Click here for more pictures of the Bidston area

 

 

 

[Source: Paul Wright]




Last updated: Thursday, 18-May-2017 17:17:09 CEST
© 1998-2011 Disused Stations