Station Name: PENWORTHAM (COP LANE)


[Source:Tony Graham & Paul Wright]

Date opened: 17.4.1911
Location: West side of Cop Lane - The A582 Penwortham bypass (Golden Way) now runs through the station site
Company on opening: Lancashire & Yorkshire Railway
Date closed to passengers: 7.9.1964
Date closed completely: 7.9.1964
Company on closing: British Railways (London Midland Region)
Present state: Demolished = the site was lost during the construction of the Penwortham bypass.
County: Lancashire
OS Grid Ref: SD522273
Date of visit: 30.7.2011

Penwortham Cop Lane was situated on what had been the West Lancashire Railway (WLR) Company’s Southport & Preston Railway which had opened in stages between 19 February 1878 and 6 September 1882.

The station was opened as Cop Lane Halt on 17 April 1911 by the Lancashire & Yorkshire Railway (LYR) who had taken over the WLR on 1 July 1897. It was a mile south of Penwortham and situated in a cutting on the western side of Cop Lane. The line was double-track and two timber platforms were provided. Sloping paths connected them to Cop Lane. Each platform had
a simple timber-built waiting shelter.

At the time of opening Cop Lane Halt was served, in the main, by trains between Southport Chapel Street and Preston, but some services also ran to Accrington.


On 1 January 1922 the LYR was absorbed by the London & North Western Railway but a year later that company became part of the London Midland & Scottish Railway (LMS).  By summer 1932 Cop Lane had 16 weekday trains to Preston, the first departing at 6:27 am and the last at 10:53 pm. There were 17 weekday Southport trains, the first being at 5:53 am
and the last at 10:46 pm. On Sundays no trains called at Cop Lane. On 30 March 1940 the LMS upgraded the halt to a station and renamed it Penwortham Cop Lane. (The OS One-inch map of 1954 incorrectly named it just ‘Penwortham’.)

On 1 January 1948 Penwortham Cop Lane became part of the nationalised British Railways (London Midland Region).  By the winter of 1956 the station was served on weekdays by 17 Preston and 16 Southport trains. The first departure for Preston was at 6:19 am and the last was at 9:51 pm. The first Southport service departed at 7:24 am and the last at
10:38 pm. Some extra services operated on Saturdays, and there was a Sunday service of six trains to Preston and five to Southport.  


Railway Magazine (July 1959) reported that the LMR was considering closure to all traffic of the route between Crossens – the terminus of the electric service – and Preston before the end of the year. At that time no obvious modernisation of the station had taken place, as it remained oil-lit and had not received totem signage. Whilst the line survived this threat, The
Reshaping of British Railways (‘Beeching’) report of 1963 recommended the complete closure of the railway from Meols Cop to Preston. Despite local protests all passenger services were withdrawn with effect from 7 September 1964, and Penwortham Cop Lane station closed completely, as did the line from Hesketh Park to Preston. (The station had never handled goods traffic.)

Although the line south from Hesketh Bank towards Southport was lifted during the early months of 1965 the section between Preston and the River Douglas bridge, which passed through Penwortham Cop Lane, remained in situ for another year because it was thought that it might be required to serve a proposed nuclear power station. However Heysham was chosen
instead, and the line was lifted from River Douglas bridge to Whitehouse South Junction (Preston) c. 1966. The buildings and platforms at Penwortham Cop Lane were demolished shortly after closure.  A bypass was later built along the route of the line at Cop Lane, and it obliterated the site of the station.

Tickets from Michael Stewart, except 1279 & 8201 (plus tickets in gallery) from Alan Castle, route map drawn by Alan Young, Bradshaw from Nick Catford

Sources:

To See other stations on the Southport - Preston (West Lancashire) line click on the station name: Southport Central, Southport Windsor Road, Southport Ash Street, St. Lukes, Hesketh Park, Churchtown, Crossens, Banks, Hundred End, Hesketh Bank & Tarleton, River Douglas, Hoole, Longton Bridge, New Longton & Hutton & Preston West Lancashire

See also
The Penwortham Triangle

Whitehouse Triangle

WLR Ribble Bridge



Penwortham (Cop Lane) station looking south-west in 1950. The station’s basic facilities
are clearly shown.
Copyright photo from Stations UK



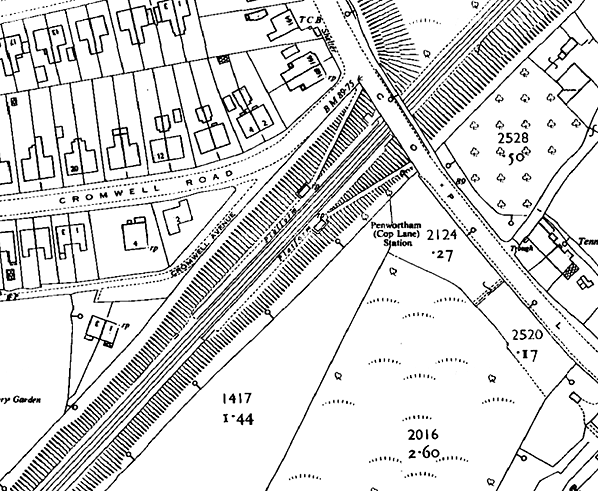
1933 1:2,500 OS map clearly illustrates the simple nature of the facility. The reason why the LYR provided it can be seen from the nearby housing developments. The station was originally called Cop Lane Halt.


1960 1:2,500 OS map. From 30 March 1940 the station had been named Penwortham Cop Lane as shown on this map.


Penwortham Cop Lane looking south-west c.1950s


Looking north-east towards Cop Lane from the up platform in January 1963.
Photo from John Mann collection


Penwortham (Cop Lane) station looking north-east from the western end of the up (Southport-bound) platform in the early 1960.


On a glorious summer afternoon in July 1963 Stanier 2-6-4 tank No. 42494 rolls into Penwortham (Cop Lane) station with the 5:30 pm Preston - Southport service, collecting some late day-trippers apparently brought out by the fine weather.
Photo by Alan Castle


Although prolific on other routes in the Southport and Preston areas by this time - and particularly so in East Lancashire - no diesels of any description were ever used on regular service trains over the WLR. DMUs and Brush Type 2s sporadically appeared on inter-regional excursions, generally originating in Yorkshire, but even this was a relatively rare occurrence. On Sunday 9 August 1964 a Scottish Region 6-car 'Swindon Inter-City' unit, a type more accustomed to the hilly road from Glasgow to Stranraer, was used throughout for a day excursion from Ayr to Southport Chapel Street, organised in connection with the 'Kilmarnock Grozet Fair'. With passengers fully apprised of the delights of Southport, this view shows them back on board with the train making good headway on its lengthy return journey, here seen passing non-stop through Penwortham (Cop Lane) station.
Photo by Alan Castle


On a sunny, summer Sunday morning a dozen or so day-trippers, intent upon an outing to the seaside, are regarded with envy by the crew of Lostock Hall's Fairburn 2-6-4T No. 42158 as it draws the 6 coaches of the 10:12 am Preston - Southport service alongside the wooden platform. Built at Derby works and entering service on 2.7.1948, 42158 had a working life of just over 16 years and 9 months, being withdrawn on 24.4.1965 from Lostock Hall shed and cut up at Cashmores of Great Bridge.
Photo by Alan Castle

On this occasion with no custom to offer, Penwortham (Cop Lane)'s long-serving and very amenable porter-cum-ticket clerk, Frank Taylor, awaits the arrival of the 6:12 pm commuter service from Preston to Southport. Cop Lane, like Longton Bridge, comes under the control of the stationmaster at New Longton & Hutton and, in the deep cutting well below the public highway, the single member of staff on duty here might feel particularly isolated. Frank, however, lived close to Middleforth Junction, a short distance away; as there was no electricity supply in the booking office, in the sometimes lengthy intervals between trains he found it convenient to nip home on his motor-cycle for a crafty ‘cuppa’. Indeed, there were occasions in his absence when the photographer (who had become a close friend) was deputised to collect tickets on his behalf from any alighting passengers. As a consequence of this, it can now be revealed after the passage of so much time that this person now has a ticket collection to be admired! 75048 was built in 1953 to Riddles' Standard Class 4, 4-6-0 design at Swindon works. It entered service in the October at 24A, Accrington shed until November 1955, when it moved to 27A, Bank Hall. Following spells at Chester, Croes Newydd and Lostock Hall, it was transferred to 10A, Carnforth in June 1967 from where it was withdrawn in August 1968 and scrapped by Campbells of Airdrie in November of that year.
Photo by Alan Castle


On the very last day BR Standard 2MT 2-6-0 No. 78041 has recruited a larger than usual crowd of admirers (on both platforms) as it rolls slowly to a halt at Penwortham (Cop Lane) with the 2:34 pm Preston - Southport service. The loco is carrying the 10D shed plate for Lostock Hall where it was allocated from June 1964 until withdrawal in May 1965.
Photo by Alan Castle



The scene of destruction at Penwortham (Cop Lane) in January 1965, only 19 weeks after the passage of the last train. Due to the high fire risk from the all-timber construction, official vandalism has precluded the informal vandalism which would have sealed the fate of the closed station. Today the lanes of the Penwortham bypass sprawl across the site; all traces that a railway ever ran here have been totally and, very efficiently, obliterated.
Photo by Alan Castle


The site of Penwortham (Cop Lane) station in August 1984 during construction of the
Penwortham bypass.
Photo by John Mann


The site of Penwortham Cop Lane station looking south-west in July 2011. All traces of the station had been lost under Penwortham bypass. This photograph was taken from the same viewpoint as the two pictures above.
Photo by Paul Wright

Click here for more pictures of Penwortham (Cop Lane) station



Home Page
Last updated: Monday, 22-May-2017 11:45:30 CEST
© 1998-2012 Disused Stations