Station Name: SPORLE

[Source: Glen Kilday]


Date opened: 26.10.1847
Location: East side of The Street (C123) north-east of the village on the road to Palgrave
Company on opening: East Anglian Railways
Date closed to passengers: Uncertain; probably 1850.
Date closed completely: Uncertain; probably 1850.
Company on closing: East Anglian Railways
Present state: There is little obvious evidence that a railway once passed the site.  The station’s location, some distance to the east of the lane, is completely destroyed and no significant indication of railway infrastructure remains. There is a sign to Station Cottage where the station entrance track leaves the lane.  The cottage is some way from the former station site and its owner asserts that it was built in the 1990s.  Behind the cottage a wooded railway embankment can be seen.  On the lane the embankment has been cut back on each side and the bridge supports removed leaving no signal, on a casual inspection, that there was once a bridge over the roadway.  There is no permitted public access to the site of the now demolished former station building.  Inspection of Apple Maps imagery shows a site in light industrial and storage use.
County: Norfolk
OS Grid Ref: TF848120
Date of visit: 6.10.2017

Notes: Notes:  Sporle station was several hundred yards to the east of a minor road, like many in Norfolk villages known as The Street.  Access was by way of a track starting just south of a bridge that carried the railway over the Sporle to Palgrave road.  Sporle was the railway’s third temporary terminus, after Narborough and Swaffham, as construction of the Lynn & Dereham was gradually pushed eastwards from Lynn.  Its first traffic arrived from Swaffham on 26 October 1847.  The remainder of the line was opened through to Dereham on 11 September 1848. 

Given its location it is difficult to see what commercial or practical advantage was gained by the Lynn & Dereham over its previous temporary terminus at Swaffham.  The main road connecting Swaffham and Dereham did not pass through or near Sporle and forwarding goods and passengers would be more difficult as a result. 

The exact closure date cannot be found, although various sources state that it was in 1850.  There is a reference to Sporle Station in the London Gazette 5.12.1882 even though the station had been closed for over 30 years. A Norfolk Trade Directory, published in 1854, describes Sporle and Palgrave as one parish, the former a village, the latter a hamlet, a mile and a half distant one from the other.  There were 847 inhabitants of 176 houses, with Baptist and Primitive Methodist Chapels and a Parish Church at Sporle.  It stated that The Lynn and Dereham Railway intersects the parish, passing the site where Sporle Hall formerly stood….. Importantly there was, in 1854, no mention of a station.  The station was certainly still open in March 1850 when it was shown in Bradshaw.  Indeed, it boasted a good service.  All three weekday up and down down trains stopped and two in each direction, labelled as Government Trains, called on Sundays.  All of the trains ran the full distance between Lynn and Dereham.

Timetable from Alan Young, Route map dawn by Alan Young.

Click here for a brief history of the Lynn & Dereham Railway

See other stations on the Swaffham - Dereham line: Middleton Towers, East Winch, Pentney & Bilney, Narborough & Pentney, Swaffham, Dunham, Fransham, Wendling, Scarning & Dereham (E & A station)


The long-lost railway bridge over the The Street at Sporle, looking north.  The station was to the left along a path beside the house, also now lost.  The date is likely to be the early 1900s, more than fifty years after the station closed.
Photo: Sporle and Palgrave History Group: Swaffham Museum Collection


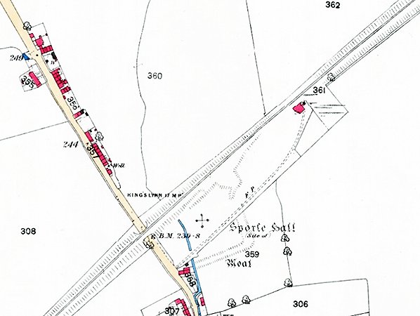
1883 1:2,500 OS Map. The former station building was in place accessed from the Palgrave Road by a footpath.

1950 1:10,560 OS Map. It is clear that very little, insofar as mapping was concerned, had changed in the 100 years after closure of the station.  The short-lived station building remained in place.

A Swaffham to Dereham train, date unknown, near the site of Sporle’s short-lived station.  The small village can be seen in the background.  The seven coach train is hauled by one of S.W. Johnson’s No. 1 Class 2-4-0s.  The forty strong class were built by Sharpe, Stewart & Company and at the GER’s own Stratford Works between 1867 and 1872.  All were scrapped by 1913: curiously the last to go was the prototype locomotive, No. 1.
Photo source is credited to ‘Pegg’ and the image was provided by the Sporle and Palgrave History Group

A Dereham to Swaffham train seen close to the site of Sporle station; the date is not known.  The locomotive is probably one of the variants of Johnson’s No.1 Class 2-4-0s although the boiler and steam-dome are different from the other image above.  A GER ‘Birdcage’ brake-van is at the front of the consist.
Photo from Sporle and Palgrave History Group

Looking east towards the site of Sporle station in July 1982 from The Street railway bridge.
Photo by John Mann


Looking north-east from the site of Sporle station towards the surviving Dunham Road bridge
in January 2017.
Photo from Norfolk by Rail Facebook Group

Looking north-east along the embankment from The Street in January 2017.
Photo from Norfolk by Rail Facebook Group

The railway crossed the lane that leads from Sporle to Palgrave on an overbridge.  Looking north-east from the lane towards where the station stood the cut-away embankment can just be discerned in October 2017: the bridge and supports have long gone.
Photo by Glen Kilday

The railway crossed the lane that leads from Sporle to Palgrave on an overbridge at this spot although there is almost no trace that it did so in October 2017.  The station site was about 150 yards to the right
Photo by Glen Kilday

Beside the lane from Sporle to Palgrave at the entrance to the station site is the only obvious indicator that there was a railway here.  Station Cottage does not refer to the long-demolished station itself but to 1990s home.
Photo by Glen Kilday


 

 

 

[Source: Glen Kilday]




Last updated: Tuesday, 11-Sep-2018 18:22:20 CEST
© 1998-2018 Disused Stations