Station Name: BANBURY MERTON STREET

[Source: Nick Catford]


Date opened: 1.5.1850
Location: On the south side of Merton Street
Company on opening: Buckinghamshire Railway
Date closed to passengers: 2.1.1961
Date closed completely: 6.6.1966
Company on closing: British Railways (London Midland Region)
Present state: The station site is now flats, no evidence of the station remains. .
County: Oxfordshire
OS Grid Ref: SP465403
Date of visit: July 2005

Notes: Notes: Banbury Merton Street changed little over the years although the platform was extended three times. with a timber island platform covered by a glazed roof (trainshed) supported by steel columns. As it was the terminus of the line a large timber goods shed was initially provided to be later rebuilt in brick.

A locomotive shed was opened by the Buckinghamshire Railway on 1 May 1850. In 1855 it had capacity for six engines of which, on a daily basis, three were in steam and one was spare (presumably the other two were under maintenance). From available information the original turntable to the north of the shed was 30 feet in diameter; it was replaced in 1917 on a site south of the shed, by a 42 foot turntable which was relocated there from Bletchley. The shed acted as a sub-depot for Bletchley with men rostered there. The LMS closed the shed on 11 April 1932, but the turntable, sidings etc, were retained as a servicing point until final closure by BR, in December 1960 - however, it seems the turntable was out of use, post-WW2. The picture (above) is the only known picture of the shed. There was also a carriage and van storage road and a substantial goods yard with numerous sidings serving the large cattle dock and pens - at one time Banbury had the largest cattle market in Europe; it closed in 1998. Sidings also led to the nearby gasworks and there was also an exchange siding to the adjacent GWR Station on the Oxford & Birmingham line.

Banbury was at its zenith for both passenger and goods traffic at the start of WW1. In 1916, the Ministry of Munitions constructed a National Filling Factory on the northern side of the line near Warkworth Crossing approximately 1.5 miles from the station platforms. The factory was linked to the line by a standard gauge railway system extending to 3.5 miles of track. The factory closed in 1919 and the site was taken over by Messrs Cohen of London who converted it into a factory to break-down thousands of tons of war materials, a process which continued until 1924. In addition to the munitions traffic, Banbury Merton Street also handled troop trains converging from north to south.

The 1920s also coincided with a period of growth in Banbury's industries. United Dairies had made Banbury a collecting centre for milk in 1920 and later introduced a system of glass-lined tanks to carry milk in bulk from Banbury General. This was so successful that the dairy company began using Merton Street to transport milk north via the Great Central Railway. Another business to take root during that time was the Midland Marts Company which opened a stockyard alongside the station in 1921 where cattle could be loaded and unloaded from the railway to be taken on to market.



The growth in Merton Street's freight traffic was however matched by a fall in passenger numbers, with Banbury General becoming the town's principal passenger railhead. By 1938, the London, Midland and Scottish Railway (which had taken over the station upon the 1923 railway grouping attempted to phase out Merton Street by agreeing with the Great Western to rebuild the two stations as a single unit situated on the road bridge to the north of the present Banbury station. Owing to the outbreak of the Second World War, this plan was never put into action and Merton Street was once again busy with troop trains.

The post-war period saw a further decline in passenger numbers at Merton Street, but freight receipts remained steady thanks to Midland Mart's continued activities. Around 200 cattle vans were handled during an ordinary week, the cattle being sorted on arrival and then dispatched for the sheep fair on Tuesday and the T.T. cattle on Wednesday; Thursday brought further cattle traffic as it was market day in Banbury. These activities continued until the early 1960s when British Railways began to phase them out. There was also substantial iron ore traffic from numerous mines and quarries in the vicinity.

The station was given a facelift in 1956 prior to the introduction of the short lived railcar service. The timber boarding on the station roof was in such bad condition that it posed a danger to passengers and it was removed leaving the metal supports and piping which were painted white. The passenger service was withdrawn on 2 January 1961 with the last train running the previous Saturday. The line remained open to Buckingham for the purposes of cattle traffic until 1963 with traffic then using the connecting spur to Banbury General station until 1966. The remaining station, Banbury General, was subsequently renamed as simply Banbury.

For many years the station site was used as a truck park. The site has now been redeveloped for housing, when the concrete surface was removed in summer 200, the track and sleepers were still in situ. These have now been removed. A goods dock was extant at this time but it has now been demolished.

BRIEF HISTORY OF THE BANBURY - VERNEY JUNCTION BRANCH OF THE
BUCKINGHAMSHIRE RAILWAY
Until 1844 Buckinghamshire had been poorly served by railways with only Aylesbury connected to the London & Birmingham in the east. With the support of the L & B two separate companies were formed, the Buckingham and Brackley Junction Railway and the Oxford and Bletchley Junction Railway. In 1847 under the direction of the newly formed London & North Western Railway the two were merged into a unified board with the collective name of the Buckinghamshire Railway



The line was to run westward from Bletchley to Oxford, via Winslow and Bicester, with a junction near Claydon House (later Verney Junction) where another line turned north to Brackley via Buckingham, with a further extension to Banbury. The engineer employed to build the Buckinghamshire Railway was Robert Stephenson

Construction started on 20th April 1847 and on 1st May 1850 the Buckinghamshire Railway was opened for passenger traffic from Bletchley to Banbury. From the outset the line was worked by the LNWR who absorbed the Buckinghamshire Railway in 1879.

The major objective of the branch was the small market town of Buckingham. Until the railway came to the town transport had not been good which it was felt was stopping development of the town. A branch of the Grand Union canal reached Buckingham in 1801 but even after the opening of the canal and the railway little development occurred.

The busiest part of the line was the 5 1/2 mile section from Banbury Merton Street to Cockley Brake where there was a junction with the Stratford-upon-Avon and Midland Junction Railway.

Passenger traffic over the whole line was comparatively light although the LNWR operated various specials and excursions over the years to encourage use. Passenger levels reached their peak just before WW1 after which they declined more or less continually as competition from the bus and growing car ownership began to increase. WW2 brought a short lived improvement but with new BR management the line was under review. A threat to its future became imminent in 1952 when BR reduced services to three trains each way per day, having withdrawn Banbury - Towcester Trains (via the junction at Cockley Brake) the previous year.

In spite of this, the line survived and was selected for an experiment as part of the 1955 Railway Modernisation Plan using lightweight single unit diesel railcars. These railcars were introduced during the summer of 1956 but strangely they only ran from Banbury to Buckingham, where connection was made with the traditional steam push-pull service. New halts at Radclive and Water Stratford were opened between Fulwall & Westbury and Buckingham and a third on the edge of Buckingham was suggested but not built.



The new railcars attracted a reported increase in traffic of 400% with the service being well used on market days and Saturdays but the improvement was insufficient to save the service between Buckingham and Banbury which closed from 2nd January 1961. The remaining passenger facilities between Buckingham and Verney Junction lingered until 7th September 1964 using the diesel units transferred from the Banbury section. Freight facilities were withdrawn from Banbury on 6th June 1966 and from Buckingham from 3rd December 1966 with track lifting underway by February 1967.

For further reading see The Banbury to Verney Junction Branch by Bill Simpson. Oxford Publishing Company 1978 ISBN 902888 87 0

Tickets from Michael Stewart & David Pearson. Route map drawn by Alan Young. LMR timetable from David Pearson. Engine shed picture from Roger Griffiths collection

To see the other stations on the Banbury - Verney Junction line click on the station name: Farthinghoe, Brackley, Fullwell & Westbury, Water Stratford Halt, Radclive Halt, Buckingham, Padbury & Verney Junction


Banbury Merton Street Station Gallery 1: c1930 - May 1951


A Cauliflower at Banbury. 'Cauliflower' was the nickname given to these LNWR Webb 0-6-0 locomotives more properly known as the '18in Goods' (a reference to cylinder diameter). The nickname is said to derive from LNWR days when these locomotives bore the company crest on the splashers above the centre axle, the crest supposedly resembling a cauliflower when viewed from anything but close quarters. Truth or not the nickname stuck, as they tend to do with railway locomotives, for the entire existence of the class. Here is No.8336, being supervised by a milk churn, in early LMS years but no earlier than 1927. Like many steam locomotives intended for goods traffic, providing they were vacuum fitted they could and did also turn up on passenger and parcels trains. Behind No.8336 is an ex-LNWR bogie Full Brake. The vehicle behind it is visible but unidentifiable so whether this was a passenger or totally parcels train has to remain a mystery. The chest apparently perched on top of the tender is a toolbox. The design of the locomotive and, arguably, more so the tender, gives away the locomotive's age. She was built at Crewe in 1882 and emerged as LNWR No.2466, becoming LMS No.8336 in 1927. She was withdrawn in 1936 but other class members went on to see British Railways, largely because of WWII, with the final survivors bowing out at the end of 1955. Curiously two which survived to see BR were LMS 8335 and 8337 which became BR 58364/5 and survived until 1951 and 1952 respectively, their numerical 'come between' having by then long gone. Just visible far left is Merton Street's running-in board. This is the original type LNWR board which would at some point in time be replaced, along with others on the station, by the LMS 'Hawkeye' style which were destined to remain in place until the station closed. On the right, beneath the loading gauge, is what appears to be an LMS milk van and probably a 6-wheeler. These vehicles were loaded with churns, had slatted bodysides for ventilation and were often also used for fruit traffic. Many survived into BR days but by then used mainly
for fruit and vegetable traffic.
Photo from John Law's Flickr Photostream



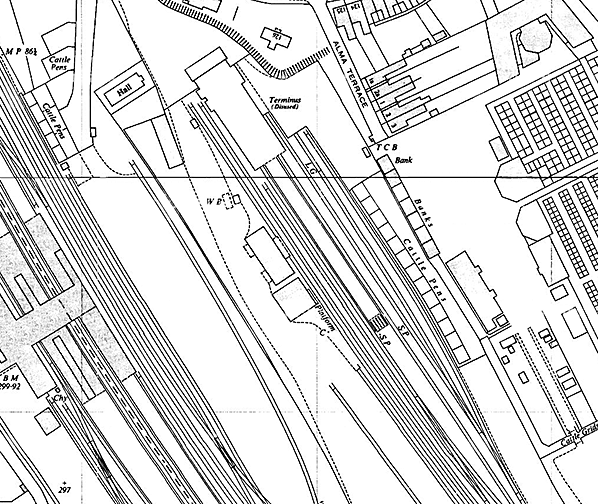
1885 1:2,500 OS map. Merton Street terminus with its trainshed is shown. At this time the platform didn't extend much beyond the trainshed and a siding is shown running up to the end of the platform. To the east of the station there is a large cattle dock and pens but as yet the cattle market top the east hasn't been built. The dock is served by three sidings, each with a wagon turntable at the end for moving individual wagons between the sidings. To the west of the shed is the station goods shed with a further three sidings one of which passes under the shed's canopy. Two of these sidings have wagon turntables either side of the shed. Road access to the goods yard is from the west side of the station forecourt. There is a weigh bridge (WB) and office opposite the goods shed and the yard 5-ton capacity crane is located to the south of the shed. Merton Street signal box is located some distance to the south of the station. The Merton Street engine shed is sited to the east side of the line to the east of the station. The shed had two roads running through it and two sidings on the west side. A 30 foot diameter turntable is seen to the north of the shed close to the signal box. Banbury Gas Works is located on the west side of the line opposite the engine shed. This is served by one siding which runs through the works and the connects with the GWR station yard to the west. To the north of the gas works there is a connecting line between the LNWR and GWR. The closeness of the two stations is clearly seen. Note a terrace of houses in Merton Street called Railway Terrace. It is assumed that these are for railway staff. Click here for a larger version.

1900 1:2500 OS map. Little has changed from the earlier map. A new siding from the GWR crosses the connecting line between the LNWR and GWR (see 1963 picture), this served coal staithes located between the two Banbury stations. Click here for a larger version.

1920 1:2500 OS map. A number of changes are noted between this and the earlier maps. The platform has been extended. Most of the wagon turntables have been removed leaving just two to the south of the goods shed. The weighbridge and office has been located to the entrance to the goods yard alongside the trainshed. The turntable to the north of the engine shed has been removed and replaced by a new 40' turntable to the south of the shed. A railwaymens' mission has been built on the west side of the station forecourt and a new terrace of railway cottages (Alma Terrace) has been built on the east side of the station. Click here for a larger version

1966 1:2500 OS map. Although the station was still open for goods traffic when the survey for this map was made it is shown as Terminus (disused). To the east of the station the cattle pens have been extended and further east the large cattle market is shown. Midland Marts had set up a livestock centre here towards the end of the Pre Grouping period and which was destined to become the largest such centre in Britain. Midland Marts long outlived the railway at Merton Street, not finally closing their Banbury premises until 4 June 1998. A goods dock is seen to the south of the goods yard identified as 'platform'. This would have been there much earlier but is not identified as such on earlier maps. The weighbridge and office has been relocated for a third time to the north of the goods shed.
Click here for a larger version,
.

In LMS days an ex-LNWR Webb 2-4-2T waits at Banbury Merton Street. She has a two-vehicle train, the first being a Brake Third which may suggest the second was a van of some description. The date of the photograph is unknown but the masking of the platform lamp casements tells us it is during WWII. Note what appears to be a serviceman, rather than a member of railway staff, on the platform. Note, too, the tricycle on the platform. These once common contraptions came in a number of forms according to requirements. This example has a rearwards opening compartment for shopping etc., a popular configuration, which could probably also adapt as a seat for a dog or small child. The Webb 2-4-2Ts came in 4ft 6in and 5ft 6in types (reference to driving wheel diameter) and that seen here is a 5ft 6in example but not push-pull fitted unlike many of her sisters. Also unclear, indeed completely so, is the locomotive's identity and its shedplate is unreadable so we have no way of knowing which route the train will take at Cockley Brake Junction but due to the infrequency of the service on the SMJ route the train is probably for the Buckingham route. Sadly, confirmed photographs of trains for the SMJ route at Banbury are rare. On the left a Fowler 4F 0-6-0, again unidentified, appears to be pausing between shunting duties. On the right stood a seldom photographed loading gauge, the view of it often being obstructed, and in this view its bracket is visible above the nearest cattle wagon. Given that the sidings on the right were, after the 1920s, used mainly for cattle traffic the loading gauge must have subsequently seen little use. Of the Webb 2-4-2Ts, the 4ft 6in versions were early withdrawals with some sold for further service elsewhere, including in Ireland which involved regauging, but all had gone by 1936 or thereabouts. The 5ft 6in variant did rather better with many trundling on to see British Railways although not all late survivors did so for long enough to receive their allocated BR numbers. The final example, No.46616 which began life as LNWR No.662 in 1891, bowed out in September 1955. She finished up at Swansea but had been a long-time resident of Northampton shed, which kept her in smart condition, and therefore would almost certainly have visited Banbury via the tranquil SMJ route.
Copyright photo from John Alsop collecti
on

Looking towards the buffers at Banbury Merton Street sometime during LMS days. The goods shed, far left, was of wooden construction and it seems the intention had been to reconstruct it using bricks but this was destined never to happen. On the platform, the Sugg's 'Windsor' style gas lamps are still in place; later these would be replaced by the 'Rochester' style which gave better light in the downwards direction. The hatch in the platform, foreground, most likely gave access to the cranks in the point rodding for the points on the right. By the time the station closed, the connection between the platform road and the siding had been removed. The connection cannot have had much practical purpose and indeed appears all-but disused in this view. The large volume of cattle traffic at Merton Street is described elsewhere and, as ever, numerous cattle wagons can be seen here along with a couple of vans and an LMS brake van. Among the cattle wagons on the right lurks a 6-wheel van which appears to be a slatted milk van. It is possibly of Midland Railway origin but this particular detail is unclear. Milk vans were used to carry churns of which some, as it happens, can be seen on the platform in the distance. Under magnification the churns appear to be of the pre-1930 17-gallon type, these being superceded that year by the more familiar 'mushroom-head' 10-gallon type. Milk churns, used for their intended purpose, have long since become a thing of the past and the carriage of churns by rail ceased sometime during the 1960s although nobody seems to know the precise date. Churns were once a familiar sight at railway stations and on wood or stone platforms alongside rural lanes where farmers would leave them to await collection by road vehicles. The latter practice continued for a while after churns by rail ceased.
Copyright photo from John Alsop collection

The only date clue for this poor photograph is the BR number on the locomotive, an ex LMS-Stanier 2-6-4T. Apart from the number being of five digits beginning '42', it is unfortunately otherwise totally unreadable. Without a precise date or full locomotive number, the destination of this train, formed of two ex-LMS carriages, must remain a mystery
Photo by Billy Standing

Banbury Merton Street station viewed from the forecourt. The LMS left people in no doubt as to who was running the show but by the time this photograph was taken it was irrelevant as the date is May 1951, well into British Railways days. BR were somewhat erratic in displaying their identity; at some stations the changes were made immediately upon Nationalisation but at others the former identity lingered for some years. A clue to BR can, however, been seen on the right; the top left poster appears under magnification to be the 1948 work of Terence Cuneo entitled 'On Early Shift' which depicted a blue liveried A4 passing a signal box at New Barnet. In addition, some of the posters on the LMS-headed noticeboards are carrying the British Railways totem logo. In 1951 Merton Street's trainshed was intact but decrepit. The roof was of wood panelling, the outer end gable was also of wood while in inner end gable was glazed with ventilation slats in its centre as seen here. Of note is the gas lamp placed somewhat oddly over the central window of the station building rather than over the doorway. Whilst the position of the lamp provided, to a degree, a uniform appearance, the off centre doorway does not. It is possible the doorway was relocated at some point in time but the lamp remained where it was. However this detail, it must stressed, is unconfirmed. The lowermost of the posters on the right, and which is possibly actually an enamel advertisement, is for the once well-known Palethorpes Royal Cambridge sausages (which, as far as is known, had no connection whatsoever with Cambridge although a link with the famous Newmarket sausage has been suggested). Model railway enthusiasts will be familiar with the Palethorpes Royal Cambridge 6-wheel van produced by Hornby and which did exactly exist, along with some bogie versions, on the 'real' railways unlike some models painted up in whimsical liveries purely in an attempt to boost sales. Palethorpes are still with us at the time of writing, based in Market Drayton, but are now part of the Pork Farms organisation. The Royal Cambridge sausage brand was disposed of in 2001 and the company now concentrates on processed meat products.
Copyright photo from John Alsop collection

In May 1951 ex-LMS Stanier 2-6-4T No.42667 has a full head of steam as she awaits departure. At this time the former SMJ line was still open from Cockley Brake Junction, a wild and lonely place, to Towcester, Blisworth and Olney but as No.42267 was allocated to Bletchley when photographed, the train will be taking the route to Buckingham and beyond. Her train comprises an ex-LMS bogie parcels/luggage van and two ex-LMS passenger coaches. As can be seen, the station at this time was intact and although in filthy condition it was only just beginning to show signs of disintegrating. It would appear that smoke and blast troughing was installed over the tracks beneath the wooden gable end. The station, apart from BR posters and notices, was at this time still very much as the LMS had left it. At the other platform face is stabled another ex-LMS passenger coach, probably a Brake Third, offering what seems to have been a rare sight of passenger stock at the Down side of the platform. The flower beds would have added a splash of colour to the otherwise gloomy scene; they were set into the stone section of platform but further along, on the wooden section, wooden flower troughs set, of course, on the platform surface. Of No.42667, her stay at Bletchley not a long one, January 1951 - September 1952, after which she returned to her former home at Stoke. She was withdrawn in February 1965 and scrapped soon afterwards.
Copyright photo from John Alsop collection

One of two 'Railworks' computer simulations of Banbury Merton Street station. There are a number of instances of what we might call 'artistic licence'. Otherwise the work is superb and, it has to be said, beyond what a great many people could achieve. In the centre is the GWR line and its accoutrements, giving an idea of the proximity of the GWR and ex-LNWR stations to each other. A GWR autotrain can be seen and to its right what appears to be a rendition of either an LMS or LNER locomotive in black livery. At extreme right can just be seen the end of what is obviously an LNER Gresley teak bow-ended carriage. Indeed there appears to be two such carriages standing side by side and they would have worked into Banbury from or via Woodford Halse. In the background and just above the GWR autotrain is what presumably represents Tramway Road, the route of the one-time tramway connecting the premises of Britannia Works. The tramway closed c.1935.
Computer simulation from TS2018 Train Simulator -
The Wycombe Railway and Joint line V3.1

Click here for Banbury Merton Street Station Gallery 2:
Mid 1950s - Late 1950s

 

 

 

[Source: Alan Young]




Last updated: Wednesday, 30-May-2018 23:39:19 CEST
© 1998-2018 Disused Stations