Notes: The station was opened as Bestwood & Arnold but a few weeks later it was renamed Daybrook for Arnold and Bestwood in March 1876; in August 1876 it became Daybrook. Although it retained this name until closure it was often referred to as Daybrook for Arnold (incorrectly spelt Alnold on some tickets issued by the LNER) and this name appeared on signs and tickets.
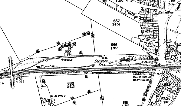
The station had two facing platforms. The main station building was on the up side and was similar to others on the Derbyshire extension comprising a single-storey block for the booking office, waiting rooms and toilets (gents’ at west end) with a two-storey L-shaped stationmaster's house attached to the east end. The roofs were steeply pitched with tall chimneys and finished in slate. Red bricks with blue brick courses formed the walls of the building. A timber waiting room with a hipped slate roof was provided on the down platform. Passengers crossed the line using a barrow crossing. Access to the station was along a short approach from Mansfield Road called Station Road.
The goods yard was on the up side to the west of the station and it initially comprised a loop from which two sidings diverged; one long siding ran along the northern boundary of the yard and had (by 1904) a 10-ton capacity crane alongside, and a shorter siding ran into a cattle dock ands pens behind the west end of the up platform. Entrance to the goods yard was from the station forecourt; just inside the entrance were a weighbridge and office with a water tank on a metal tower alongside. All traffic movements around the station were controlled by a signal box on the north side of the loop.
Following the arrival of the Nottingham Suburban Railway in November 1889, the goods yard was significantly enlarged requiring the purchase of more land to the north. The original siding along the northern boundary was provided with a brick goods shed with the siding now running through it. An additional parallel siding was added to the north. On new land to the north a further pair of parallel sidings was added. Two down sidings were also provided; a short siding ran up to the west end of the down platform with a longer siding running behind the platform. The station was also provided with a lattice footbridge at the east side of the platform buildings. A second signal box was provided opposite the junction with the Nottingham Suburban Railway. Daybrook Junction box was closed after the NSR was converted to single-line operation and demolished in 1934.
The Be-Ro flour processing works was built on the north side of the station concourse in 1931. It produced flour for the home baking market. Be-Ro originated in Newcastle (Thomas Bell) in 1895 with a second main depot opening in Daybrook to allow the company to expand into the Midlands. In 1958 the business was acquired by Rank-Hovis Ltd, which later became part of the newly formed Rank-Hovis-McDougal in 1961. The northernmost siding was extended into the works.
In later years the station had a very meagre service. December 1946 Bradshaw (reproduced below) shows five up trains into Nottingham and six in the opposite direction. Three of the up trains were in the early morning and catered for commuters to Nottingham. Only one of the down trains was in the morning, with three later afternoon and evening services once again catering for commuters returning from Nottingham.
Daybrook station closed to passengers on 4 April 1960 following subsidence in Mapperley Tunnel, and until the edition of winter 1961-2 the Eastern Region timetable noted that its service was suspended. Closure to passengers of the Basford (North) to Netherfield & Colwick line through Daybrook was made official on 12 March 1962. The station remained open for goods traffic, reached only from Leen Valley Junction to the west. Final closure to all traffic came on 1 June 1964. For a short period after closure the line to the west of the station was used to store condemned rolling stock including passenger carriages and coal wagons.
The track through Daybrook station was lifted in August 1965. The station remained in a derelict state but by 1970 the west end of the site was lost under the Longdale Road residential development. The station buildings survived until at least 1971; at that time they were being used by Rank Hovis McDougal to store redundant plant and machinery. RHM eventually acquired the remainder of the station site, and some time in the 1970s the buildings were demolished to make way for a warehouse for the plant; this warehouse was later extended almost up to Mansfield Road. After closure of the flour mill the site was once again cleared (c1990s) prior to the construction of the Madford Retail Park which opened in 1994. A public footpath to Edwards Lane runs along the south side of the station site
Click here to see an inaccurate 1975 Russian map of Daybrook
GNR DERBYSHIRE & STAFFORDSHIRE EXTENSION
The GNR Derbyshire & Staffordshire Extension, locally known as the (Derby) Friargate Line, linked Nottingham and Grantham to the east of the East Midlands counties with Burton upon Trent to the north-west of the area. It was an extension of the Ambergate, Nottingham, Boston & Eastern Junction Railway which had been acquired by the Great Northern Railway.
The intrusion of the GNR Derbyshire extension lines into the coalfield area was routed round the northern part of Nottingham between Colwick, Daybrook and Basford, through the 1132yd Mapperley Tunnel to avoid building the railway over a ridge. From Basford the new railway headed towards Egginton Junction where it joined North Staffordshire Railway metals.
The Derbyshire & Staffordshire Extension Railway was authorised by the Great Northern Railway (Derbyshire & Staffordshire) Act of 1872 and was completed in 1878. The construction of the line had been difficult for, rather than following natural routeways, its tracks were laid across the grain of the land and encountered hilly country broken into blocks by broad valleys. Trains were carried high above the River Leen by a nine-arch brick viaduct at Bulwell, but less than two miles further west they were running through a tremendous limestone cutting punctuated by a short tunnel at Watnall. The Erewash Valley presented another formidable problem, but the way in which this was tackled gave the line its most distinctive engineering feature and one which figured prominently in the landscape: the Ilkeston viaduct. West of Ilkeston the ground undulated less, but cuttings and severe gradients abounded, and another viaduct was necessary at Breadsall, and tunnels were bored near West Hallam and Mickleover.

Though an enormous amount of capital was committed to the new railway it proved to be money well spent, for the company captured a large slice of local colliery traffic by way of feeder branches projected along the Erewash and Leen valleys. Passenger trains worked from Stafford, Burton upon Trent or Derby to Nottingham and Grantham, and excursions destined for both east and west coast holiday resorts were very much in evidence during summer months. However, in order to overcome local opposition, the GNR had had to agree to LNWR running powers from Burton upon Trent, which somewhat diminished the value of their investment. The LNWR had even better access from December 1879 with the opening of the GN&LNWR joint line from Melton Mowbray to Market Harborough, the northern section having already opened on 30 June.
A branch from Kimberley to Pinxton opened for coal traffic in 1875 with a passenger service starting on 1 August 1876. The area through which it passed was intensively mined. In July 1881 the GNR acquired the Stafford & Uttoxeter Railway gaining a through route from Grantham to Wales via the Ambergate, Nottingham, Boston & Eastern Junction Railway. The Leen Valley line was opened in 1882 from the Derbyshire extension west of Daybrook to sidings near Newstead, some seven miles further north, and represented another major attempt to secure colliery traffic.
On 23 January 1925 Mapperley Tunnel suffered a roof collapse owing to mining subsidence. A section of roof about 12yd long collapsed, blocking the line with approximately 150 tons of rubble. Whilst repairs were undertaken traffic was diverted along the Nottingham Suburban Railway. The tunnel was repaired, but the continuing effects of subsidence resulted in speed restrictions in the 1950s.
Regular services west of Derby were withdrawn as early as 1939, but a fairly generous timetable remained in operation over the rest of the line. After further subsidence in Mapperley Tunnel the line between Basford and Netherfield closed to passengers on 4 April 1960 and, with it, the stations at Daybrook and Gedling & Carlton. The closure was supposed to be temporary, and the intention was to reopen the line and stations after repairs to the tunnel had been completed; however the line never reopened and was permanently closed from 12 March 1962. All services from Derby now ran into Nottingham Victoria via the Great Central. The Pinxton branch closed on 7 January 1963 and trains ceased to run between Derby Friargate and Nottingham Victoria on 7 September. East of Mapperley tunnel the line remained in use to serve Gedling Colliery. The colliery closed in 1991 and the line was closed in 1995.
BRIEF HISTORY OF THE NOTTINGHAM SUBURBAN RAILWAY
In the 1880s, the city of Nottingham had expanded into its surrounding villages and hamlets which, in turn, had grown into suburbs. These needed to be connected to the rail network. At this time the only competition to the railways came from horse-drawn trams and omnibuses which were slow, could only carry light loads and not travel long distances.

The 1860s and 1870s had seen the unrivalled success of the London underground railway system and its associated commuter lines so, in the late 1880s, a group of Nottingham businessmen felt that the creation of a railway on similar principles would benefit the city’s rapidly growing suburbs.
Historical development
The Great Northern Railway had opened its Derbyshire extension line into Nottingham in 1878; however its principal concern had been to link up the numerous coal mines to passenger traffic. In addition, trains had to make a 7¼-mile circuitous journey from Nottingham, first travelling eastwards to Colwick (later known as Netherfield & Colwick) before heading north-west through Gedling, Mapperley and Daybrook to Basford which, on a direct route, was a mere 3¼ miles from the city centre. The Nottingham Suburban Railway, so its backers thought, could complement the Great Northern’s extension line as well as providing a more direct route into the city. An agreement was arrived at whereby the GN would work the proposed line, providing all the locomotives, rolling stock and staff; in return it would retain 55% of the gross receipts. Despite this arrangement, it is worthy of note that the Nottingham Suburban Railway company remained an independent entity until 1 January 1923 when it was absorbed by the London & North Eastern Railway.

Passengers were not the only motivation for building the line. One of the leading promoters, Robert Mellors, was chairman of the Nottingham Patent Brickwork Company whose works were on the proposed route at Thorneywood, and it was put forward that a branch be built to serve them. This plan received approval from a director of the company, Edward Parry, who would go on to become the line’s chief surveyor and structural engineer. The branch would become the only one of note from the line, running a distance of just 198yd, of which 110 were in a tunnel taking it beneath Thorneywood Lane before climbing an inclined plane along which wagons were hauled to and from the brickworks.
The company obtained its Acts during 1886 and these were strongly supported by Nottingham City Council. By October 1886 Parry had surveyed and staked out the route. Construction work began in June 1888. Some 3¾-mile in length, it ran from a junction with the Great Northern Railway at Trent Lane and headed north to another junction with the GN’s Derbyshire extension line at Daybrook. Intermediate stations were built at Thorneywood, St Ann’s Well and Sherwood.
Because of the hilly terrain, the railway proved extremely costly to build, with one-sixth of it built in four tunnels, the longest being just over quarter of a mile long. In addition, there were seven brick-arched bridges, nine girder bridges of which three were over 100ft in span, eight culverts and numerous retaining walls, embankments and cuttings. Construction costs were increased by a third as the Midland Railway insisted that all bridges carrying the line over its metals were at least 50ft wide whilst the Great Northern demanded a flyover at Trent Lane to avoid conflicts on their Nottingham-Grantham line.
Despite these adversities, the line was completed by 23 November 1889 and opened both to passenger and goods traffic on 2 December of that year.
Operational history, decline and closure
In 1890 there were ten trains per day running out of London Road along the line to Daybrook, four of which continued through to Newstead. In the opposite direction were nine trains of which four originated from Newstead. There was no Sunday service. The journey time from Nottingham to Daybrook was a very respectable 13 minutes. By 1895 there was a through train to Ilkeston which, on Fridays, was extended to Derby Friargate.
Unfortunately, within a little more than ten years, two developments occurred that would render the Nottingham Suburban Railway superfluous. The first was the arrival of the Great Central Railway which, in 1900, had opened up an even more direct route into Nottingham. Trains along the GC’s own Leen Valley railway could run directly from Newstead via Bulwell, New Basford and Carrington into Victoria Station, thus cutting out the lengthy negotiations of Daybrook Junction and Leen Valley Junction on the Great Northern route.
The second was the introduction of the electric tram. Horse-drawn trams had been operating in Nottingham since September 1878; however the arrival of the electric tram offered a quicker, more frequent service than the trains. The first route opened to Sherwood - running along Mansfield Road close to Sherwood Station - on 1 January 1901. Extensions to St Ann’s came on 21 February 1902, Thorneywood on 16 December 1910 and Daybrook on 1 January 1915. With their comparatively light loads and easy acceleration, the trams could negotiate the gradients in the hilly east of Nottingham more easily than steam locomotives. Indeed the clanging of the tram bell would, in the coming years, often sound the death-knell for many a suburban railway station.
A third factor was offered to Railway Magazine (August 1961) by a correspondent, J P Wilson, as an addendum to an article about the Nottingham Suburban Railway in the magazine two months earlier. He noted that the line traversed one of the few areas of the city of Nottingham where little housing development had taken place by the start of World War I. Only Thorneywood station was at all conveniently situated when the line was open, while St Ann’s Well was particularly remote. He added: ‘In the last thirty years small housing estates have come near to all three stations, far too late in the day to have any influence. One can only conclude that the whole project was something of a gamble, especially as to passenger traffic’.
The 1 in 49 gradient from Trent Lane Junction, which was also on a curve, posed particular problems for the GN’s Stirling 0-4-4 tanks which worked the line. In order to achieve faster journey times than the trams, some of the suburban services were run non-stop from London Road to Daybrook. By 1914, whilst there were still eight trains per day each way along the line, only four of these stopped at the intermediate stations. For example, St Ann’s Well saw departures for Basford & Bulwell at 7.55am and, to Shirebrook, at 9.11am, 1.20pm and 4.58pm. In the opposite direction, trains departed for Nottingham at 8.24am, 2.21pm and 6.01pm. It is also worthy of note that other trains passed through the station at 11.38am, 8.40pm and 9.50pm en route to Shirebrook and to Nottingham at 10.36am, 12.59pm, 9.20pm and 10.41pm. Even before the closure of the intermediate stations - which at this time was less than two years away - more passenger trains passed through than stopped. One can only imagine the long-deserted platforms at St Ann’s Well which, just a few years earlier, had anticipated unprecedented numbers of customers.
As a supposed wartime economy measure, the three intermediate stations were closed to passenger traffic on 13 July 1916 and, thereafter, just two trains a day along the Leen Valley route used the line. After the war it became evident that the Great Northern had little interest in promoting services along the line nor reopening the intermediate stations. Bradshaw of July 1922 shows that, just prior to grouping, only three trains passed daily over the line.
On 25 January 1925 the collapse of Mapperley Tunnel on the Great Northern extension brought a brief flurry of activity for the Nottingham Suburban when all Leen Valley passenger and coal traffic was diverted over the line whilst repairs were effected.
Also, on 10 July 1928, their majesties King George V and Queen Mary opened the Royal Show at Wollaton Park and the new university buildings. Between these two events their majesties reviewed a huge gathering of school children in Woodthorpe Park. As the nearest station was Sherwood, both Thorneywood and Sherwood stations were renovated and re-staffed for the occasion. This made it possible for 6,550 of the 17,500 children and 284 of their teachers to be brought in on 13 special trains. It is ironic that, on that one day, the two stations saw more activity than they had ever done during their operational days.

The line was converted to single track with the removal of the down line on 9 February 1930 when the signal box at Sherwood was closed and all signalling removed. The line was then worked by staff who unlocked the ground frames controlling the siding connections. Not long after, the footbridges and canopies were removed from the stations, a clear indication that they would never reopen. The last passenger train to use the line was the 5.05pm Nottingham Victoria to Shirebrook via Trent Lane Junction on 14 September 1931. Services had lasted just 41 years, with the intermediate stations faring even worse with an operational life of just 26½ years.
The next misfortune to befall the line occurred on the night of 8 May 1941 when, during Nottingham’s worst air raid of the Second World War, considerable damage was done in the Sneinton area. A bomb landed on the southern section of the line damaging a bridge over the Midland Railway and blowing away part of the embankment. This was never repaired and buffer stops were erected at either side, effectively creating two dead ends.
Subsequently the goods service along the line was reduced to a thrice weekly pick-up, carrying domestic coal between Daybrook and Thorneywood only. But even this ended on 1 August 1951 thus bringing the story of the Nottingham Suburban Railway to an end. The last-ever passenger train to run over the line had been a chartered enthusiasts’ special between Daybrook and Thorneywood on 16 June 1951. Apart from a short section at Daybrook, the tracks were lifted between June and October 1954. When the connection at Daybrook Junction was removed on 24 February 1957, the end of the line had truly come.
Today little evidence remains of the Nottingham Suburban Railway. Being situated in the city’s suburbs, both residential and industrial developments have obliterated most traces of it. The line's course from Thorneywood station to Sneinton Tunnel has been made into a footpath. The latter’s portals have been partially obscured by infilling but access into the bore is still possible for members of the local gun club. Descending to Sneinton Dale, nothing remains of the three-arch viaduct which once took the line over it and the site is now occupied by a doctor’s surgery, medical centre and police station. The footpath resumes at a point just south of Sneinton and follows onwards to Colwick Road where the bridge has been removed. The girders of the bridge over the Midland Railway have gone; however the segmental arch and abutments at Trent Lane still exist.
Few people are now aware that the Nottingham Suburban Railway existed. The line which was built to serve early commuters has almost disappeared but one cannot help wonder whether it might have found a fruitful role today, when we are all being urged to ditch the car in favour of public transport. Could it have formed the basis of a regenerated public transport infrastructure in the city? We will never know.
Tickets from Michael Stewart. Bradshaw from Nick Catford. Route maps drawn by Alan Young. Totem from Richard Furness.
Further reading:
Story of the Nottingham Suburban Railway: Pt. 1: Conception, Construction, Commencement David G Birch - Book Law Publications 2010
The Story of the Nottingham Suburban Railway: v. 2: The Operational Years David G Birch - Book Law Publications 2012. Volume 3 has yet to be published.
To see other stations on the Nottingham Suburban Railway click
on the station name:
Nottingham Victoria, Nottingham London Road Low Level, Nottingham London Road High Level, Thorneywood, St. Ann's Well & Sherwood
Take the Grand Tour - A photographic survey of all the tunnel portals and bridges along the Nottingham Suburban Railway in 1904. |