Station Name: CARMARTHEN 2nd site
|
| Date opened: | 1.7.1902 |
| Location: | South side of station approach |
| Company on opening: | Great Western Railway |
| Date closed to passengers: | Still open |
| Date closed completely: | Still open |
| Company on closing: | Still open |
| Present state: | Still open |
| County: | Carmarthenshire |
| OS Grid Ref: | SN413197 |
| Date of visit: | Not visited |
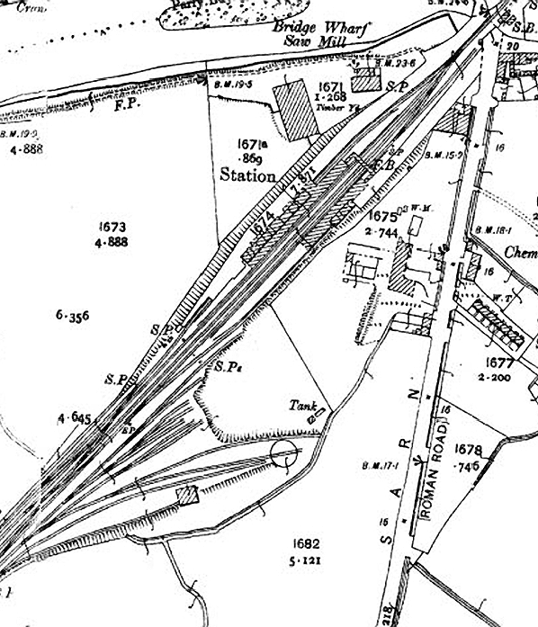
Notes: Carmarthen station is situated south of the River Towy on the south edge of the town. It is located on the West Wales Line and is managed by Arriva Trains Wales, who operate most of the passenger trains serving it. The present station opened on 1 July 1902 although the South Wales Railway's main line from Swansea to Neyland reached it some fifty years earlier. This original station was built with westward expansion in mind (being located at the base of the triangular junction half-a-mile south of the present station) and was poorly sited for the town itself. A second station was opened by the Carmarthen & Cardigan Railway on 31 December 1860 on its route northwards towards Conwil and Pencader. It was much better sited to serve the town (on the opposite side of the river) and remained in use until it was replaced with the current station. The earlier station remained open for goods traffic until the early 1980s
There were a number of sidings to the south of the station on the up side; one of these had a turntable at its end. A standard Churchward six-road engine shed with a large workshop opened here on 11 February 1907 replacing an earlier depot at Carmarthen Junction. In BR days it was designated 87G; it closed on 13 April 1964. Trains running north from Carmarthen once served Newcastle Emlyn, Aberayron and Aberystwyth with a connecting line to the Heart of Wales line at Llandeilo. Today, none of the lines to the north survive and, with the removal of the bridge over the River Towy to the north of the station in 1983, Carmarthen is now a terminus at the end of short spur from the main line at which all trains have to reverse before continuing their journeys. This was not so much of a problem with DMUs but led to the need for a run-round of locomotive-hauled trains which were regularly used until the mid 1980s.
To the east, Arriva Trains Wales operates services to Swansea, Cardiff Central, Manchester Piccadilly and Holyhead. First Great Western currently operates one service to and from Carmarthen to London Paddington. Most of the local train services west of Carmarthen are timed to connect with the London Paddington services at either Swansea or Cardiff Central. To the west, Arriva Trains Wales operate services to Pembroke Dock, Milford Haven and Fishguard Harbour. Carmarthen is the eastern terminus for a few of these services. Some of the Arriva Trains Wales boat trains to and from Fishguard Harbour serve the station. These connect with the Stena Line ferry to Rosslare Europort in Ireland, with a daily morning and evening service in both directions. This route has been in existence since 1906. BRIEF HISTORY OF THE CARMARTHEN & CARDIGAN RAILWAY The Carmarthen & Cardigan Railway Company was formed in 1854 to promote a broad gauge railway from a junction with the SWR at Carmarthen. Initially the line would terminate at Newcastle Emlyn, a distance of 26¾ miles, later to be extended 12 miles to Cardigan where the company intended to build a deep-water port. The Carmarthen & Cardigan Railway was incorporated by an Act of 1 July 1854 to build the line between Carmarthen and Newcastle Emlyn. There was authorised capital of £300,000 with powers to borrow a further £80,000. City of London-based contractor John Jay was employed to build the line. Jay's previous railway contracts included Stoke-on-Trent railway station, and a section of the Great Northern Railway north of King's Cross together with King's Cross goods station and passenger terminus; these were all built around 1850.
During construction in 1859, the C & CR attempted to switch from broad gauge to standard gauge, which would have meant that all railway infrastructure could be built to smaller (and thus cheaper) dimensions. Such a change would require the approval of Parliament, and pressure was put on the company by the South Wales Railway which did not want the rival standard gauge making an incursion on its territory; a Bill authorising this change of gauge was never put before Parliament. The first mile to a terminus at Carmarthen opened on 1 March 1860 after which progress north was rapid, with Conwil station opening on 3 September 1860. At this time, the C & CR owned no rolling stock so they had to rely on the SWR to provide the service. This created tension between the two companies owing to excessive charges being levied and, as a result, the service was suspended on 31 December 1860. The company then hired two 4-4-0 tank engines and reopened the line with its own rolling stock on 15 August 1861. In October 1861 Bronwydd Arms, a new station between Carmarthen and Conwil, first appeared in company timetables.
The tunnel was 'finished' in March 1861 although, at that time, it was exposed rock without a brick lining and required further work to complete it. The long approach cuttings were also unfinished. During construction of the tunnel, many of the horses used to haul away excavated rock died from disease and were buried in the field surrounding the northern of the two shafts. The same field also has grassed-over rubble remaining from cottages built by the construction navvies. Much of the spoil excavated was used to build embankments north and south of the tunnel, but large spoil heaps can still be seen on the hillsides around both ventilation shafts. Further delays were caused by the original contractor, John Jay, abandoning the construction of the line in autumn 1861. By November, however, another contractor, Holdens, took over the construction. Work was then focused on finishing several miles of railway either side of the tunnel and, although easy to the north, to the south heavy engineering of cuttings and embankments slowed progress. The 12-mile extension to Cardigan was authorized by an Act of 1 July 1863 but it was never built. Track is known to have been laid through Pencader Tunnel at some point prior to December 1863. An official Board of Trade inspection was carried out in January 1864, and the tunnel opened with the rest of the Llanpumpsaint-Pencader section on 28 March 1864. At that time the tunnel was still unlined, and a watchman was employed to inspect it for any rock falls until it was eventually lined with brick some years later. The line reached Llandyssil, a further 3½ miles, on 3 June 1864 with a service of four trains in each direction, taking approximately 70 minutes between Carmarthen Town and Llandyssil. Most trains started or completed their journeys at Carmarthen Junction station.
By now the high cost of construction, especially Pencader Tunnel and the purchase of two tank engines from Rothwell & Co, had drained the company’s resources and it was forced into bankruptcy. A Receiver was appointed to run the railway without any interruption to the service. In 1860 the Manchester & Milford Railway received Royal Assent to build a line from the C & CR at Pencader to Llanidloes. In 1861 a route was proposed north, mainly along the east side of the River Teifi valley from Pencader to Devil’s Bridge. There, a junction station would be constructed, with the main line proceeding to Llanidloes, and a branch line to Aberystwyth. By late 1864 the proposed route had changed, moving west from the original plan. This would result in both a shorter route to Llanidloes, and relocating the junction station from Devil’s Bridge to a new junction station near Ystrad Meurig. Parliamentary approval for the new route, to be built to standard gauge, was received in 1865
The South Wales Railway had been taken over by the GWR in 1862. By that time broad gauge was in decline and, in order to allow through running between the C & CR and the newly opened M & MR, the 13¾ miles from Abergwili Junction to Pencader Junction were altered to mixed gauge on 1 November 1866. The M & MR was given running rights into Carmarthen, but its trains were not permitted to call at intermediate stations. The C & CR directors regained control of their line in 1867. The remainder of the line to Llandyssil was converted to standard gauge on 1 June 1872, and all broad gauge running ceased from that date.
In September 1869 the C & CR formed a new company for extending the line to Newcastle Emlyn and eventually on to Cardigan, but the proposed extension failed to get sufficient local support. An approach was made to the London & North Western Railway to buy the line and build the extension to Newcastle Emlyn, but nothing came of this.
All the necessary land for the extension was purchased by April 1885 but the GWR, who had been reluctant to build the line, ensured that work progressed as slowly as possible, taking over ten years to reach Newcastle Emlyn. The extension finally opened on 1 July 1895 with one intermediate station at Henllan. The long-awaited railway was given a riotous reception by the townspeople and traders of Newcastle Emlyn. The opening train was decorated with flags and flowers, and in the afternoon about two thousand people sat down to tea in the New Market House. In the evening a grand banquet was held in the Emlyn Arms Hotel. A further extension to Cardigan was now ruled out, largely because of opposition to the intrusion of the line into an area of natural beauty that had become a popular tourist attraction. Consequently the GWR had to make do with a motor bus service from Newcastle Emlyn to Cardigan. A second intermediate station called Pentrecourt Platform opened on 1 February 1912.
The Manchester & Milford Railway was leased by the Great Western in 1906 and absorbed in 1911. Carmarthen to Aberystwyth then became the main line, with the Pencader- Newcastle Emlyn line operated as a branch. The GWR opened a branch from Lampeter to Aberayron on 12 May 1911. The Newcastle Emlyn branch was never busy, but the new 'main line' thrived by serving the local farming and wool industries though, in the years following the First World War, this traffic gradually declined as local bus services were introduced. Between the wars the GWR provided camping coaches at several stations. The route earned a reputation as a meandering rural branch where trains trundled along, often flagged down by market-bound farmers' wives making their way across the fields to board the carriages. In fact, nearly three hours were permitted for the 56-mile journey between Carmarthen and Aberystwyth.The Second World War brought a new lease of life as a relief route providing a vital link for northbound traffic, with regular movements of heavy munitions to Chester. After the war the line settled back to a quieter existence. With the ever-increasing popularity of the car, especially after WW2, the Teifi Valley lines clearly had no future under a nationalised British Railways. The Aberayron branch was the first to lose its passenger service from 2 February 1951. Passenger services lasted a little longer on the Pencader-Newcastle Emlyn branch, with the last train running on 13 September 1952. The main line enjoyed a brief resurgence in the 1950s when the Royal Train traversed the route, and other new traffic included Butlins through-specials taking holidaymakers to the new camp at Pwllheli.
Scheduled for complete closure at the end of 1972, the Newcastle Emlyn branch received a number of reprieves. The Teifi Valley Railway Preservation Society was formed in October 1972 with the intention of purchasing the Carmarthen-Newcastle Emlyn section for the operation of a steam-hauled tourist passenger service. Special excursion trains were chartered from British Rail giving hundreds of people their first opportunity of travelling on the line and seeing for themselves the outstanding countryside through which it passed.
Negotiations were opened with British Rail for the purchase of both land and track, and a stay of execution was obtained on the lifting of the line. However, the enthusiasts were faced with two insurmountable problems. Month by month the price of the track increased, frequently by tens of thousands of pounds, only to be aggravated by a serious shortage of steel, which put railway track at a premium. The second problem was the lack of local interest and support. Although offers of help poured in from all over the country, local working parties rarely attracted more than a dozen-or-so people, from a total membership of 200. The end came in 1973 for both the Newcastle Emlyn branch and the main line from Carmarthen to Lampeter with the end of the milk traffic. The last passenger train over both lines was the RCTS Farewell to the Teifi Valley Milk Branches railtour on 30 December 1972.
Two years after its closure, the Gwili Railway Preservation Company was formed with the ambition to preserve at least eight miles of track of the former route, from Abergwili Junction along the Gwili Valley to the station site at Llanpumpsaint. Track-lifting had already started by the time of the formation of the new company and, as a result, only a mile of track north of Bronwydd Arms was left in situ. The Company was, however, able to acquire the full eight-mile stretch of trackbed from Abergwili Junction to Llanpumpsaint for both rebuilding and preserving. Over time the railway has extended the operational length from one mile to 2½ miles, with its current northern terminus at Danycoed. The society is currently focusing its attention on a southward extension towards a proposed Carmarthen North station. Since the preservation society owns the trackbed as far as Abergwili Junction, two miles south of Bronwydd Arms, a new station can be constructed alongside the new Carmarthen eastern bypass. This will, hopefully, greatly improve visibility of the railway to passing traffic on this busy road compared to the less conspicuously sited Bronwydd Arms station. Once the southern extension of the Gwili Railway is complete, it will increase the length of the route to around 4½ miles. Reconnection with Carmarthen railway station is currently impossible as the bridge that once carried the line over the River Towy was demolished in 1983.
In 1987 the Teifi Valley Railway was extended as far as Llandyfriog and, since 2006, has been further extended to the current end of the line at Llandyfriog Riverside. During spring 2009 work proceeded to re-site Henllan station to its original location on the opposite side of the road. This new platform was brought into use in July 2009. Sources:
See other stations on the Carmarthen & Cardigan Railway: Carmarthen Junction, Carmarthen 1st, Bronwydd Arms, Conwil, Llanpumpsaint, Pencader, Pencader Junction, Llandyssul, Pentrecourt Platform, Henllan & Newcastle Emlyn |
old6.jpg)

old2.jpg)
old17.jpg)
5.jpg)
4.jpg)
10.jpg)
Click here for more pictures of Carmarthen station
| Last updated: Wednesday, 17-May-2017 09:06:19 CEST |
© 1998-2012 Disused Stations
|