|
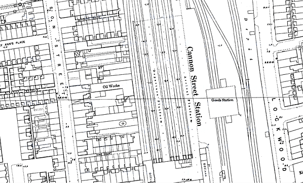
Notes: This was the Hull terminus of the railway, originally
the passenger terminus was to have been 1/4 mile south on Charlotte
Street but due to financial problems what had been intended as a carriage shed was
quickly adapted for passenger use. The station was closed in 1924
when services were diverted into Hull Paragon station.
The site is now used for industrial storage. No other building
survive other than those shown.
Sections of the embankment leading north from the station remain.
BRIEF HISTORY OF THE HULL & BARNSLEY RAILWAY
The route of the Hull Barnsley & West Riding Junction Railway & Dock Company (HB&WRJR&D Co) was opened on 20 July 1885. It had a total projected length of 66 miles but never reached Barnsley, stopping a few miles short at Stairfoot. The name was changed to the Hull & Barnsley Railway (H&B) in 1905. Its Alexandra Dock in Hull opened 16 July 1885.
The main line ran from Hull to Cudworth, with two lines branching off at Wrangbrook Junction: the South Yorkshire Junction Railway to Denaby, opened on 1 September 1894, and the Hull & South Yorkshire Extension Railway, an eight-mile branch to Wath-upon-Dearne, opened on 31 March 1902. The company also had joint running powers on the Hull & Barnsley and Great Central Joint Railway (Gowdall and Braithwell Railway).
Nine months before the Grouping of January 1923, the line was taken over by the North Eastern Railway. Following incorporation into the LNER, duplicated infrastructure was closed or reduced in function – notably Cannon Street station and the Springhead Locomotive Works.
Complete closure of the greater part of the main line itself came during the time of British Railways. As of 2011 the elevated line in Hull with some of the extensions and alterations added by the NER and LNER are still in use and referred to as the Hull Docks Branch and has the Engineers' Line Reference of HJS.
BACKGROUND
By the nineteenth century the coalfields of southern Yorkshire were highly productive, the new industrial towns of the West Riding of Yorkshire and of Lancashire were manufacturing cloth and other goods, and the English Midlands was a highly industrialised region. Thus there were opportunities for trade, export and profit on the east coast of England as well as along the Humber and its tributaries.
GGoole had risen from nowhere as a port on the Ouse with the creation of the Knottingley to Goole Canal in 1826 by the Aire & Calder Canal Company; the port, built to generous specifications, rapidly gained inward and outward trade – much to the chagrin of Hull - and spurred the development of the extension of the Leeds & Selby Railway to Hull which opened in 1840 and became part of the North Eastern Railway (NER) in 1854. Additionally the NER, which had a monopoly on rail transport to Hull, prevented other rail companies from investing there, so Goole gained its own railway; this was the Wakefield, Pontefract & Goole Railway (later part of the Lancashire & Yorkshire Railway) in 1848. A custom-built railway dock and the use of specialised coal barges and unloading facilities, as well as the backing of the Aire & Calder Canal Company, made it a viable competitor with Hull for trade.
Additionally Grimsby, as a competitor with the port of Hull (and equally well placed for European trade), began to grow after the 1840s when the Ashton-under-Lyne & Manchester Railway Company built a rail connection, and the Royal Dock was completed in 1852.
Hull had expanded rapidly during the eighteenth century with shipping tonnages increasing over ten times in that period, and numerous docks supplementing and connecting Old Dock (Queen's Dock) were built by the Dock company in the following century: Humber Dock (Prince's Dock) 1809; Junction Dock 1829 (by 1846 Railway Dock connected to the Hull & Selby Railway - later part of the NER); Victoria Dock (1850); Albert Dock (1869); and St Andrews Dock (1883). Despite all this activity, the Dock company was criticised for lack of action, specifically with regard to construction of facilities that would make Hull a prominent coal-exporting port. Additionally, the NER – whose other interests in the north-east of England were in competition with Hull, and which held a monopoly on rail transport to Hull - was viewed with mistrust, suspicion, dissatisfaction and even hate. Animosity was so great that schemes for new lines to Hull, including a bridge over, and tunnels under, the Humber were being actively promoted by Hull merchants: such schemes would be entirely independent of the NER and break the company’s monopoly.
Matters reached a head when, in 1872, with the NER unable – or refusing - to transport shipments from the port, deliveries of fish were delayed, and there was a general traffic jam on the rails: ‘..the traffic overwhelmed the powers of the Railway Company; orders for supplies of goods could not be executed, vessels could not receive or discharge cargoes, and the general trade of the port was almost paralysed.’ [Prospectus for the Hull South & West Junction Railway, A History of Hull Railways, G.G. MacTurk, Chapter XV (F.B Grotrian)]

The plans finally came to fruition in 1880 in the charge of Col. Gerald Smith (a Hull banker) and through the cooperation of the Hull Corporation (including the sale of land to the railway, and an investment of £100,000). As part of the Hull Corporation's involvement with the scheme came the power to veto any joint workings with other railway companies or selling or leasing of land, and despite the inevitable opposition of the NER (which had been instrumental in blocking previous plans) the Parliamentary Bill was passed with minor alterations on 26 August 1880. The company, the Hull, Barnsley & West Riding Junction Railway & Dock Company (formed in 1879) began work on the new line and associated deep-water dock which was completed by 1885.
CONSTRUCTION (1880–1885)
For construction of the line Parliament authorised a share issue of £3,000,000 and loans of £1,000,000. The engineer for the main line was William Shelford, whilst Stephen Best was responsible for the Hull section, and Benjamin Baker designed the Alexandra Dock. The contractors were Messrs Lucas and Aird.
The line was one of the earliest to be built with the aid of steam navvies. The spoil excavated by men and machines from tunnels and cuttings was used to build embankments elsewhere. Around 8,000 navvies, including Scots and Irish as well as English, were employed in the construction, and their largest concentration was to be found at Riplingham (near to Drewton Tunnel). The average wage was 15 shillings for a 58-hour week.
The Weedley Tunnel was not originally planned. The track was to skirt the hill to the south, however to avoid unstable ground the line tunnelled through the hill instead. The South Kirkby (Brierley) Tunnel passed through Magnesian Limestone to reach the lower beds of sandstone, and clay. Excavation of tunnels and cuttings included the practice of tunnelling into the rock, placing charges, then moving up the contractor’s wagons and detonating the charges so that the blasted rock would fall into the wagons.
One of the notable features of the line was the number of bridges required a result of the elevated nature of the Hull section where it crossed roads, waterways, and the line of the NER. Additionally, being built after the Railway Mania of the 1840s, it had to cross numerous existing lines in southern Yorkshire. Over one hundred bridges were required, over 20 of them within the urban area of Hull alone.
The majority (88) of the bridges were of plate girder construction, usually with three plate sides (one central) supporting cross-beams on which the track was supported. For longer spans a girder N-truss design was used. These larger bridges incorporate rollers on one end to allow for the thermal expansion of the bridge. For other long spans, and for the two swing bridges on the line (Ouse and Hull bridges), open girder truss of approximately parabolic shape (open truss bowstring) were used. Both swing bridges were manufactured by Messrs Handyside of Derby. In addition to wrought iron bridges, brick arches were also used, both for crossing small dykes and country lanes, as well as for the abutments to bridges and in place of embankments on short sections between bridges.
The Hull and Selby line (North Eastern Railway from 1854) had used the easy route through the lowland close to the River Humber, which was practically level and included the longest straight stretch of track in Britain. The Hull & Barnsley had no option but to tackle the hilly, sparsely populated Yorkshire Wolds between Willerby and South Cave, which resulted in a curving, steeply graded route, which not only was expensive to construct but, operationally, put the H&B at a disadvantage. However the H&B route did have two advantages over the NER: as noted above, it avoided the need for numerous inconvenient level crossing that the NER had in Hull, and the H&B actually served the town of Howden, which the NER route missed by 1½ miles.
Although it was constructed primarily for goods traffic many fine passenger stations were provided. Particularly lavish facilities were found at Howden (later renamed South Howden) and South Cave. Beverley Road, Willerby & Kirk Ella, North Cave and Wallingfen had two-storey buildings with the upper storey at the level of the embanked track. Stations had hints of the ‘domestic revival’ style, with decorative external brick courses between floors, brick lintels and some half-timbering; minor embellishments on other brick structures such as bridge buttresses roughly echoed the same style. Stations at the eastern end of the line carried elegant awnings.
In July 1884 work stopped for five months, because of a failure to raise funds through a share issue to pay the workers. Parliament allowed the additional debts to be taken for the work to continue; by completion the total share issue was £6,000,000 and the loans £3,500,000. At this point the line was almost complete, but the subsequent cost-cutting meant that the planned grand terminus close to the centre of Hull was never built; its humble terminus at Hull Cannon Street, originally intended to be a carriage shed, was to be ‘one of the sorry band of temporary stations that became permanent’ (Biddle 1973).
OPERATION (1885–1922)
The HB&WRJR&D Co. began trading with large amounts of debt, and within a year of its opening a price war had begun between the Hull Dock Company and the Hull & Barnsley on dock charges, and between the Hull & Barnsley and the NER on transit charges. Neither of the two Hull-based companies could expect to win against the much larger North Eastern Railway. By 1887 the HB&WRJR&D Co. was seeking a way out of debt and approached the Midland Railway for a possible merger. Reasonable terms were made, but the proposal was rejected by the shareholders of the Hull company. An amalgamation with the NER itself was then proposed, which would have included the NER paying off the HB&WRJR&D's debts; this scheme too was rejected.
The Hull & Barnsley, unable to pay its debts, went into receivership for two years until 1889. The Hull Dock Company amalgamated with the NER in the early 1893 – requiring another Act of Parliament – one condition of which was that in the event of the NER building another dock in Hull, the Hull & Barnsley should give its consent, and be able to make the new dock a joint operation between the two railway companies; this had already been planned in 1891 as part of an unsuccessful merger attempt between the HB&WRJ and the NER. Additionally an agreement was reached that there would be no reduction in dock duties without prior consent or discussion.
On 1 September 1894 the South Yorkshire Junction Railway opened southwards from Wrangbrook Junction for freight traffic. Though independent, it was worked by Hull & Barnsley engines, and it connected the company to more collieries. From 1 December 1894 passenger services were operated from Carlton through Kirk Smeaton (on the ‘main line’) to Denaby & Conisbrough with intermediate stations at Pickburn & Brodsworth and Sprotborough, but they were withdrawn on 1 February 1903. It is possible that ‘Paddy Trains’ used by miners travelling to and from the collieries continued for some time.
In the following years of the 1890s various proposals, including another to merge the NER and H&B, and others for expansion of the Hull docks, were blocked by one party's interests or another's. Finally in 1899 both railway companies agreed to the construction of a new dock east of Alexandra Dock, access to which was from the HB&WRJ's elevated line via an extension from Alexandra Dock, and from a joint line branching off the H&B at Bridges Junction.
In 1902 an extension from Wrangbrook Junction opened, connecting to Wath and further collieries. From 1905 cooperation with the Midland allowed trains to run all the way to Sheffield via Cudworth; the same year Edward Watkin, nephew of the celebrated Sir Edward Watkin, became General Manager of the company. For these express trains bogie coaches were purchased and M Stirling's 4-4-0 tender locomotives were used. From 1907 at Sandholme there were marshalling yards and a turntable, enabling freight trains to be split in two for the steep 1 in 150 section where the line crossed the Wolds en route to Hull.
After coming out of receivership, the fortunes of the Hull & Barnsley recovered and it began to pay reasonable dividends on ordinary stock. In 1905 the Hull Barnsley & West Riding Junction Railway & Dock Company officially changed its named to the shorter Hull & Barnsley Railway. The same year running powers were obtained on the Dearne Valley Railway, to which a curve was built for access. Also in that year the National Radiator Company opened in Hull. The site was served by a siding from Ella Street on the H&B line, as well as being reached by a siding from the NER on the Hull to Bridlington line, forming a non-official line link between the networks of H&B and NER.
In 1916 the Hull & Barnsley and Great Central Joint Railway opened, adding to the number of collieries from which the company could transport coal. The planned passenger service on this line never materialised, although stations were partially built at Snaith & Pollington, Sykehouse and Thorpe-in-Balne and a Doncaster terminus was constructed at York Road.
The H&B never manufactured any of its own locomotives, all being built elsewhere. The first types in use were to the design W Kirtley (Locomotive Superintendent of the London, Chatham & Dover Railway) who was acting as a consultant. Matthew Stirling (son of Patrick Stirling of 'Stirling Single' fame) was the first and only Locomotive Superintendent of the H&B during its independence, and who undertook the rebuilding of some of Kirtley's designs, as well as contracting the construction of his own designs to various builders. His locomotives were typically domeless, and many of the original Kirtley engines were also rebuilt without domes.
Kirtley's locomotives were painted black with grey lining. Matthew Stirling subtly modified the livery – using invisible green (black except in bright sunlight) produced from a 50:50 mixture of 'drop black' and 'Brunswick green'. Lining was of broad stripes of blue (ultramarine) with red (vermilion) edges.The 2-4-0 and 0-6-0 tender locomotives procured by Kitley carried a small cursive monogram of the letters 'HB&WRJR', other locomotives carried the initials 'H&BR'.
A total of 186 engines were operated by the Hull & Barnsley Railway. On merging into the NER the locomotives were briefly renumbered by adding 3000 to the original number. Following incorporation into the LNER, soon after, the surviving locomotives were assigned numbers between 2405 and 2542, in no specific order. Most, except the H&BR Class F3 (LNER Class N13), were withdrawn between 1930 and 1940, the B Class beginning withdrawal earlier in 1925. The last F3 was withdrawn in 1956.
Initially the railway used 30ft 2-axle coaches. By the time services to Sheffield were introduced the company had 4-axle 51ft composite corridor coaches on bogies. Most of the rolling stock was for freight; in 1923 the company had 4,808 freight wagons of which over 3,000 were open wagons. Additionally the company possessed a snow plough, since the cuttings in the Yorkshire Wolds were prone to drifts when snow occurred.
The company also operated a number of vessels in relation to the construction, operation and maintenance of the Alexandra Dock.
NER (1922–1923)
The Railways Act 1921 ended the company's independence; from 1 April 1922 the Hull & Barnsley Railway became part of the NER. The locomotive works at Springhead was downgraded; the extent of locomotive maintenance was reduced and the carriage works closed, and skilled workers and machinery were relocated to Darlington. 43 old engines were decommissioned at this time. Edward Watkin (General Manager) and Matthew Stirling also departed. Because there was already a station of that name in County Durham, Carlton had ‘Towers’ added to its name on 1 July 1922. From the same day North Eastrington and South Howden were the new names of the H&B stations, while the NER stations became South Eastrington and North Howden.

Incorporation into the NER was just part of a larger scale of consolidation throughout the British railway system, and on 1 January 1923 the NER along with the Hull & Barnsley line became part of the London & North Eastern Railway (LNER).
LNER (1923–1948)
The Cannon Street terminus in Hull ceased to be used a passenger station in 1924, this coincided with the construction of a chord to the NER line just north-west of Walton street level crossing to the elevated line. From this time H&B line passenger trains used the former NER Paragon terminus. Newport station was renamed Wallingfen in July 1923 to avoid confusion with the LNER’s Newport in Essex and East and West Newport stations in Fife – and three others elsewhere in Britain.
Mainline freight work commonly used the ex-Great Central Robinson 2-8-0 locomotives (later classified as LNER Class O4). The NER Class P1 0-6-0, NER Class Y 4-6-2T, NER Class T and NER Class T2 0-8-0 locomotives inherited from the NER also replaced Hull & Barnsley types on other freight work.
On 8 April 1929 a halt west of Springhead works and sidings was constructed. It was unstaffed and was one of the smallest main line stations in Britain, with two wooden platforms 25ft in length to accommodate one coach. On the same day that Springhead Halt opened passenger services between Kirk Smeaton and the Wath terminus ended; the southern section of this route between Hickleton & Thurnscoe and Wath closed completely on 2 October 1933.
Passenger services between South Howden and Cudworth ceased on 1 January 1932. H P White (Forgotten Railways, 1986) points out that this was ‘the first closure of any line that could be regarded as a main line, albeit a competing and now redundant one’. At 38½ miles it was possibly, at that time, the longest stretch of line in Britain to lose its passenger service. In 1938/9 North Eastrington station was demoted to an unstaffed halt.
BRITISH RAILWAYS (1948–1994)
Main line freight continued to be worked by 2-8-0 locomotives, with WD Austerity 2-8-0 being ubiquitous. 8F type 2-8-0 locomotives also became common on the southern sections of the line, after through working ended (1958). (A large number of the class were purchased by the LNER from the War Department after the Second World War, and in 1948 by the British Transport Commission.)
In 1951 the single-platform Boothferry Park Halt was opened on the branch in Hull between Springhead South Junction and Neptune Street to serve Hull City Football Club (situated adjacent to the line); the service ended in 1986. The locomotive shed at Cudworth closed in 1951.
Passenger services between Hull and South Howden ended on 1 August 1955. Through freight on the same line ended in 1958, with complete closure between Little Weighton and Wrangbrook Junction on 6 April 1959. Freight working on remaining sections west of Hull (Springhead) ended completely in the next decade. The section between Moorhouse & South Elmsall and Hickleton & Thurnscoe had already closed on 31 May 1954. This was followed by Moorhouse to Wrangbrook Junction (30 September 1963); Little Weighton and Springhead (6 July 1964), between Wrangbrook and both Monckton and Sprotbrough (7 August 1967); and Cudworth to Monckton (29 September 1968).
In Hull the bridge over the NER main line at Hessle Road was removed in 1962 and the elevated H&B dock branch section became connected to the Hull to Selby line at Hessle Road Junction. This was part of a scheme to reduce the number of level crossings in Hull by routing all rail traffic to east Hull via the elevated Hull & Barnsley Line.
All traffic from Cudworth to Wrangbrook Junction ended in 1967. The branch from Beverley Road Junction to Cannon Street closed completely on 3 June 1968. By 1970 the only parts of the line still with traffic were the Hull elevated section and a few short sections with industrial uses. Alexandra Dock closed in the 1980s and the rail connection was removed; subsequently the dock re-opened but without a rail connection.
Part of the elevated line to King George Dock was converted to a single line in 1988 and ‘one train’ working introduced. Increased amounts of imports - specifically coal – resulted in the reintroduction of staffed (tokenised) working in 1992.
Part of the path of the line between Hensall and Drax was opened for Merry-Go-Round trains to Drax Power Station in 1972. The Long Drax swing bridge on the Ouse to the north-east offered a link for future developments and was maintained until 1968, but it was dismantled in 1976.
POST PRIVATISATION
In 2007 over £10 million was allocated to a project to increase capacity on the former Hull & Barnsley Railway branch to the Hull docks. Network Rail, Associated British Ports, Yorkshire Forward, Hull City Council and The Northern Way were involved in funding or supporting the scheme. The work was to include partial re-doubling of the line, remedial and replacement work on the numerous bridges, and signalling upgrades, and to increase the line speed to 30mph, except at Hull Bridge. The capacity of the line was to be increased from 10 to 22 trains in each direction.
In late 2007 the Network Rail gave the contract to GrantRail (now VolkerRail). Work carried out included the reinstatement of a double-track junction at Hessle Road (the junction with the main line, previously singled in 1984), restoration of double track from New Bridge Road to King George Dock, and removal of Ella Street bridge along with strengthening of 15 others. The upgraded line was formally opened in June 2008 by the Transport Minister, Rosie Winterton. Work continued on the line after the official opening; the upgraded signalling system came into use in September 2008.
Work on the ABP-owned portion of the track was carried out by Trackwork Ltd of Doncaster at a cost of over £2.5 million.
In 2013 two bridges were replaced on the docks branch: a minor bridge (James Reckitt Avenue) at a cost of about £1 million, and a major project costing £3.2 million to replace a bridge over the Spring Bank West road.
Text copied from Wikipedia under creative commons licence. Numerous changes and additions to the Wikipedia text made by Alan Young.
Other web sites: For a more detailed history and maps see Hull
& Barnsley Railway Stock Fund web site. Ticket from Michael Stewart. Bradshaw from Nick Catford. Route map drawn by Alan Young
To see the other
stations on the Hull Barnsley & West Riding Junction Railway
click on the station name: Beverley
Road, Springhead
Halt,
Willerby & Kirk Ella, Little
Weighton, South Cave,
North Cave,
Wallingfen, North Eastrington, Sandholme,
South Howden &
Kirk Smeaton
The following
stations on this line are not featured, if you have information
on the present state of these stations and photographs we would
like to hear from you. North Eastrington and all stations west
to Cudworth |