Station Name: ROCHDALE (First Station)

[Source: Alan Young]



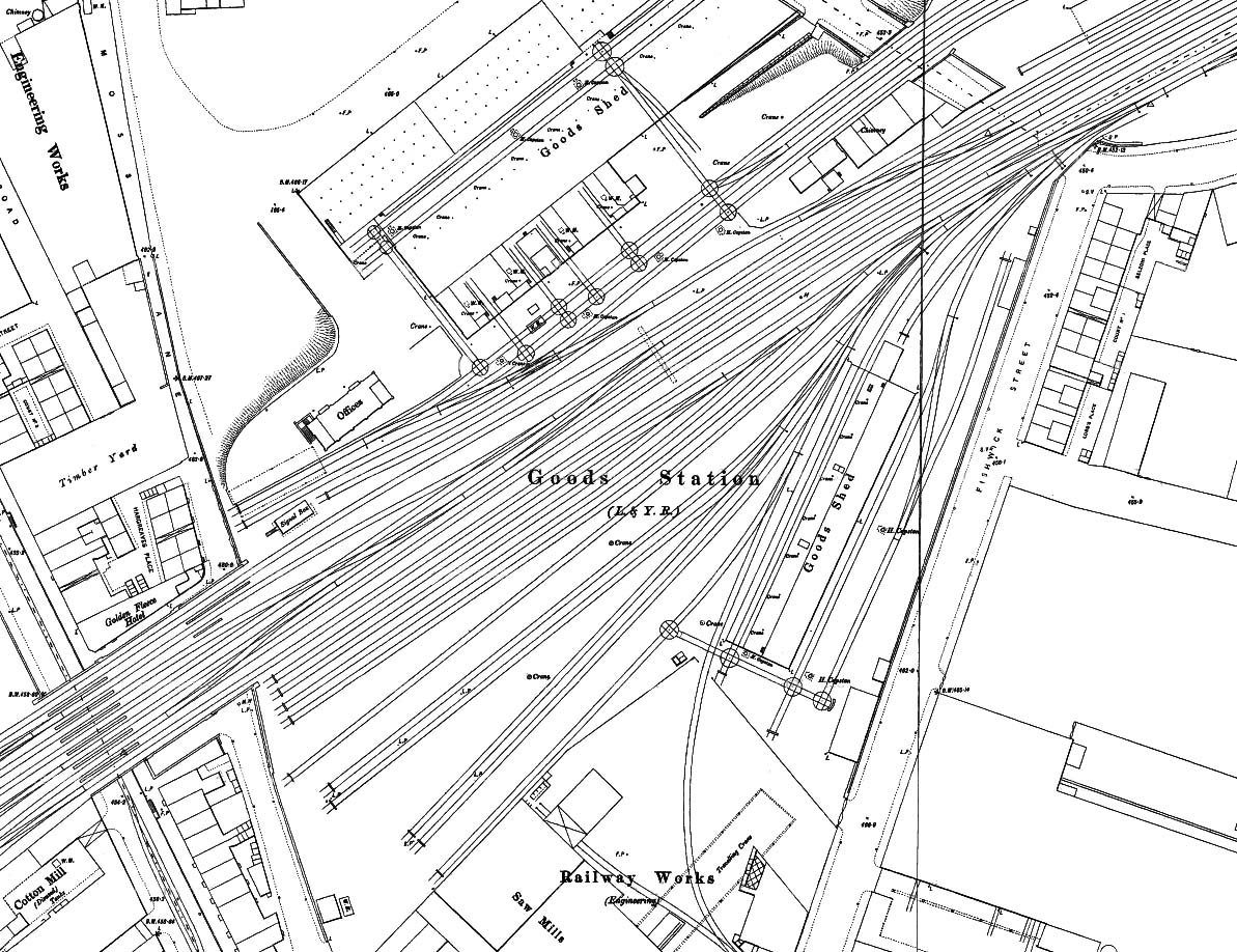
Apart from the station building the original station, closed in 1889, has been swiftly demolished to enable its site to be incorporated into the greatly enlarged ‘Goods Station (L&YR)’. An ambitious development of sidings and a railway workshop have been added on the up side, encompassing the site of the former up passenger platform and the carriage shed. A goods warehouse has also been added on the up side. To the north-east are Milnrow Road Coal Sidings (constructed in 1884), identified as ‘Mineral Yard’ on the map, plus a further goods shed.

Last updated: Monday, 22-May-2017 13:02:40 CEST
© 1998-2016 Disused Stations