Notes: Huskisson station was situated at the southern end of the Cheshire Lines Railway (CLC) North Liverpool Extension Line, 3-mile 2-chain Huskisson Branch. The North Liverpool Extension Line branched off the CLC Liverpool and Manchester line at Halewood and ran to Aintree via Gateacre, Knotty Ash and West Derby. The Huskisson Branch had two junctions with the main line, forming a triangle, to the east of Walton-on-the-Hill: these were Fazakerley South Junction (used by Huskisson branch trains running to and from the Halewood direction) and Fazakerley North Junction (used by Huskisson branch trains running to and from the Aintree direction). The branch forked for the two junctions at Fazakerley West Junction.
 |
The CLC was a joint railway with three partners, the Great Northern Railway (GNR), the Manchester Sheffield & Lincolnshire Railway (MS&LR) and the Midland Railway (MR). All had wanted access to Liverpool which, by the mid nineteenth century, had become a major seaport. The CLC Liverpool and Manchester line, which opened throughout on 2 September 1873, had given the three companies access to Liverpool, but only to the south docks. To north of the city new docks had been built to accommodate much larger vessels. The London North Western Railway (LNWR) and the Lancashire & Yorkshire Railway (LYR) had access to the north docks, and the CLC partners wanted the same. The most logical way for the CLC to gain such access would have been to extend their Liverpool and Manchester line by three miles from its Liverpool terminus. However this would have involved prohibitively expensive tunnelling under the city centre. The alternative solution was to build a line around the eastern edge of the city using agricultural land that was, by the 1870s, very cheap. The only significant engineering required was at Walton, north of Liverpool. The North Liverpool Extension Line and its branch to Huskisson were authorised on 30 July 1874 and opened from Halewood to Walton-on-the-Hill on 1 December 1879.
The most significant engineering feature on the CLC north Liverpool lines were three tunnels between Walton-on-the-Hill and Huskisson. They were not ready for use until 1 July 1880 when goods services started to operate to and from Huskisson.
 |
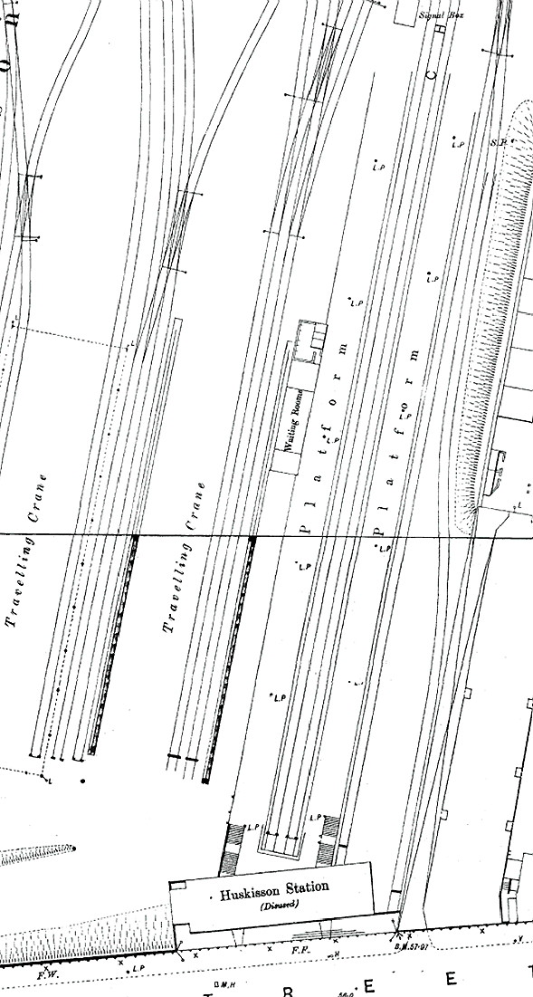
The CLC created a large goods station at Huskisson to the east of the LYR main line into Liverpool Exchange. A branch ran from the goods station under the LYR line directly to the docks. A passenger station was provided in the south-east corner of the site, its entrance being on Boundary Road. The booking hall and main entrance were at street level on Boundary |
Road. The railway was at a lower elevation than Boundary Street so at the rear of the booking hall two sets of steps led down to two long platforms. The up platform was on the west side of the station. It was provided with a waiting room with toilets for both sexes mid-way along the platform. The down platform, east of the line, had no facilities but it would have been used by arriving trains so they would not have been required. The down platform had two faces giving Huskisson three platforms in all. To the north of the up platform there was a CLC type 1 timber signal box with a15-lever frame.
The first passenger services from Huskisson ran for a race meeting at Aintree on 13 July 1884: a station was provided at Aintree specifically for race day trains. A full public service began on 2 August 1884. Trains ran between Huskisson and Liverpool Central via the North Liverpool Extension line and the western end of the CLC Liverpool and Manchester line. The actual distance between Huskisson and Liverpool Central was less than 3 miles; by rail the distance was over 15 miles. The LYR had Sandhill station adjacent to the Huskisson Goods which offered a frequent train service into central Liverpool and took only minutes. Huskisson would not have been a realistic option for passengers wishing to travel into the city centre. It did, however, provide direct access to the north Liverpool docks from outlying districts such as Walton, West Derby, Knotty Ash and Gateacre. It is likely that it was passenger traffic from these locations that the CLC had in mind when they provided a station at Huskisson.
On 11 August 1881 a scheme called the Southport & Cheshire Lines Extension Railway (SCLER) was approved. The CLC backed the scheme which created a line from Aintree to the seaside resort of Southport and made an end-on connection at Aintree to the North Liverpool Extension line. A route to the seaside town and its promising lucrative traffic would be created that the CLC had agreed to operate (although the SCLER would be a separate company). The SCLER line opened on 1 September 1884. The racecourse station at Aintree opened for public services at the same time. Despite this, Huskisson passenger station proved to be hopelessly unremunerative and it closed on 13 July 1885. Walton-on-the-Hill became the terminus for local services.
In the late 1880s the MS&LR proposed a passenger service between Huskisson and Preston. The GNR and MR did not agree with the idea and cited the fact that the passenger station at Huskisson was needed by the goods department for cattle traffic.
The passenger station signal box was out of use by 1914 but it survived in situ until at least 1933.
The goods station at Huskisson had been a great success from the start and became the busiest goods station on the CLC network. The passenger station was handed over to the goods department who altered it for their own purposes. The down platform was |
 |
provided with an overall canopy to keep goods dry. The up platform was demolished to make space for sidings.
Passenger tickets were issued from Huskisson after the closure of the passenger station. They were issued to individuals travelling from the station with livestock such as cattle.
In the 1960s railtour trains ran to Huskisson. On 13 June 1964 the ‘Liverpool Suburban Rail Tour’ visited Huskisson. On 22 February 1969 a DMU railtour (The ‘Liverpool Docker’) actually visited the site of the passenger station. Huskisson goods station saw its last trains in July 1975. It remained in use for road deliveries until the early 1980s after which it was demolished. In February 1994 the Merseyrail signalling centre opened on the northern part of the Huskisson site. In the late 2000s the site of the passenger station was developed with industrial units.
Tickets by Michael Stewart and route map by Alan Young
Sources:
- An Illustrated History of Liverpool's Railways, Paul Anderson, Irwell Press 1996
- The Cheshire Lines Committee, by P Bolger, Heyday Publishing Company 1984.
- Cheshire Lines Committee Signal Box Register, M J Addison & J D Dixon 1996.
To see other Huskisson branch station click on station name:
Walton on the
Hill
See also features on:
Huskisson Goods Station, Sandon & Canada Dock Goods,
Walton-on-the-Hill Tunnels, Walton-on-the-Hill Locomotive Shed
To see the other
stations on the CLC North Liverpool Extension Line click on the
station name: Aintree Central, Warbreck, Clubmoor, West Derby, Knotty Ash & Stanley, Childwall & Gateacre
|