Notes: Ridgmont station serves the villages of Ridgmont about one mile away on the other side of the M1 Motorway, Brogborough and Husborne Crawley. It also serves the large Amazon warehouse on the site of the former brickworks.
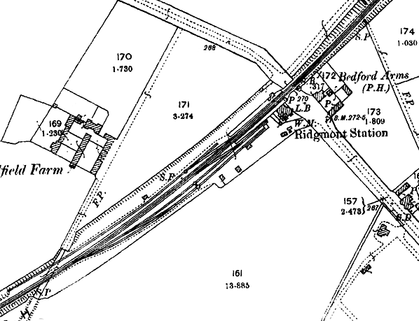
Opened in 1846 by the Bedford Railway, the main station buildings at Ridgmont on the up side were built in a half-timbered Gothic Revival style with high pitched gables and a fish-scale tiled roof that had been insisted upon by the 7th Duke of Bedford for stations close to the Woburn Estate. In early days the station was sometimes referred to as Ridgmount.
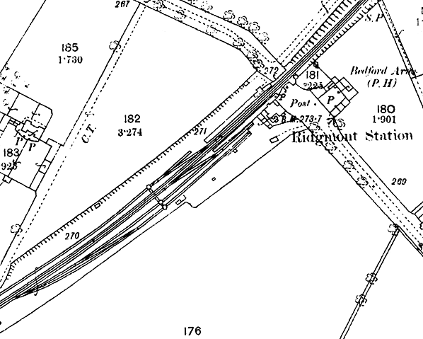
The building is partly faced with roughcast render. The gable facing onto the platform has ornamental timber framing is in cross and herringbone pattern with a projecting bay window from the booking office on the ground floor. The gable is flanked by verandah porches, their braces forming pointed arches; one porch is the entrance from the road and the other is the exit from the building onto the platform. The gables have pierced decorative bargeboards with finials. The upper floor of the building was the station master’s house while the lower floor included the booking office, booking hall, ladies’ waiting room, general waiting room and a porters’ room. The down platform was provided with a tongue-and-groove plank waiting room with plain valance at the east end of the platform. This has now been demolished and replaced with a large ‘bus shelter’.
The goods yard was on the up side with two sidings running behind the up platform; one of these served a cattle dock and pens. There was also a siding on the down side at the west end of the down platform. In early days each siding had a turnplate allowing single wagons to be moved quickly across the main line; this facility had been removed by 1900. In June 1918, during WW1, the Ministry of Munitions built a siding to the west of the station which was used by German prisoners of war to load wood. In 1935 the Ridgmont Brickworks was built by the Ridgmont Fletton Brick Company; new sidings were laid alongside for interchange with the works 2ft-gauge locomotive-hauled railway system. The section between the brickworks and the pit was subsequently converted to 2ft 6in- gauge cable-hauled railway, which in turn was replaced with a conveyor belt on 6 November 1978. By 1979, as part of the London Brick Company, the works had 25 chimneys and was said to be the second-largest brickworks in the world. The brickworks was closed in 1981 and demolished in the 2000s to be redeveloped as the Marston Gate distribution centre with a huge warehouse for Amazon now overshadowing the station.
Ridgmont was a signalling block post with a frame at ground level alongside a small hut for the instruments on the far side of the level crossing, on the up side. As a staff economy measure the instruments were brought into the booking office in January 1934 with a 13-lever frame being installed on the platform in front of the booking office, combining the jobs of signalman and booking office clerk.
Ridgmont Station has also been used as a watering point for steam-hauled special trains heading north from London.
In the 1860s the London & North Western Railway planned to extend the railway between Wolverton and Newport Pagnell to meet the Marston Vale line at Ridgmont, but the extension was never built
All freight facilities were withdrawn on 3 August 1964 although a private siding remained in use after that date. Ridgmont was reduced to an unstaffed halt in 1968.
A new signalling control centre was built at Ridgmont as part of the Bedford — Bletchley route modernisation in 2004. This centre replaced all the signal boxes on the route. The level crossing gates were replaced with lifting barriers at that time. The original gates had previously been replaced with new metal gates in the 1980s
The station building has largely been redundant since 1968 when Ridgmont became unstaffed. It is the last remaining station building on the line not to have been renovated and refurbished for either private or commercial use. The building was Grade II listed in 1977 and is now leased from Network Rail and managed by Bedfordshire Rural Communities Charity.
Between 2008 and 2013 BRCC worked hard to bring the building back into productive use as a Heritage Centre, together with a café and office rental space. This work was undertaken on behalf of the Marston Vale Community Rail Partnership and other local stakeholders with funding of £500,000 from Rural Development Programme for England, Central Bedfordshire Council, WREN, the Garfield Weston Foundation, the Railway Heritage Trust and the Wixamtree Trust. The heritage centre, together with the café, opened on 10 September 2013. In time, the renovation of the booking office will be completed with a large historical display. Scenes from the 2011 feature film 'OneDay' were filmed at the station and some film props are on display in the heritage centre.
November 2006 saw work start on the Ridgmont Bypass, and the £15.5 million project was finished in June 2008. The A507 Ridgmont relief road immediately west of the station is designed to carry 80 per cent of heavy traffic away from the neighbouring villages.
Ridgmont, in common with other stations on the Marston Vale Line, is covered by the Marston Vale Community Rail Partnership, which aims to increase use of the line by involving local people. Services are operated by a Class 153 single-car diesel multiple unit and 2-car class 150 unit.
Click here to see a video of a class 121 'Bubble Car' DMU at Ridgemont
BRIEF HISTORY OF THE BEDFORD
RAILWAY
A group of local businessmen first promoted a line to Bedford in 1844. The proposal was supported by engineer George Stephenson. A public meeting was held on 23 April 1844 where there was some discussion about where the line should form a junction with the London & Birmingham. Stephenson was keen that the junction should be at Bletchley and although there was spirited opposition his proposal was eventually accepted.
A prospectus for the Bedford & London & Birmingham Railway was drawn up on 28 May 1844, with the engineers being named as George and Robert Stephenson. When complete the line was to be worked by the London & Birmingham Railway; work started on 13 December 1845 and was completed in September 1846
During the construction of the Bedford line, the London & Birmingham Railway amalgamated with the Grand Junction Railway to form the London & North Western Railway who took over the running of the line.
Intermediate stations from Bletchley were Fenny Stratford, Ridgmont, Lidlington and Manston (later renamed Millbrook). The line opened on 18 November 1846; the line from Oxford - Bletchley opened on 20 May 1851. The final link from Bedford to Cambridge opened on 7 July 1862 provided an important cross-country line between Oxford and Cambridge, forming one of the few east-west routes with the capability of reaching the east coast ports. Most services, however, ran from Oxford to Bletchley and from Bletchley to Cambridge.

A rail-motor service between Bletchley and Belford was introduced on 1 December 1905. Seven new stations were opened at Bow Brickhill, Aspley Guise, Husborne Crawley, Wootton Pillinge, Wootton Broadmead, Kempston Hardwick and Kempston & Elstow. An eighth one called Brickyard Halt is shown in company records near Wootton Pillinge but this never appeared in a public timetable. Whereas the Great Western Railway named such additional unstaffed stations ‘halts’ the London & North Western Railway referred to them as ‘motor’ or ‘rail-motor’ stations, and subsequently there has been uncertainty about whether Bow Brickhill and the others should be called ‘halts’. The Ordnance Survey practice for the Bedford Railway motor stations was to identify them as halts until the London Midland Region ceased to use this suffix in 1968.
The rail-motors were superseded by pull-and-push units which continued in operation until the introduction of DMUs in 1959.
The Second World War intensified traffic on the line as never before. With the return of peace and the nationalisation of the run-down railway network the newly formed British Railways Board was looking to close unprofitable lines.
In 1955 the Railway Modernisation Plan proposed improvements to cross-country facilities between Oxford and Cambridge with the aim of maintaining a link between the major main line railways outside the congested Greater London area thereby allowing freight traffic to be transferred between three railway regions and easing the burden on London marshalling yards. Within a few years the policy changed and the line was not upgraded with the Bletchley flyover remaining as a monument to the fruitless proposal.
An attempt was made to close the Oxford - Bletchley - Cambridge line in 1959 but local pressure succeeded in winning a reprieve. There was some relief when Dr Beeching did not include the cross country Oxford to Cambridge line in his closure proposals in 1963, but just one year later the British Railways Board published closure plans for the whole route. The introduction of new diesel trains in the 1960s allowed British Railways to run much faster trains, and the need for a cross country service declined as passengers found it quicker to travel between Oxford and Cambridge via London. The lines between Oxford and Bletchley and Bedford and Cambridge closed after the last day of service on 30 December 1967; the section between Bletchley and Bedford remained open, although downgraded.
All of the stations lost their goods and parcels facilities, and every station except Bletchley became an unstaffed halt from 15 July 1968. Closure was once again proposed, and it was announced that the remaining section of the Oxford - Cambridge route would close in October 1972. There were numerous objections to the closure which was postponed until a suitable replacement bus service could be introduced. Once this was in place closure was announced for 31 December 1972.
The Bedford Rail Users' Association was formed to fight the closure, and the opposition was so strong that British Rail was forced to postpone once again, pending an appeal by local groups. At this time government thinking on rail closures was changing and a grant was provided to maintain the service. With the development of the large new town of Milton Keynes, which incorporated Bletchley, the line began attracting new customers.

In 1973 a 20-year contract between the Greater London Council and the London Brick Company assured the line’s future. The contract was worth £10m to British Rail who began operating block trains between new sidings at Stewartby and a new handling depot at Hendon.
For much of the twentieth century this 16-mile line had a particularly distinctive character, its closely-spaced stations being either in the Gothic Revival style or diminutive halts. The numerous staffed level crossings also gave the line a certain charm; even in the mid 1980s the passenger would be aware of gate-keepers standing at each crossing as their train passed. The landscape was also distinctive between Bedford and Ridgmont as the route was hemmed in by forests of tall chimneys and massive clay pits. Nowhere was this more the case than at Stewartby. From 1968 until its replacement in 1984 on a new route into Bedford (Midland) the Bedford – Bletchley line had its eastern terminus at Bedford St Johns, an unstaffed ‘halt’ an inconvenient distance from the main line station.
The Bletchley to Bedford line closed on 23 July 2004 for rebuilding. This included re-signalling, the replacement of crossing gates with lifting barriers and the staggering of platforms at Stewartby, Lidlington and Aspley Guise. The line reopened on 6 September 2004 controlled from new Marston Vale Signalling Centre and Ridgmont.
The service is now operated by Marston Vale Community Rail Partnership part of London Midland who operate services on the West Coast Main Line from London Euston previously run by Silverlink and in the West Midlands previously run by Central Trains. The franchise was originally due to expire in September 2015 but in March 2013 was extended until June 2017.
The Bedford - Bletchley (Marston Vale) Line is one of the two remaining sections of the former Varsity Line (Oxford - Cambridge) still in passenger use. In the 2011 Autumn Statement the Chancellor of the Exchequer, George Osborne, announced the allocation of £270 million for the East West Rail Consortium to reinstate the Oxford – Bletchley – Bedford section of the Varsity Line. The service will link the Marston Vale Line (calling at Bedford, Lidlington, Woburn Sands and Bletchley only) to Winslow, Bicester Town, Oxford and Reading. The Consortium hopes later to reopen the Bedford — Cambridge section, for which a new route may be required, possibly involving the use of the East Coast main line south from Sandy then the Hitchin – Cambridge line, with a new north-to-east chord just north of Hitchin.
On 16 July 2012 the Coalition Government announced that the Marston Vale route would be electrified, as will the currently disused line from Bletchley to Oxford. This would form part of a wider 'Electric Spine' stretching from Yorkshire and the West Midlands to Southampton and South Coast Ports.
Ticket from Michael Stewart. Bradshaw from Nick Catford. Route map drawn by Alan Young
To see other stations on the Bedford Railway between Bletchley and Bedford (The Marston Vale Line) click on the station name:
Fenny Stratford, Bow Brickhill, Woburn Sands, Aspley Guise, Husborne Crawley (Closed), Lidlington, Millbrook, Stewartby, Wooton Broadmead (Closed), Kempston Hardwick & Kempston & Elstow (Closed)
To see the other
stations on the Oxford - Cambridge line click on the station name: Oxford Rewley Road, Port
Meadow Halt, Wolvercote
Halt, Oxford
Road Halt, Islip, Oddington
Halt, Charlton
Halt, Wendlebury
Halt, Bicester
London Road, Launton, Marsh
Gibbon & Poundon, Claydon, Verney
Junction, Winslow, Swanbourne, Bedford
St. Johns, Willington, Blunham, Girtford
Halt, Sandy, Potton, Gamlingay, Old North
Road & Lords
Bridge |