Connections between the LNWR and WM&CQR at Hope

[Source: Paul Wright]


As authorised on the 7th of August 1862 the Wrexham, Mold & Connah’s Quay Railway (WM&CQR) between Wrexham and Buckley was to be an isolated concern that could only carry goods beyond the immediate area by sea from Connah’s Quay which it had access to via an agreement with the Buckley Railway. However the WM&CQR line crossed over ‘The Mold Railway’ to the north of Hope. The ‘Mold Railway’ had been opened by the Chester and Holyhead Railway from Saltney Ferry to Mold on the 14th of August 1849 and by the 1860s was part of the London & North Western Railway empire (LNWR). The WM&CQR had formed a good relationship with the LNWR who saw opportunities in co-operative working.


Looking north from a passing train at Penyfford towards the Penyfford Junction in August 1953. The connecting line to the former LNWR Chester and Mold line branched off to the left just beyond the signalbox.
Copyright photo by H C Casserley

In order to achieve this the 1862 Act allowed for the construction of two chords that would connect the WM&CQR and LNWR systems. The first chord would run from south, on the WM&CQR at what later became known as Penyfford Junction, to west on the LNWR line at what would become known as Hope Junction. The second chord would run from north, on the WM&CQR to west on the LNWR line to the same point as the first chord.

Work began on the WM&CQR on the 22nd of October 1862. The line between Wrexham and Buckley was complete by the end of 1865 and it officially opened to passenger services on the 1st of May 1866. The chords were not ready at the time of opening but an excursion was run to Bangor from Wrexham in August 1866 which travelled via the LNWR line. The chord must have been completed by that date. The second chord was not completed at all despite the fact that the earthworks for it were mostly in place.

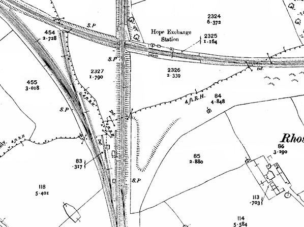
This 1872 1:2,00 OS map shows the two chords. The north chord was never completed.

The south to west chord started from the single track WM&CQR and curved towards the west. It doubled to provide siding space and then continued on to the LNWR line which was a double track railway. From the beginning it was used by goods services that had mostly originated from the Wrexham area and which passed down to the LNWR line for an onward journey. Coal was the most prominent product but so to were metal products and bricks. Most of this traffic went east towards Chester which necessitated reversal. Engines were changed at the Chord with LNWR engines taking wagons onto their network and visa versa with the WM&CQR. Signal boxes controlled the junction’s at each end of the chord. The WM&CQR box was originally called Hope Junction but was later renamed as Pennyfford Junction. The LNWR Box was originally named Mold Junction but was later renamed as Hope Junction.


Penyfford Junction looking north if February 2011. The chord that once provided access to the Chester and Denbigh line can be seen leading off to the left. At the top of the incline adjacent to the metal pylon lies the remains of Hope High Level station.
P
hoto by Paul Wright

No scheduled passenger services used the chord but has been mentioned it was used by excursions. Instead of through services platforms were provided on both lines at the point were they crossed. The WM&CQR platform was on the north side of the LNWR line and the LNWR platforms were on the east side of the WM&CQR. The station’s were called Hope Junction, later to become Hope Exchange and even later Hope High and Hope Low Levels.

In 1877 a station opened to the south of the Penyfford Junction. It was called Pennyfford.


The site of Hope Junction looking west in March 2011 from the trackbed of the LNWR Chester and Denbigh railway.
P
hoto by Paul Wright

On the 18th of August 1882 the WM&CQR obtained an Act that authorised a number of improvements including doubling of their main line and the creation of a new south to east chord at Hope. The proposed chord would allow through running of services between Wrexham and Chester via the LNWR line without the need for reversal. There was also a proposal by the LNWR to build a new station to the east of the Exchange platforms beyond the proposed east junction. The proposed chord was called ‘Railway Number 7’ in the Act.

By 1882 the original chord had been developed with additional sidings.

This 1912 1:2,00 OS map shows the sidings that were added. The earthworks for the south to east chord can also be seen.

The proposed chord ‘Railway Number 7’ was authorised to have a double track railway with sidings on both sides. The work for the construction of the south to east chord was let to William Davies. According to an entry in his diary the chord was completed by the 7th of February 1888. The board of trade were informed on the 16th of March 1888 that all of the lines were complete but in August a correction was sent to them saying that the chord was not complete. Events would prevent the chord from being brought into use and if track was ever laid or connected to the main lines is not known although examination of Ordnance Survey maps only show earthworks and a change of field boundaries to accommodate the chord..


Looking west towards Mold along the trackbed of the LNWR Chester and Denbigh line at the site of Hope Junction in March 2011. The buffers were placed at this location in 1985 when the line between here and Mold was lifted. The last trains had run to Mold in March 1983. The chord line between the WM&CQR Penyffordd Junction and this point was left in situ and was used as sidings for many years after the line to Mold closed. When this picture was taken even the chord line had been out of use for over a decade.
P
hoto by Paul Wright

On the 22nd of March 1889 Henry Robertson a director of the WM&CQR who was in favour of greater ties which the LNWR died and on the 24th of March his colleague Benjamin Piercy who had a similar viewpoint also died. After 1889 the WM&CQR moved closer to the Manchester, Sheffield & Lincolnshire Railway (MS&LR) who opened a line from Chester to the WM&CQR which ended the need for a south to east chord at Hope.

The original chord continued to serve the purpose for which it had been built and excursions continued to run over it. In June 1902 the funeral train of Mrs W E Gladstone, the wife of the former prime minister, travelled over the chord. The train had started out from Hawarden the family home of the Gladstones. It stopped at Penyfford and the engine propelled it via the chord and onto the LNWR line. It then headed east and went on to London via Chester.


Looking southeast along the LNWR Hope Junction to WM&CQR Pennyfford Junction connecting chord in March 2011. By this date the chord had become heavily overgrown. It had last been used by through trains in March 1983 but had been used by sidings after that date.
P
hoto by Paul Wright

On the 1st of January 1905 the chord became part of the Great Central Railway (The MS&LR had renamed itself in 1897) which formally absorbed the WM&CQR on that date. The WM&CQR had in fact been insolvent since 1897. The Chord passed to the London & North Eastern Railway (LNER) on the 1st of January 1923. The LNWR line passed to the London Midland & Scottish Railway (LMS) on the same date.

On the 1st of January 1948 both lines and the connecting chord became part of the nationalised British Railways (London Midland Region). On the 1st of September 1958 Hope High and Low Level Stations closed. On the 28th of April 1962 passenger services on the former LNWR line were withdrawn completely. It was after this date that the south to west chord took on a new role. On the 2nd of February 1970 the LNWR line from Hope Junction at the west end of the chord to Mold Junction (at Saltney Ferry) was taken out of use and lifted. Goods services still needed to access the former LNWR line as it remained open to Rhydymwyn. All services had to run via the south to west chord.


Looking southwest along the route of the Hope south to east curve in April 2011. Although the eathworks were completed the line was never opened. In the distance can be seen the original WM&CQR line which by 2011 was branded the 'Borderlands' line.
P
hoto by Paul Wright

On the 21st of May 1976 the Royal Train passed over the chord on its way to Mold where it was stabled. The Queen who was attending an event in Mold had left the train at Caergrwle as the by then closed Mold station was deemed as an unsuitable place for the Queen to arrive at.

In 1978 the LNWR was cut back to a point to the west of Mold but trains continued to run to the Synthite Factory that was located in the town. The last trains ran to the Synithite Works in March 1983. In 1985 the line from Hope Junction to Mold was lifted but the chord itself was left in situ. It was used for many years as a siding but seems to have fell out of use by 2000. In 2011 track was still in situ on the former WM&CQR to the LNWR south to west chord but it was heavily overgrown. 

Sources:

See also

Hope High Level

Hope Low Level



Last updated: Sunday, 21-May-2017 11:16:56 CEST
© 1998-2011 Disused Stations