HARROGATE TO NORTHALLERTON
Views from a the window of a Liverpool - Newcastle express on Saturday 4th March 1967, the last day of passenger service on this line
Photos by Alan Brown

Passing stored waggons on Leeds Northern lines.


Alongside Leeds Northern lines on Cordio Loop.

Looking southwards, the East Coast Main Line is to the left.

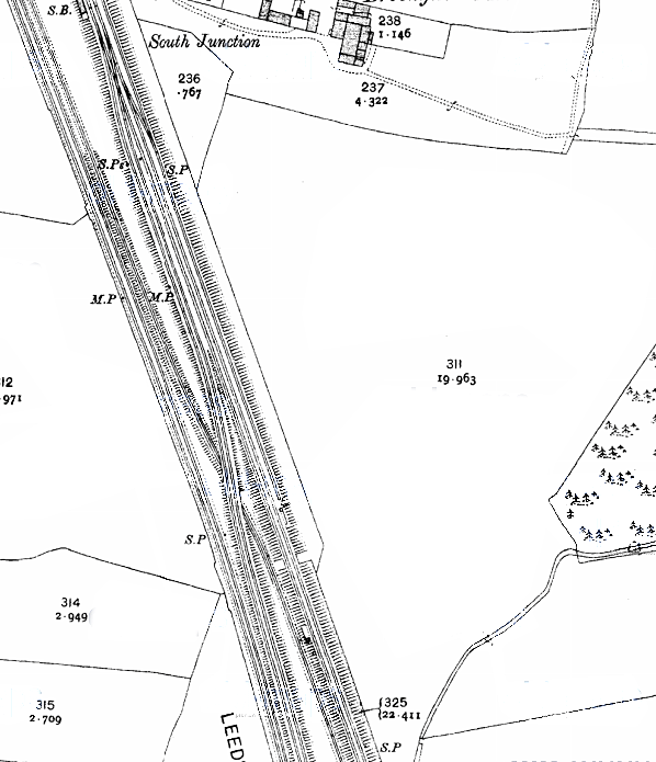
1913 1:2500 OS map.

Taking the down Cordio line onto the East Coast main line at Northallerton.

Down outer platform at Northallerton


A1 Pacific at Cordio Junction heading north from the Ripon line in August 1964. The photographer is standing at the south end of the southbound platform at Northallerton.

A Liverpool express hauled by D188 heads on to the Ripon line at Cordio Junction in 1966.
The photographer is standing at the south end of the southbound platform at Northallerton.


 

 

 

[Source: Nick Catford]




Last updated: Thursday, 18-May-2017 17:20:45 CEST
© 1998-2010 Disused Stations