Notes: Just east of Newmarket lies the village of Snailwell, the name deriving from the point where the River Snail rises. The river meanders north and eastwards through Soham, where it becomes Soham Lode, and eventually finds its way to the Great Ouse. North-east of Snailwell was a settlement dating back to the Bronze Age. The settlement, a 'Ham' was at a crossing place, a 'Ford', on the River Snail and from the tenth century was known as Fordham. A ford is a point where a road crosses a waterway by actually passing through the water.
The river in what is now the village of Fordham has long since been crossed by bridges, the roads across which connect the village to its only links with the outside world - the A142 and B1102. The former now bypasses both Fordham (this section opened in July 2006) and Soham while the latter runs through the village on a roughly east - west axis. Part of the B1102 is Station Road, once connecting the village to its railway station which lay about one mile by road to the south-west of the village centre.
Fordham & Burwell station, to use its original title, was opened by the Great Eastern Railway, as was Soham, with the Ely - Newmarket line on 1 September 1879. The line was born out of a proposal by the Newmarket Railway for extensions, from Newmarket, to Ely, Thetford and Bury St Edmunds and of those only that to Thetford was never built. The Ely line, however, took over thirty years to come into being. Further details can be read in the Newmarket Railway history within this website. Fordham & Burwell was technically not a station on the Mildenhall branch but was served by it; the branch joined the Ely - Newmarket line at Fordham South Junction and diverged at Fordham North Junction. Fordham & Burwell station predated the Mildenhall branch (and outlived it) and when the Barnwell Junction - Fordham section of the Mildenhall branch opened in June 1884 the 'Burwell' suffix was dropped. As the Fordham - Mildenhall section did not open until 1885, Fordham was the interim terminus with four trains per day each way. Perhaps as an omen for the future, it is on record that only one passenger travelled from Fordham via the branch to Cambridge on the opening day*. In contrast, the first up train on the opening day saw a rush of 25 passengers at Burwell.
*It is unclear if this applies to the inaugural train or to the entire day but it appears to be the latter.
In 1881 the population of Fordham was 1,193 and, with one or two ups and downs, the village was one of the few places served by the Mildenhall branch, ignoring Cambridge, of which the population increased overall. By 1961 it had increased to 1,708 and the 2011 census gave it as 2,712. The 1961 figure is curious as the previous census in 1951 gave the population as being 1,705. The other locations on the branch which increased in population during the period the branch was in operation were Burwell and Mildenhall. This is likely due to people, especially the young, moving away from the smaller and relatively isolated communities, especially during the agricultural depression of the early twentieth century. Nevertheless, Fordham station, over its entire life, managed only approximately half the passenger receipts of Mildenhall and even those of the latter were considered dire.
The Ely - Newmarket line was built as single track with platform loops at Soham and Fordham. The section from Soham to Snailwell Junction which included Fordham was not doubled until as late as 1938, while the Ely - Soham section, which crosses fenland and the River Ouse just outside Ely, remains single track to this day although plans pop up from time to time to remedy this.
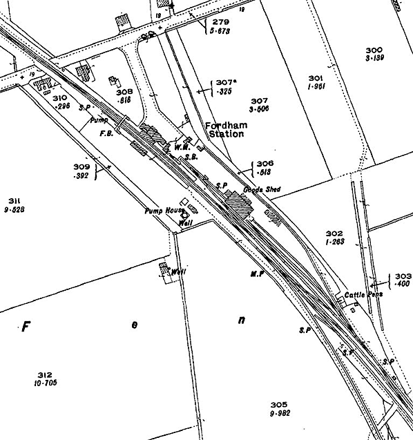
Fordham station differed greatly in detail from those on the Mildenhall branch-proper. The station buildings were on the up platform, that is, the Newmarket direction platform. The stationmaster's house was at the Newmarket end and, like those on the Mildenhall branch, was set at a right angle to the track. The house differed from those on the Mildenhall branch in that it was orientated the opposite way round, so what would otherwise be the front of the house faced - and was joined to - the single-storey range of the station. The roofs of the station buildings were of slate, pitched, but they lacked the clipped gables found on Mildenhall branch (hereinafter 'the branch') stations. Gable ends also lacked the ornate wooden adornments of the branch stations but did have semi ornate brickwork which gave a tidy and pleasing effect. Chimneystacks were of a different style from those on the branch; plainer, but at the same time neater depending upon individual taste, while any lack of ornate decoration elsewhere on the station was provided by the windows and doorways. These had pronounced arched lintels, with doors and windows to match, and were almost cathedral-like in appearance.

At Fordham the single-storey range contained the usual facilities: booking office, waiting rooms, staff office and toilets but the ‘Way Out’ was located at the Ely end of the platform. Also at the Ely end were gents' toilets and a small single-storey building for staff use, possibly a ticket collector's office. There was a similar building at the Newmarket end, added subsequent to the station opening, which may have been a lock-up.
The signal box was also located on the up platform and quite close to the station building. An impressive structure, its roof design was of a distinctive style which can still be seen on the Grade II listed signal boxes at Thetford and Bury St Edmunds. It was fitted with a 40-lever McKenzie & Holland frame and was well known for the large mirror on the platform side and facing towards Ely. Presumably this was to assist sighting due to the platform canopy and the curve through the station. One interesting signal in the area was Fordham Down Distant, cautioning branch drivers approaching Fordham South Junction. It was a Fixed Distant with the arm mounted at the top of an extremely tall post and the oil lamp mounted half way down the post. Fordham signal box survived closure of both the branch and the station, being abolished in October 1973.
Fordham Junction - as the station came to be known although this was not officially its name - had a water crane just beyond the Newmarket end of the 375ft up platform and another at the Ely end of the 370ft down platform. These cranes were, Cambridge excepted, the only source of water for locomotives on the branch. The down platform had a single building, part wood, part brick, and with a canopy; it contained a waiting room and, apparently, a staff room. Larger than the equivalents at branch stations, it nevertheless appears to have had only a single fireplace. This asymmetry may have come about when the structure was rebuilt sometime after the branch opened, and at the same time as the up platform canopy was either provided or enlarged. There was a footbridge, No.2229, at the Ely end of the station; not originally provided but installed at the insistence of the Inspecting Officer of the Board of Trade. The bridge was required for when the Fordham - Mildenhall section opened in 1885 and the contract was awarded to Arrol Brothers in December 1884. As a matter of interest, Arrol's contract also included the footbridge at Theydon Bois; they were identical and cost £215. The example at Theydon Bois is still in use in 2015 but has long since lost its smoke deflector plates. The Fordham footbridge was removed soon after closure of the branch to passengers.
Following opening of the Barnwell - Fordham section, but prior to the Mildenhall section opening, GER records from July 1884 show that a turntable was to be installed at either Fordham or Mildenhall but the location was still undecided at that date; ultimately, Mildenhall was the recipient. The reference to Fordham or Mildenhall was rather strange. It is known that the branch was originally intended to continue beyond Mildenhall to Thetford and that the Thetford section had been abandoned even before the Fordham - Mildenhall section opened. The 1884 indecision over the location of the turntable therefore suggests two things: either hopes still lingered for an extension beyond Mildenhall or consideration was being given to abandonment of the Fordham - Mildenhall section albeit, by then, under construction. These theories arise only from the indecision over the turntable location and it must be stressed that absolutely no evidence has been found which either of them.
Sidings and goods facilities at Fordham were fairly extensive and the track layout complicated, especially prior to the 1938 doubling of the track. The goods yard was located on the up side and at the Newmarket end of the station. One peculiarity, which probably came about through the station predating the branch, was that branch trains in either direction could not enter the goods yard without carrying out a series of reversals and shunting on the main line.
By 1920 and prior to 1938 access to the goods yard from the main line was via two trailing connections in the up direction and a single trailing connection from what was then the down loop. The yard included one 500ft road, one 480ft road which served the goods shed, one 380ft coal road and a 710ft back road. The goods shed road continued through the shed to serve the dock behind the Newmarket end of the up platform. The dock could also be reached via points from the 500ft road, thereby avoiding the need for the shed road to be clear for access to the dock. It is highly likely that in practice the dock was served exclusively from the 500ft road as dock and shed would have catered for different types of traffic. The dock did not serve cattle pens, these being located on the back road and, rather oddly, near its southern end close to the points. This did not, however, conflict with the main line as the points connected to a 640ft headshunt which ran parallel to the main line on the up side. In addition there was an 1100ft reception road also parallel to the main line but on the down side.
The single line token (or 'train staff') for the Fordham - Mildenhall section. In the freight-only period, 1962 - 4, Isleham was reduced to the status of an unstaffed public siding and the Fordham - Mildenhall section was operated on the 'one engine in steam' principle; in effect a long siding. Curiously, given the status of Isleham after 1962, the remote station at Quy was staffed to the very end albeit only on a seasonal basis. The token seen above, which came up for auction in 2014, was of brass and had station names stamped into it. The two insets are just photographs of the two stampings and not separate devices. Note how Mildenhall has been wrongly presented as two words. The steel device on the end of the token is an Annett's Key, used for unlocking points or lever frames along the line. There was two similar tokens and keys for the other section of the line; Fordham - Burwell and Burwell - Barnwell Junction. After 1964 when only the line to Barnwell oil terminal survived, the token and key for this short section was obtained from, and surrendered at, Coldham Lane Junction. These tokens came in various forms across the railway network, including those in a looped pouch described elsewhere, and were authority for a driver to take his train into a single track section. With only one token per single track section, no two trains could be in section at any one time and thus collisions were prevented. That is a very basic description, precise arrangements could vary according to how block sections were regulated and there were - and still are - several different types of block section.
Between 1938 and 1951 nothing changed but a BR record survives from the latter year regarding realignment of the curve between 4m 34ch and 5m 06ch measured from Chippenham Junction. This is the entire curved section within which sat Fordham station. What, if any, work was actually undertaken is not known but it is certain that no alterations were made to Fordham station.
The usual weighbridge and loading gauge were provided and, opposite the Newmarket end of the down platform, there was a water tower which supplied the water cranes. The tower was supplied from a nearby well via a pump house but how the pump was powered over the years is not clear. The well was present from the outset but the earliest plan, which has been seen to show the pump house clearly marked as such, dates from 1920; however, it is known to have existed long before that date. GER records concerning this are not especially comprehensive but we do know 'Pump Enginemen' were employed at Fordham; a Mr Cox, for example, was employed in the position in 1907.
Staff cottages were provided, four in total. The original pair, provided from the outset, was located on the south side of Station Road and on the down side of the railway. The second pair was provided in 1890, south of Station Road but on the up side; this pair was rather more ornate. All four cottages survive. There was also a level crossing keeper's hut, again south of Station Road and on the up side.
Although Fordham was an Ely - Newmarket line station, it is generally associated with the Mildenhall branch which also served it and, as a result, it is easy to overlook the fact that Fordham had other passenger trains calling. In 1961 and apart from Cambridge - Mildenhall via Burwell services, there was a Mildenhall - Newmarket service and an Ely - Mildenhall service which reversed at Fordham. Non-branch services included Ely - Newmarket, Peterborough East - Cambridge via Newmarket, Peterborough East - Ipswich, Peterborough East - Harwich Town and an 11.00pm Peterborough East - Liverpool Street via Ipswich service. The latter actually consisted of through carriages, which suggests the train joined or divided en route. Either way, the journey from Peterborough to Liverpool Street took a horrendous five hours. It arrived at Fordham at 12.15am and departed at 12.20am with lengthier dwells at other stations including 13 minutes at Haughley. Other details are not known but the pattern of operation suggests it may have been a parcels train with passenger coaches attached. The corresponding down service called at Fordham at 2.07am. This train, up and down, did not run on Saturday night but did on Sunday night.
While the above may give the impression that Fordham was well served, the reality was rather different. Some trains operated on Saturdays only, others ran every weekday but at best only three or four times per day, while on Sundays only one train called, an afternoon Ely - Ipswich service. The other station on the Ely - Newmarket line, Soham, had an even more dire service but did have, of all things, a Glasgow - Colchester call but which did not stop at Fordham.
The level of passenger services at Fordham in 1961 was fairly typical of the station's entire life and, indeed, was typical of many rural areas across the country at one time. The best which could be said of Fordham might be that its services were adequate for schoolchildren and market day shoppers but, like many other stations, it was too inconveniently sited for the village it served. Of course, we must not forget that plenty of other trains, goods and passenger, did and still do thunder non-stop through Fordham and post-1968 the route became one of only two linking East Anglia with the rest of the country and avoiding London. Perhaps the best known train to pass through Fordham, but without stopping, for a great many years was the Manchester - Harwich Parkeston Quay (now Harwich International) boat train. This train's northern start/end point and its route had changed many times over the years but it is best remembered as running to and from Manchester Piccadilly. It was also for some years the only BR train to operate on Christmas Day and, as if to stick two fingers up at the Cambridge Buffet Express, would often include one of the surviving LNER-designed buffet cars.
The Barnwell Junction - Mildenhall line had a blanket RA3 designation (Route Availability: a means of specifying maximum permitted axle loads) but in practice this was at the discretion of the civil engineer and RA3 was only loosely applied to the branch. However, it was more strictly applied to the Fordham - Mildenhall section and thus Fordham became the boundary for which locomotive classes could and could not work the entire branch. The D16 4-4-0 locomotives, for example, were prohibited between Fordham and Mildenhall whereas the B12 4-6-0's could work the entire branch because the extra axle gave better weight distribution. The little Ivatt 2MT 2-6-0's also could - and did - work over the entire branch, being lightweight at RA2. In later years the much heavier Brush Type 2 diesels also worked the entire branch, these varying within the class between RA5 and RA7. The RA4 BTH Type 1 diesels (and the NBL D84xx class) were also given dispensation to work the branch. Restrictions between Fordham and Mildenhall centred upon the Fordham - Isleham section which was prone to drainage problems, and it was this section which was responsible for the blanket RA3 restriction, even though it was only loosely applied.

On a rather different note, for many years Fordham was witness to the sad site of condemned rolling stock on the last leg of its final journey to the nearby scrapyard at Snailwell. As well as hauled stock, Southern EMU and DEMU stock passed through as did some London Transport stock and DMUs. Of the latter, perhaps the best known - as they were much photographed in the sidings at Ely - were the rather peculiar Swindon Inter-City 79xxx units which had begun life on the Western Region before migrating to Scotland where they met up with the slightly newer but equally peculiar Class 126 units, a few of which may also have ended up at Snailwell.
Fordham station closed to passengers on 13 September 1965 and retained a stationmaster to the end. Mr Robert Jardine was the final incumbent, taking over the position in 1962, and he was also in charge of Soham and Burwell. Fordham closed to goods traffic on 12 September 1966. It has been said that when the branch closed to passengers in 1962 and Fordham lost its status as an interchange station, passenger usage dropped to such a dismal level that retaining the station could not be justified. Whilst this could not be argued against, the fact that Soham station, which served a town with a much higher population, closed on the same day suggest that the writing was on the wall for Fordham irrespective of the branch closure. By 1965, of course, The Reshaping of British Railways (the ‘Beeching Report’) had been published and implementation was well underway.
As mentioned earlier, Fordham signal box was closed on 28 October 1973. Station Road level crossing was converted to automatic barrier at the same time and all remaining semaphore signalling removed. After closure, the station remained essentially intact into the 1970s but with the closure and removal of the signal box the station was gradually dismantled. By the 21st century the station house and one or two smaller structures remained but in a derelict condition. Today the Ely - Chippenham Junction line sees a two-hourly Peterborough - Ipswich / Colchester passenger service but is extremely busy with freight traffic 24hrs per day, a significant proportion of which operates to and from Felixstowe docks. Since 1965 it has no longer been possible to run directly between Ely and Newmarket.
There is now little trace on the ground of either part of the Mildenhall branch in the vicinity of Fordham. In 2004 Cockpen Road bridge, No.2244, located just outside Fordham and towards Isleham was demolished with the rubble and spoil from the approach embankments being used in the construction of the Fordham bypass. Cockpen Road also crosses the main line just outside Fordham but via a level crossing which Network Rail misspells as 'Cockspin LC' in its documentation. Perhaps the most visible remaining feature in the Fordham area is the former spur to Burwell cement works, Stephenson's Siding. However, it is difficult to gain access as it is on private land and some distance from any public road.
In recent years the station goods yard and buildings were used in turn by a roofing / scaffolding contractor, and as a waste management depot. In June 2010, a planning application proposing demolition the station building and the construction of a recycling centre on the site was discussed by Cambridgeshire County Council. Councillors voted 4 - 3 in favour of the proposal, in spite of representations by local people and parish councillors. In May 2015 the station building survives, unused and in a derelict state. The 5.5-acre site is currently for for sale.
BRIEF HISTORY OF THE MILDENHALL BRANCH
The Mildenhall branch arrived relatively late on the railway scene and it could be said that its existence was owed in part to the ill-fated Newmarket & Chesterford Railway (N&C). In 1847 the N&C, with its main line yet to be opened, sought powers to extend beyond Newmarket to Thetford, linking up with the Norfolk Railway, and to Ely and Bury St Edmunds. Of those, the Thetford link was never built; had it been built it would have served the Mildenhall area.
This problem was frustrating Charles Allix (1842-1921) of Swaffham Prior House who approached the GER in 1867 with a view to the construction of a railway from the Swaffham Prior area into Cambridge. The GER rejected the proposal. The next proposal for a railway serving the Mildenhall area was for the ‘Ely & Bury Saint Edmunds Light Railway’, the company's deputy chairman being none other than Mr Allix. This railway was incorporated by an Act of 1875 and a reasonable amount of information has survived about it. Had it been built it would have served the Fordham and Mildenhall areas, but nothing came of the scheme and it was formally abandoned in 1880.
Meanwhile back at Swaffham Prior, Mr Allix remained determined to see his region provided with a railway to help revive local agriculture which was experiencing economic hardship. It is said that every cloud has a silver lining, as Allix was soon to discover. The railway north of Cambridge and onwards to Brandon had suffered problems with flooding, and during 1878 serious disruption occurred once again. This time the GER 'brass' realized that Allix's proposal could, if built, help alleviate the problems, and thus the Mildenhall branch was finally born.
While plans to build the Mildenhall branch were stampeding ahead, the GER had meanwhile re-engineered the vulnerable sections of the Ely - Thetford line. The GER therefore viewed an alternative route, i.e. via Mildenhall, as no longer warranted and this was the reason that the branch never progressed beyond Mildenhall.
Back in the boardroom, the GER was inviting tenders for construction of the Mildenhall branch. With Royal Assent having been received on 18 July 1881, the relevant Act provided for three sections of railway: Barnwell - Swaffham Prior; Swaffham Prior - Fordham; Fordham - Mildenhall. Henry Lovatt, of Wolverhampton, won the contract for the entire route with his tender of £76,327 11s 8d. During October 1882 the contractor moved in to peg-out the course of the line, and on a cold and miserable Wednesday 3 January 1883 some GER grandees and Mr Allix assembled at – unsurprisingly - Swaffham Prior for the usual 'cutting of the first sod' ceremony. During 1883 the signalling contract was awarded to Messrs McKenzie & Holland with signal boxes costing £75 10s each, while local tradesmen were recruited for the erection of station buildings. The station building at Swaffham Prior was built in a somewhat different style from the others in order to mirror the design of Swaffham Prior House.
The 19m 3ch route between Barnwell Junction and Mildenhall had no fewer than 70 level crossings. To put this into a less dramatic perspective, only seven were on public roads with the remainder being foot or occupation crossings.
Major General Hutchinson inspected the Barnwell - Fordham section on behalf of the Board of Trade on 28 May 1884. Whilst the inspector found the general standard of construction to be high, a number of issues with fencing and signalling were noted. Permission was given for the line to open if these issues were dealt with quickly - which they apparently were. The inspector also required all trains to call at all stations. Inspection of the Fordham - Mildenhall section, on 28 March 1885, went well, with only a couple of issues at Fordham station. Otherwise, the inspector was impressed with the general standard of construction and gave his consent for the immediate opening of this section.
Passenger services on the branch were never frequent although in the early years they were more or less on a par with other rural branch lines. Despite the possibilities offered by the connection at Fordham with the Ely line, the original timetable offered only four Cambridge - Fordham (and return) services stopping at all stations conforming to the Board of Trade inspector's requirements. Later that year, 1884, this was increased to five return journeys, Thursdays excepted. On that day, Ely market day, advantage was taken of the connection at Fordham and one train continued to Ely, the 12.30pm ex-Cambridge, which returned from Ely at 3.30pm.
With the opening of the Fordham - Mildenhall section the following year, five return journeys travelled the full length of the line although on Thursdays one did not operate between Cambridge and Fordham, and vice versa. Tuesdays and Thursdays saw an additional Mildenhall - Fordham (and return) service but at different times on each of those days. Timetables do not indicate that these trains continued to/from Ely so they were probably connecting services. By 1890 there were additional Thursdays-only/excepted services plus one mixed train. Things then trundled on in much the same fashion until the first decade of the twentieth century.
Despite increases in traffic, especially following the opening of the Fordham - Mildenhall section, the GER was perpetually worried about poor traffic receipts for the line. In 1914 the GER's James Holden decided to experiment with Push - Pull trains as a cost-cutting measure. He borrowed drawings from the London, Brighton & South Coast railway of their Westinghouse (compressed air) Push - Pull control system and converted Y65 2-4-2T No. 1311 and two clerestory bogie coaches into a Push - Pull train with further conversions following later. This train operated trials in service on the Mildenhall branch from 5 October 1914 but the experiment was not considered a success.
The First World War brought considerable extra goods traffic to the line as a result of the government urging farmers to produce more food, but otherwise the war had little effect.
By 1922 the timetable showed just three trains per day operating via Burwell, with the first down train not departing from Cambridge until 10.30am. There was, however, an earlier service to Mildenhall via Newmarket which left Cambridge at 6.47am.
In an attempt to encourage more business, on 20 November 1922 the GER opened three halts on the line at Fen Ditton, Exning Road and Mildenhall Golf Links. They were on the up side of the line, i.e. on the left side of Cambridge-bound trains, and on the Cambridge side of adjacent road overbridges (Bridges 2236, 2242 and 2257 respectively). They were rudimentary affairs: a footpath led down the embankment from the road to end at a low cinder 'platform' faced with what appears to have been old sleepers.
The Railways Act of 1921 saw the GER become part of the London & North Eastern Railway (LNER) on 1 January 1923. On this date Mildenhall Golf Links Halt was renamed Worlington Golf Links Halt. The ‘Halt’ suffix appeared in timetables and on tickets but not on the halt nameboards. As the halts had no proper platforms, the GER introduced carriages fitted with retractable steps. Initial conversions were of increasingly antiquated 6-wheeled stock. Because the halts lacked booking facilities the GER introduced ‘conductor-guard’ working, and for this purpose the carriage stock had to be modified to allow the guard to move through the train. Tickets from Quy were also issued on the train.
The LNER viewed the former GER system it had inherited as something of a millstone around its neck and considered the withdrawal of a number of branch passenger services in the east of England. At around the same time the LNER made further economies by reducing the status of Quy and Swaffham Prior signal boxes to shunting frames. In 1935 these two boxes were abolished altogether and at the same time the goods loops through these stations were lifted.

World War Two broke out in September 1939 and this brought some increase in traffic to the Mildenhall branch. As with the First World War, the line saw an increase in agricultural traffic and, as indicated above, of military personnel using the line. Goods traffic vital to the war effort was generally routed from Cambridge via Newmarket during the night. Nevertheless, the need for the railways to focus assets where they were most needed meant that services on the Mildenhall branch remained infrequent. For the duration of hostilities there were still three trains per day each way with the first down train operating via Newmarket. Two goods trains per weekday were provided, one of which commenced from sidings at Coldham Lane Junction, Cambridge.
After the war things returned to pretty much the way they had been previously. On 1 January 1948 the Mildenhall branch became part of the Eastern Region of British Railways. Bradshaw for that date shows three trains each way: down trains at 6.33am, 10.28am, and 4.27pm; and at 7.42am,11.50am and 5.48pm in the up direction. The 6.33am ex-Cambridge omitted the halts, but did call at Quy, and all trains ran via Burwell. By the 1950s there were four passenger trains per day, the final departure being at 9.00pm from Mildenhall, omitting Worlington and operating via Newmarket to Cambridge. The BR 1954 timetable tells us the service had reverted to that of January 1948, as outlined earlier, apart from slight re-timings.
From November 1955 diesels made their first appearance when two brand new sets of Metropolitan-Cammell 79xxx DMUs were sent to Cambridge for timing trials: E79047+E79263 and E79051+E79278. These trials included the Mildenhall branch, commencing on 20 November. By this time more Mildenhall services ran via Newmarket, plus the occasional service from Ely to Mildenhall which involved a reversal at Fordham. From 7 July 1958 diesel railbuses were introduced on Mildenhall branch services. These vehicles lacked retractable steps, as did the DMUs. For the halts, therefore, sets of portable wooden steps were provided and were usually left at the lineside to await their next call of duty.
Goods traffic prior to 1962 was much as previously, with one train per day. By this time, goods trains were usually hauled by Brush Type 2 (Class 31) locomotives with J17 steam locomotives still putting in occasional appearances.
The Mildenhall branch closed to passengers on and from Monday 18 June 1962, with the final trains running on Saturday 16th, there being no Sunday service. On the final day the first down train and its return up working to/from Mildenhall was operated by a 4-car Cravens DMU. A 2-car Wickham unit sufficed for the remainder of the day. The Wickham unit, E50416/E56171, operated the 4.21pm ex-Cambridge and this was the last passenger train along the Barnwell - Fordham section. This train then departed from Mildenhall at 5.15pm to Cambridge via Newmarket. The same DMU then operated the 5.56pm to Mildenhall via Newmarket and the corresponding 7.31pm Mildenhall - Cambridge via Newmarket; this was the final passenger train to and from Mildenhall.
The Burwell & District Motor Service, having suspended its Mildenhall - Cambridge Service 11 at the outbreak of war, had reinstated the service at the cessation of hostilities but truncated it to operate only between Cambridge and Isleham, and it ran only on Saturdays and Sundays. Following withdrawal of the Mildenhall branch passenger trains, B&D modified Service 11 to operate daily and thus it became the rail replacement bus service.
Following the end of passenger services, Isleham and Mildenhall signal boxes closed with immediate effect. The once-daily goods train continued to run, but in the up direction only between Fordham and Cambridge; the down goods ran from Cambridge to Mildenhall via Newmarket. The train was withdrawn on 13 July 1964, the final run being on Friday 10th. This left the Fordham - Burwell section which continued to enjoy a goods service until it was withdrawn on 6 April 1965. Fordham station and its neighbour, Soham, closed on 13 September 1965, and Fordham signal box closed on 28 October 1973.
Tickets from Michael Stewart. Route map drawn by Alan Young. Bradshaws from Nick Catford. Totem from Richard Furness.
Click here to see a 17 minute colour film of a steam locomotive travelling from Cambridge to Mildenhall in 1959. Includes all the stations on the line, From Cambridge Community Archive Network.
Click here for a fulller history of the Mildenhall branch
Click here for special feture: Last Train to Mildenhall
Sources:
- Quick, Michael Railway passenger stations in Great Britain: a chronology (RCTS 2009)
- The Great Eastern Railway (Cecil.J.Allen, Ian Allen 1955)
- The Mildenhall Branch (Peter Paye, Wild Swan 1988)
- Burwell & District Motor Service (Written and published privately by Jim Neale c.1979)
- The London Gazette, November 28th 1879 (Abandonment of Ely & Bury Saint Edmunds Light Railway)
- The National Archive (Information on the Ely & Bury Saint Edmunds Light Railway)
- http://landedfamilies.blogspot.co.uk/ (Information on the Allix family)
See other stations on the Mildenhall branch:
Barnwell Junction, Fen Ditton Halt, Quy, Bottisham & Lode, Swaffham Prior, Burwell, Exning Road Halt, Isleham, Worlington Golf Links Halt & Mildenhall
See also Cambridge
|