Station Name: BRECK ROAD

[Source: Paul Wright]

Date opened: 1.7.1870
Location: North side of Townsend Lane (A580)
Company on opening: London North Western Railway
Date closed to passengers: 31.5.1948
Date closed completely: 8.9.1969
Company on closing: British Railways (London Midland Region)
Present state: Demolished - the gate access from street level can still be seen as they have been bricked up in a different material from the older wall.
County: Lancashire
OS Grid Ref: SJ376934
Date of visit: 20.8.2005

Notes: Breck Road station was located on the London & North Western Railway’s (LNWR) Canada Dock branch which opened to goods services on 15 October 1866. The branch provided a connection between the LNWR Liverpool and Manchester line at Edge Hill with Canada Dock which was, at that time, at the most northerly end of the Liverpool dock system. The line was built to serve the northern docks which were capable of taking larger vessels. Passenger services were introduced on the southern end of the line before it had been completed on 1 June 1866, running between Liverpool Lime Street and Tue Brook.

On 1 July 1870 the passenger service was extended to run to Canada Dock, and Breck Road was opened to serve it. It was located on the north side of Townsend Lane to the north of the Tue Brook area. The line at this point was on an embankment and it passed over Townsend Lane on a bridge.

The line was a double track railway and two platforms were provided. Each platform was accessed from steps that led down to street level on both sides of the line. The station was constructed from timber and the main facilities were on the up side (Liverpool direction). A basic waiting shelter was provided on the down side (Canada Dock direction).

Goods facilities were provided on the south side of Townsend Lane on the west side of the line. They consisted of a large yard that had four sidings, a weighing machine, goods office and lifting crane. The goods yard was at street level and connected to the main line at Tue Brook half a mile to the south of Breck Road. There were also four through sidings on the embankment on the down side of the line adjacent to the goods yard. They could be accessed from the south side of the Breck Road bridge and from a point just to the north of Tue Brook station.

At the time of opening Breck Road was served by passenger trains between Liverpool Lime Street and Canada Dock. On 5 September 1881 a line was opened from the Canada Dock branch to Alexandra Dock. Passenger services were introduced between Liverpool Lime Street and Alexandra Dock and they called at Breck Road.

A signal box was opened at Breck Road in May 1881. It was an LNWR Type 4 box located at the south end of the up platform. The box was equipped with an 18 lever LNWR Tumbler Frame.

The December 1895 timetable showed an intensive train service of 30 up and 31 down services on Monday-to-Saturday. Twenty of the down trains went to Alexandra Dock with 11 going to Canada Dock. No trains ran on Sunday.

The down services were well used by dock workers but the up direction trains suffered from competition. This was because the route to Liverpool Lime Street from Breck Road was not direct. Trains travelled south before finally heading west into the centre of Liverpool. In all they travelled nearly five miles from Breck Road to Liverpool Lime Street; the route into Liverpool by road was only two miles. In 1910 an electric tramway was opened along Townsend Lane providing a much better service to Liverpool than the LNWR could offer.

Tramway competition did lead to a reduction in the passenger services from Breck Road and the July 1922 timetable showed 18 up and 19 down trains on Monday-to-Friday. Five of the down services ran to Canada Dock and 14 to Alexandra Dock. On Saturday there were five fewer services in each direction; this still represented a good level of service for those wishing to travel to the outer suburbs and to the docks.

On 1 January 1923 Breck Road became part of the London Midland & Scottish Railway (LMS). In summer 1932 there were five trains from Spellow to Canada Dock, 12 to Alexandra Dock and 17 to Liverpool Lime Street on weekdays. The first departure from Breck Road was for Alexandra Dock and it left at 6.42am. The last departure, at 10.32pm, was for Alexandra Dock.

On 28 August 1940 Liverpool suffered its first bombing raid of the Second World War and in the following months the city suffered greatly. The Canada Dock branch was of national strategic importance and so was targeted by the Luftwaffe. On 3 May 1941 an ammunition train was hit in the Clubmoor sidings. It had been placed there to get it out of the dock system. Goods Guard George Roberts was on duty and he acted selflessly by leading a party of railway workers to the train while the raid was still ongoing. They detached the rear portion of the train to lessen the impact. George Roberts was awarded the George Medal for his actions. Had the party of railway workers not acted in the way that they did the situation would have been catastrophic. As it was the devastation was still great. Breck road signal box was badly damaged and a wheel from one of the wagons was sent flying into a pub doorway where it killed the manager.

Throughout the following day ammunition from the train continued to explode and many houses were damaged. In very heavy raids on 4 May 1941 the Leeds & Liverpool Canal was hit at Canada Dock station and the ensuing flood brought about the withdrawal of passenger services. Although the station was brought back into use for goods it did not reopen to passengers; this left Breck Road with only the Alexandra Dock and Liverpool Lime Street service.

The summer 1947 timetable showed a much reduced service of only five trains to Alexandra Dock, one to Spellow and six to Liverpool Lime Street on Monday-to-Friday only.

On 1 January 1948 Breck Road station became part of the nationalised British Railways’ London Midland Region (BR[LMR]). BR[LMR] withdrew the passenger service between Alexandra Dock and Liverpool Lime Street on 31 May 1948.

Being a timber construction the passenger station was quickly demolished leaving little trace.

Breck Road signal box was closed on Sunday 21 December 1952. It was replaced by a ground frame.

Through passenger coaches between Southport Chapel Street and London Euston had run through Breck Road since the LNWR days. They continued to operate after 1948. The line had always been a busy freight artery and it remained so until the late 1960s after which the number of trains reduced dramatically. In the mid-1960s the Southport-London through coaches were replaced by DMUs which continued to operate until 9 October 1977.

The goods yard and sidings continued to be used until 8 September 1969. The ground frame which controlled access to the northern end of the down line sidings was taken out of use on 14 September 1971.

In 1982 Canada Dock closed to goods services but, in compensation, from 1980 container services had begun to operate to the north docks. In the latter half of the 1980s trainloads of imported coal started to use the line and this was followed in the 1990s by scrap metal trains. Coal traffic had ceased by 2016 but it was replaced by consignments of biomass.

Timetable from Paul Wright, ticket from Michael Stewart and route map by Alan Young

Sources:

To see the other stations on the Canada Dock branch click on the station name: Canada Dock, Spellow,  Walton & AnfieldTue Brook
Stanley
 & Edge Lane

See also Alexandra Dock branch stations:
Bootle Balliol Road and Alexandra Dock (LNWR)

See also:
Canada Dock Goods and Atlantic Dock Junction


A view looking north-east along Townsend Lane in the 1930s. Breck Road station is to the left of the bridge. The signal box and part of the up platform building can nbe seen. Also shown is the wooden stairway that led up to the down platform.
Photo received from Pete Higgins




Breck Road station, the goods yard and the through sidings shown on a 6-inch scale map from 1890. Click here to see the goods yard on a 25-inch scale map.


Breck Road station shown on a 25-inch scale map from 1890.


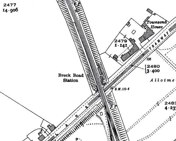
Breck Road station shown on a 25-inch scale map from 1925. By this time a tramway had opened along Townsend Lane.


The goods facilities at Breck Road seen from the air in 1948.
Photo with permission from the Britain from Above website


The up (Liverpool Lime Street direction) platform gateway at street level. From here steps
led up to the platform
P
hoto by Paul Wright


The station site looking towards the north west taken from the east side of the railway bridge.
P
hoto by Paul Wright

The bricked up gateway that would have led to the down (Canada Dock direction) platform. This entrance can be seen in the 1930's picture above.
Photo by Paul Wright

 

 

 

[Source: Paul Wright]


Home Page
Last updated: Sunday, 04-Jun-2017 09:57:25 CEST
© 2004-2017 Disused Stations