Station Name: COWES

[Source: Nick Catford]
Date opened: 1.6.1862
Location: South of junction of Terminus Road & Carvel Lane
Company on opening: Cowes & Newport Railway
Date closed to passengers: 21.2.1966
Date closed completely: 14.5.1966
Company on closing: British Railways (Southern Region)
Present state: Demolished - the station was cleared in the early 1970's and for many years the site was a car park. A supermarket has now been built on the site. The footbridge was dismantled and rebuilt at Medstead & Four Mark Station on the Watercress Line in Hampshire.
County: Isle of Wight
OS Grid Ref: SZ496961
Date of visit: October 1967, March 1968, August 1970, June 1975 & 4.6.2005

Notes: The station had three platform faces on two island platforms linked to a rear concourse. The fourth platform face was used for goods traffic. There were two further sidings on the north side of the station. The footbridge did not link the two platforms, it maintained public access between Terminus Road and Cross Street which was cut when the station was rebuilt in 1891. The track layout was again altered in 1918. Because of its poor siting well away from the ferry terminal the station never attracted the expected traffic.

For three pages of pictures of Cowes Station before closure see Southern E Group web site

BRIEF HISTORY OF THE ISLE OF WIGHT CENTRAL RAILWAY
The railways were late in coming to the Isle of Wight. Despite several proposals and a failed Bill the first railway didn't reach the Island until 1862 when the Cowes and Newport Railway opened their line between those two towns. Two years later the Isle of Wight Railway opened a line between Ryde & Shanklin but it was a further 11 years before the two lines were linked by the Ryde and Newport Railway which diverged from the Isle of Wight Railway at Smallbrook Junction, running into a joint station with the CNR at Newport.

The Isle of Wight (Newport Junction) Railway also opened in 1875 from the IWR at Sandown through Merstone to a terminus at Newport Pan Lane; the line was extended into the joint station at Newport in 1879 and Pan Lane was closed. Within 10 years this line was virtually bankrupt,

In 1887 the Isle of Wight Central Railway was formed when the three companies amalgamated. The Newport Godshill and St. Lawrence Railway was opened from Merstone to St. Lawrence in 1897 and to Ventnor Town in 1900. The Isle of Wight Central operated this line until 1913; it was then bought by the Central. Despite being closer to the town centre than the IWR station high above the town the new station failed to capture much traffic from its competitor.

All the islands railways were absorbed into the Southern Railway in the 1923 grouping and the service was soon upgraded with the introduction of new rolling stock and a revised timetable that included some through running between the various lines. The Southern Railway itself became part of the Southern Region of British Railways after nationalisation in 1948 and initially there were few changes. However this was short lived; improved bus services and the popularity of the motor car soon led to dwindling passenger numbers. Merstone - Ventnor was the first line to close in 1952 followed by the former Freshwater Yarmouth and Newport Railway in 1953 and the Newport - Sandown line in 1956.

The remaining line between Cowes and Smallbrook Junction survived the initial wave of closures but with the end of steam on the horizon the reprieve was short lived with the line closing to passengers under the Beeching cuts in February 1966. Goods traffic continued to Cowes and Newport for a few months but that too was withdrawn by May 1966.

The southern end of the Isle of Wight Railway between Shanklin and Ventnor was also closed allowing the remaining line between Ryde and Shanklin to be electrified. This is still open and operated by ex-LT tube stock as the Island Line. The island originally had 55 1/2 miles of railways but after 1966 only 8 1/4 miles remained open.

In 1967 there was a scheme to reopen the line between Cowes and Ryde using railbuses, this was known as Vectrail. As part of this scheme the Sadler 'Pacerailer' railbus was developed with a prototype vehicle in Vectrail livery undergoing trials at Droxford Station on the disused Meon Valley line in Hampshire. Eventually this scheme was abandoned.

Six bogie carriages of London, Brighton and South Coast Railway and South Eastern and Chatham Railway origin were acquired by the Wight Locomotive Society, along with a variety of wagons, at the end of British Railways steam services on the Isle of Wight in 1966.

Initial restoration took place at Newport Station but in 1970 the local council acquired the station for a new bypass for the town and the Society were required to remove their rolling stock at short notice. Following the formation of the Isle of Wight Steam Railway in 1971 these were then moved to Havenstreet in January of that year. Havenstreet became the headquarters of the railway. Gradually a five mile section of track between Smallbrook Junction and Wootton was purchased and restored with a new station being built at Wootton (on the opposite side of the road); this opened in 1987. On 21.7.1991 the line was reopened westwards to Ashey and on to a new terminus at Smallbrook Junction where new interchange facilities are now available with the electrified Island line.

Many of the islands other disused lines have now been given a new lease of life as public footpaths and cycleways, these include Newport - Sandown (Perowne Way), Newport - Cowes, Wootton - Newport and Brading - Bembridge.

Click here for further selected reading

To see the other stations on the Isle of Wight Central Railway line click on the station name: Mill Hill, Medina Wharf Halt,
Cement Mills Halt, Newport, Whippingham, Wootton, Havenstreet, Ashey, Ashey Racecourse, Newport Pan Lane, Shide, Blackwater, Merstone, Godshill, Whitwell, St. Lawrence, Ventnor West, Horringford, Newchurch & Alverstone

Click here for Isle of Wight station index




Cowes station entrance in 1968
Copyright p
hoto from 53A Models of Hull Collection




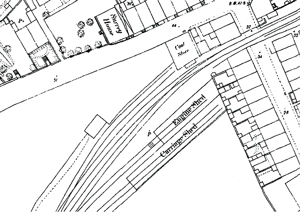
1864 1:2,500 OS map. This map shows the original layout of the Cowes terminus which was initially served by a single line. The engine shed and carriage shed are seen on the approach to the station to the south of the line.


1866 1:500 OS town plan.


1866 1:500 OS town plan. The one-road shed was opened by the Cowes & Newport Railway 16 June 1862 and closed in 1896.



1898 1:2,500 OS map. The engine and carriage sheds shown on the earlier
maps have been demolished.


Map received from Marie Plucknett


Cowes Station in June 1960


A ryde train is ready to depart from Cowes station in in 1964.
Photo by Doug Cady



Cowes Station in the 1960's
Photo by John L. Smith

Cowes station looking west from the footbridge c. 1965.
P
hoto by Bill Rawlinson


W27 Merstrone is seen at Cowes station with the 2.31pm service to Ryde in October 1965.
Photo by Dave Hill


Cowes station c.1965
Photo by Bill Rawlinson


Cowes Station on 19th February 1966 - two days before closure
Photo by Robert Bridger (from 30937 Photographic Group web site)


Cowes Station in 1970
Photo by Nick Catford


Cowes Station seen from the footbridge. 1970
Photo by Nick Catford


A Co-op supermarket now stands on the site of Cowes Station - this was the site of the platforms
Photo by Nick Catford

Click here for more pictures of Cowes Station

 

 

 

[Source: Nick Catford]


Home Page
Last updated: Wednesday, 17-May-2017 09:20:57 CEST
© 1998-2012 Disused Stations