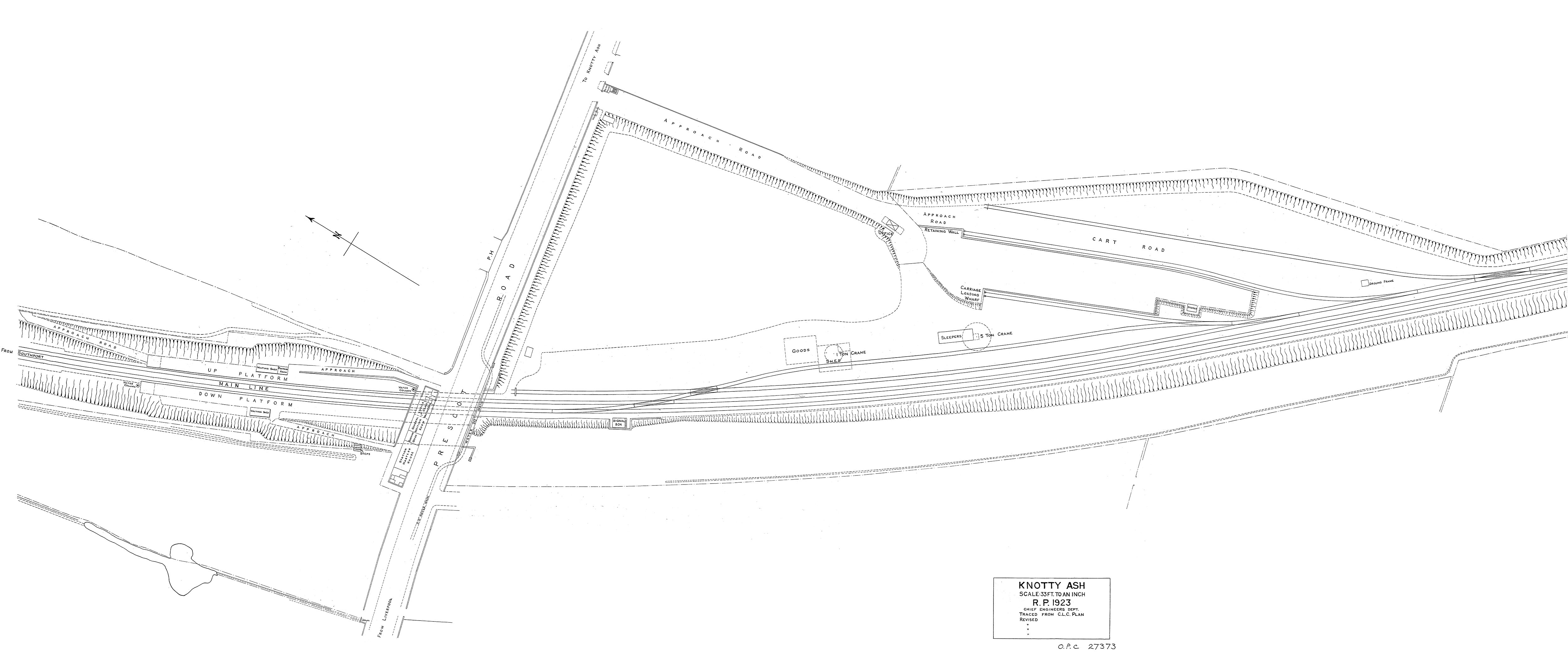
KNOTTY ASH STATION PLAN - 1923

[Source: Nick Catford]


Home Page
Last updated: Sunday, 21-May-2017 10:00:01 CEST
© 2004-2016 Disused Stations