Notes: Streetly station was opened by the Midland Railway (MR) on 1 July 1879. It was on the double-track Castle Bromwich / Water Orton and Walsall line which was authorised on 6 August 1872 as the Wolverhampton, Walsall & Midland Junction Railway (WW&MJR). The MR was a backer of the scheme, seeing it as a means of gaining access to Wolverhampton from its Birmingham and Derby main line. At Walsall the line had a direct connection with the Walsall and Wolverhampton (W&W) Railway which came into MR ownership in 1876. The line opened to all traffic on 1 July 1879.

Streetly was located in a cutting on the west side of Thornhill Road. Sutton Park, a popular area of natural beauty was just to the east of the station. The line passed through the park and the WW&MJR had faced difficulties obtaining permission to build a line through it.
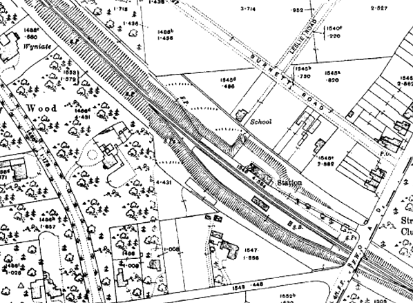
Streetly station had three platform faces. The main facilities were located on the up platform (Castle Bromwich direction) and were reached by a driveway from Thornhill Road, which passed over the line on a bridge. The building was a single-storey red-brick structure, and cross-gables with prominent parapets faced each elevation; small windows were set into the gables at ‘first floor’ level to light the interior.
The down platform (Walsall direction) was an island and had two faces. It had a modest single-storey brick building with a shallow pitched roof and raised gables. To reach the down platform passengers used a barrow crossing at each end of the station.
Just to the east of the down platform building there was a timber MR signal box.
The station did not have goods facilities.
At the time of opening the station was served by trains running between Birmingham New Street and Wolverhampton High Level via Walsall.
The December 1895 timetable showed eleven trains in each direction on Monday-to-Friday. On Saturdays there was an extra up service and there were 3 trains each way on Sundays.
In January 1909 the MR altered the route of most of its trains so that they ran between Walsall and Wolverhampton along an LNWR route that had been created in 1881; this was to avoid a reversal at Walsall. The April 1910 timetable showed Sutton Coldfield as having fifteen up and fourteen down trains on Monday-to-Friday, as shown in the table below. There was an extra up and down train on Saturdays and four in each direction on Sundays.
| Up Trains April 1910 |
Destination |
Down Trains April 1910 |
Destination |
| 6.43am |
Birmingham New Street |
7.06am |
Wolverhampton High Level |
| 7.25am |
Birmingham New Street |
8.15am |
Wolverhampton High Level |
| 7.59am |
Penns |
8.50am |
Wolverhampton High Level |
| 8.20am |
Birmingham New Street |
9.40am |
Wolverhampton High Level |
| 9.01am |
Birmingham New Street |
11.12am |
Wolverhampton High Level |
| 10.40am |
Birmingham New Street |
12.04pm (Saturdays Only) |
Wolverhampton High Level |
| 12.52pm |
Birmingham New Street |
1.40pm |
Wolverhampton High Level |
| 1.35pm (Saturdays Only) |
Birmingham New Street |
2.35pm |
Wolverhampton High Level |
| 2.20pm |
Birmingham New Street |
4.39pm |
Wolverhampton High Level |
| 4.23pm |
Birmingham New Street |
6.05pm |
Wolverhampton High Level |
| 5.49pm |
Birmingham New Street |
7.08pm |
Wolverhampton High Level |
| 6.33pm |
Sutton Park |
8.05pm |
Wolverhampton High Level |
| 7.38pm |
Birmingham New Street |
9.37pm |
Wolverhampton High Level |
| 8.49pm |
Birmingham New Street |
10.25pm |
Walsall |
| 9.47pm |
Birmingham New Street |
11.45pm |
Walsall |
| 10.40pm |
Birmingham New Street |
|
|
By 1922 the service had reduced to eleven trains in each direction Monday-to-Saturday with three services in each direction on Sundays.
On 1 January 1923 both the MR and the LNWR became part of the London Midland & Scottish Railway (LMS). The summer 1932 timetable showed thirteen up and fourteen down trains Monday-to-Saturday and two in each direction on Sundays. By this time the trains serving Streetly ran mostly between Birmingham New Street and Walsall only, passenger services over the former W&W line having ceased on 5 January 1931.
By the 26 September 1937 timetable the service had reduced to eleven up and ten down services Monday-to-Friday. Four of the up services went only as far as Sutton Park and three had originated from there. On Saturdays there were three extra up trains and three down. All of the extra up services went to Sutton Park and two of the down oroginated from there. On Sundays there were two trains in each direction.
On 1 January 1948 Streetly became part of British Railways (London Midland Region). The summer 1948 timetable showed only four up and four down trains Monday-to-Friday. On Saturday there were was an exta up and two down trains but nothing called on Sundays.
By the early 1950s the southern face of the island platform had gone out of use and the line that served it was lifted. The trackbed quickly became overgrown with trees, and the station appeared as if it had only ever had two platforms. The signal box had also gone by this time.
The service did not improve much in the 1950s with the summer 1957 timetable showing only five trains in each direction Monday-to-Saturday. On Saturdays the 6.35am up train ran to Kingswear Devon. Between 2.15pm and 9.49pm on Sundays there was an hourly service of eight trains in each direction running between Walsall and Sutton Park. More trains ran on Sundays than mid-week presumably to carry passengers to Sutton Park for a leisure visit. In the late 1950s BR fitted totem name signs in the station.
By 1961 there were only four trains in each direction Monday-to-Friday running between Birmingham New Street and Walsall operated in the main by DMUs. An extra up and two extra down services ran on Saturdays. Nothing ran on Sundays. The 1963 Reshaping of British Railways (‘Beeching’) report recommended the withdrawal of the passenger service between Birmingham New Street and Walsall via Penns. The formal proposal of closure was published on 15 October 1963. As it was down to only a handful of trains per day there was little protest, and on 10 September 1964 Ernest Marples, the Minister of Transport, announced his decision that the line should close. The passenger service was withdrawn on Monday 18 January 1965, the last trains having run two days earlier.
The station building survived until the 1980s. By 2012 the site of the main station building had become a residential development.
The line through Streetly had always been a major freight artery and it remained so in July 2013.
Tickets from Michael Stewart, timetable from Chris Totty and route map by Alan Young.
Sources:
To see other stations on the Castle Bromwich and Wolverhampton line click on the station name: Castle Bromwich, Penns, Sutton Coldfield Town, Sutton Park, Aldridge, North Walsall, Bentley, Short Heath, Willenhall Stafford Street,
Wednesfield and Heath Town
See also Brownhill branch stations: Walsall Wood and Brownhills
|