Station Name: MACCLESFIELD MSLR & NS JOINT

[Source: Nick Catford & Paul Wright]


Date opened: 2.8.1869
Location: North of Hibel Road to the west of The Silk Road.
Company on opening: Macclesfield, Bollington & Marple Railway
Date closed to passengers: 1.7.1873
Date closed completely: 22.9.1969
Company on closing: Macclesfield Committee (MSLR & NS Joint)
Present state: Demolished site lost under a road.
County: Cheshire
OS Grid Ref: SJ918741
Date of visit: 17.9.2013

Notes: The Macclesfield, Bollington & Marple Railway (MB&MR) opened its southern terminus station at Macclesfield on 2 August 1869. The MB&MR was authorised on 14 July 1864 to construct an 11-mile line between Macclesfield in the south and Marple Wharf in the north. At Marple Wharf the line connected to the Manchester, Sheffield & Lincolnshire Railway (MS&LR) and Midland Railway (MR) Manchester and Derby line. The original intention was that at Macclesfield the line would connect with the North Staffordshire Railway (NS). Both the MS&LR and the NS had a financial stake of £80,000 in the MB&MR and they agreed to operate and maintain it. The purpose of the line was to allow the NS to reach Manchester and the MS&LR to reach Staffordshire whilst also serving the cotton trade at Bollington. The NS shared a station with the London & North Western Railway (LNWR) at Macclesfield where the lines of both companies had an end-on junction. The LNWR had constantly frustrated the plans of the NS to reach Manchester and was also hostile to the MS&LR; this antagonism was one of the drivers behind the MB&MR scheme.

By the time the MB&MR line had opened the LNWR had changed its attitude towards the NS and granted running powers over the LNWR route to Manchester. The NS wanted the LNWR to build a joint station at Macclesfield that would have served all of the lines. The LNWR refused to do this and so a separate station had to be provided. It was located to the east of the LNWR Hibel Road station and was intended to be temporary. The station was reached via a driveway from Old Hall Street. The main facilities were located in a building that seemed over-large for a temporary station. The goods facilities provided to the east of the station included a large goods shed and numerous sidings.

At the time of opening the station was served by trains operated by the MS&LR and the NS. There were four each way on Monday-to-Saturday running between Macclesfield and Romiley; on Sunday there were two trains each way.

In 1871 the MB&MR was vested as a joint railway of the MS&LR and NS known as the Macclesfield Committee (MC). Having opened as a single-track railway it was doubled in 1871 at a cost of £16,000.

All efforts to create a joint station with the LNWR came to nothing and the MC decided to build a station of its own to the south of the LNWR station on the NS line. A connecting line of ¼-mile was built in 1873 which bypassed the temporary station to the east and formed a junction with the NS on the north side of Buxton Road. A new station called Macclesfield Central opened on 1 July 1873 and the original MB&MR facility closed. After closure the passenger facilities became part of the goods station.

The goods station survived until 22 September 1969.

Route map drawn by Alan Young

Sources:

To see other stations on the Marple and Macclesfield line click the name:
Rose Hill Marple, High Lane, Middlewood Higher, Higher Poynton, Bollington and Macclesfield Central


The site of the original Macclesfield station seen in November 1979.
P
hoto by John Mann


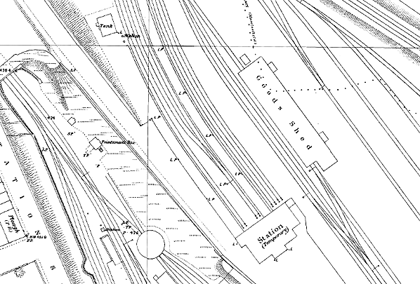
The Macclesfield MSLR/NS joint temporary station shown on a 1873 map. The MSLR/NS goods facilities are seen to the east. To the east of the goods facilities is the MSLR/NS line that provided a connection to Macclesfield Central station bringing about the demise of the 1869 facility which was given over to goods. To south of the MSLR/NS station is the station,
engine and goods shed of the LNWR.


The Macclesfield MSLR/NS Joint station shown on a 1874 town plan.

Looking north at the site of the Macclesfield MSLR/NS Joint station on 17 September 2013. The station was beyond the mast between the yellow skip and the trees.
P
hoto by John Wilson

 

 

 

[Source: Nick Catford & Paul Wright]




Last updated: Sunday, 21-May-2017 15:35:35 CEST
© 1998-2014 Disused Stations