Notes: In 1905 steam railmotors were introduced
between Oxford and Bicester to attract new commuters from the growing
suburbs around Oxford. These were later supplemented by the 'Michelin',
a prototype petrol railmotor.
The 'Micheline' petrol railmotor
|
The Micheline was a 24 seater vehicle running on pneumatic
tyres which are were adapted for use on railway tracks and
propelled by an internal combustion engine.
At the same time six new halts were built between Oxford
and Biscester at Summertown, Wolvercote, Oxford Road, Oddington,
Charlton and Wendlebury; they were all unstaffed with tickets
being sold by the conductor.
|
The six halts were withdrawn from service during WW1 (1.1.1917)
and reinstated after the war (5.5.1919). The service was once
again withdrawn in 1926 during the General Strike and with the
introduction of new bus services never reinstated.
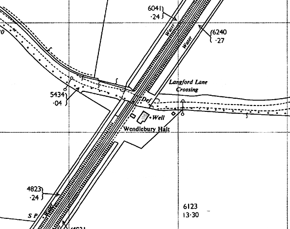
Wendlebury Halt had two short low platforms, little more than the length of the railmotor. There was a substantial crossing keepers house with a well in the garden.
BRIEF HISTORY OF THE OXFORD -
CAMBRIDGE RAILWAY (Oxford - Bletchley section)
The first railway came to Oxford in 1844 when the GWR opened its
line from Didcot.
In 1847 the Buckinghamshire Railway Company was formed to promote
two lines, one between Oxford and Bletchley with the second running
north to Banbury from a junction near Winslow.
Construction of the Banbury line started first on 20th April,
1847 with work starting on the Oxford line on 13th June 1848.
The line to Banbury opened first on 1st May, 1850 with a 16 mile
section of the Oxford line between Bletchley and Islip opening
on the 1st October, 1850.
The remaining section between Islip and Oxford was more problematic.
The company had originally hoped to run into the GWR station at
Oxford with a junction with the Oxford, Worcester & Wolverhampton
Railway north of the city. The GWR wouldn't allow this however
and after several other proposals were also rejected the final
solution was to build a parallel line into a new terminus at Oxford
adjacent to the GWR station.
A temporary terminus at Banbury Road (Oxford Road) on the outskirts
of Oxford was opened on 2nd December, 1850 while negations were
underway to acquire land for the extension into the city. The
new terminus was on the site of Rewley Abbey, a Cistercian Monastery
that dated from 1287. To reach Oxford the line had to cross the
Oxford Canal or navigable branches of the canal on its approach
to the terminus and the railway company was forced to build a
number of bridges one of which was a swing bridge over the Sheepwash
Channel, a navigable link between the Oxford Canal and the River
Thames.
The final section of the line into Oxford was finally opened
on the 20th May, 1851 with stations on the Oxford to Bletchley
line at Islip, Bicester, Claydon and Winslow. Stations were later
added at Swanbourne (by October 1851), Launton (1852), Verney
Junction (1868) and Marsh Gibbon & Poundon (2.8.1880). Initially
only the section between Bletchley and Claydon was double track
but the remaining section of the line between Claydon and Oxford
was doubled in 1854.
From the outset the Buckinghamshire Railway was worked by the
London & North Western Railway. From 1st July 1851 the LNWR
leased the line for 999 years before finally absorbing it in 1879.

The Bletchley to Bedford line had opened in 1846 and the opening
of the Bedford to Cambridge line in 1862 provided an important
cross country link between Oxford and Cambridge forming one of
the few east-west routes, with the capability of reaching the
east coast ports. Most services however ran from Oxford to Bletchley
and from Bletchley to Cambridge.
The Second World War intensified traffic on the line like never
before. The largest single development of that period being the
Bicester Military Railway. With the return of peace and the nationalisation
of the run down railway network the newly formed British Railways
board was looking to close unprofitable lines. The terminus at
Oxford Rewley Road closed on 1st October 1951 just over a 100
years after it had opened and trains we rerouted into the old
Great Western station.
In 1955 The Railway Modernisation Plan proposed improvements
in cross country facilities between Oxford and Cambridge with
the aim of maintaining a link between the major main line railways
outside the congested Greater London area thereby allowing freight
traffic to be transferred between three railway regions and easing
the burden on London marshaling yards. Within a few years the
policy changed and the line was not upgraded with the Bletchley
flyover remaining as a monument to the fruitless proposal.
An attempt was made to close the Oxford - Bletchley - Cambridge
line in 1959 but local pressure succeeded in winning a reprieve.
There was some relief when Dr. Beeching did not include the cross
country Oxford to Cambridge line in his closure proposals in 1963
but just one year later, the British Railways Board published
closure plans for the whole route. The introduction of new diesel
trains in the 1960's allowed British Railways to run much faster
trains and the need for a cross country service declined as passengers
found it quicker to travel from Oxford to Cambridge via London.
The line closed after the last day of service on 30th December
1967 although the section between Bletchley and Bedford remained
open.
The line between Oxford and Bletchley remained in use for freight,
empty stock movements and occasional enthusiasts' specials. The
section between Oxford & Bicester London Road was reopened
on 15.5.1989 and in 2001 the Strategic Rail Authority looked into
reopening the remaining part of the line for passengers between
Bicester and Bletchley but this proposal has now been rejected.
The junction at Bletchley was severed some years ago and the
track has now been lifted back to Swanbourne. Between Swanbourne
and the junction with the Great Central at Claydon a single track
is still in situ but now heavily overgrown and out of use; level
crossing gates have been removed and replaced with permanent fencing.
This section is officially listed as 'mothballed'. From Claydon
Junction to Oxford the line is in regular use as part of the freight
line between Aylesbury and Oxford.
Route map drawn by Alan Young
Sources:
- Oxford to Cambridge Railway (Volume 1 Oxford - Bletchley)
by Bill Simpson - Oxford Publishing Company 1981 ISBN 86093
120 X
- Forgotten Railways - Chilterns & Cotswolds by R Davies
& MD Grant - David & Charles 1975 ISBN 0 7153 6701 3
To see the other
stations on the Oxford - Cambridge line click on the station name:
Oxford Rewley Road, Port
Meadow Halt, Wolvercote
Halt, Oxford
Road Halt, Islip,
Oddington
Halt, Charlton
Halt, Bicester
London Road, Launton,
Marsh
Gibbon & Poundon, Claydon,
Verney
Junction, Winslow,
Swanbourne,
Bedford
St. Johns, Willington,
Blunham,
Girtford
Halt, Sandy,
Potton,
Gamlingay,
Old North
Road & Lords
Bridge - see also The Bedford
Railway (stations still open)
|