|
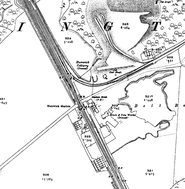
Notes: Hunwick station had two facing platforms on the south side of the Station Road level crossing. The main station building was on the down platform and built of stone. It comprised a two storey stationmaster's house at right angles to the platform with an adjacent single storey booking office. There was another stone building on the down platform adjacent to the crossing; this contained waiting rooms and toilets. There was a timber waiting room on the up platform. The two platforms were spanned by a a lattice footbridge at the north end of the platform. At some time before 1920, the platforms were lengthened. The goods yard comprised a single siding running behind the up platform from the south. The station only had basic goods facilities, handling general goods and parcels but not livestock.
In 1911 the station served a local population of 3143 with 40982 tickets being issued that year. On the north side of the level crossing at Hunwick sidings served Hunwick
Colliery and Hunwick Tilery and Brickworks. A signal box on the north side of the crossing on the up side controlled access to the goods yard and colliery and brickworks sidings. In 1911 14030 bricks, 11366 tons of clay/gannister and 4847 sanitary tubes were despatched from the works. By 1920 the brickworks had closed and the sidings had been lifted. Hunwick Colliery closed on 20 August 1921 although some of the sidings were retained as part of a mineral line serving Newfield and other local collieries with connections to Crook and Spennymoor. Freight facilities were withdrawn
from Hunwick on 15 September1958
BRIEF HISTORY OF THE BISHOP
AUCKLAND - DURHAM BRANCH LINE
The first railway to Bishop Auckland opened in 1843 as an extension
of The Stockton & Darlington Railway from South Church to
The Wear Valley and the town eventually developed into an important
interchange point with lines radiating to all parts of the railway
network including Darlington, Crook (until 1939 this was a through
route to Swalwell on Tyneside via Tow Law, Consett Steel Works
[Derwent Iron Co], Shotley Bridge and the Derwent Valley) &
Weardale, Spennymoor, Barnard Castle and Durham. The station
was unusual in shape being triangular, it was no problem if
a locomotive needed turning.
 |
The line between Bishop Auckland and Durham opened to freight
19.8.1856 and to passengers on 1.4.1857 with three intermediate
stations at Hunwick, Willington and Brancepeth. A forth station
serving Brandon Colliery was added on 1861. To the North the
branch joined the ECML at Rellymill Junction South of Durham
where a line also trailed in from the |
left from the Lanchester Valley and Consett. Deerness
Valley Junction sited just south of Rellymill Junction on
the Bishop Auckland line was a three way junction with the Waterhouses
branch trailing in from the west and a spur to Lanchester Valley
and Consett leaving to the North-West.
The line also served a number of collieries including Hunwick
Colliery with a line to Newfield Colliery and Brickworks from
Hunwick Station, West Hunwick Colliery, Rough Lea Colliery,
Willington and Sunnybrow Collieries via a link to The West Durham
Railway, Brancepeth Colliery (with a colliery line to Oakenshaw
Colliery), Brandon Colliery (with a colliery line to Brandon
Pit House Colliery).
The line was occasionally used by mainline express traffic
diverting to avoid engineering works between Darlington and
Durham.
| The Sunderland - Durham - Bishop Auckland passenger service
ceased in May 1964 although it was re-opened for one day in
July 1964 for Miners Gala trains from Brandon, Waterhouses,
Ushaw Moor and Fencehouses and a few other stations. Freight
facilities were withdrawn from Brancepeth, Willington &
Brandon Colliery from 10.8.1964 (Hunwick lost its |
 |
freight service
in 1958) although the line remained in use for freight for a
further four years.
Since closure, Rellymill Junction to Deerness Valley Junction
has been incorporated into a realigned East Coast Main Line
which has had its curve eased to increase line speed. Much of
the remainder of the line has now been converted into the 9.5
mile Brandon
- Bishop Auckland Railway Path. The path begins at Broompark
Picnic Area. It passes through the villages of Brandon, Brancepeth
and Willington before reaching its end at the Newton Cap Viaduct,
near Bishop Auckland. The Durham platforms at Bishop Auckland
have gone and the site is now a Halfords store.
Further reading: Durham's
Railways by Charlie Emett - Sutton Publishing 1999
ISBN: 0750920769. Tickets from Michael Stewart
To see the other
stations on the Bishop Auckland - Durham branch line click on
the station name: Bishop
Auckland, Willington,
Brancepeth &
Brandon Colliery
|