Station Name: WOBURN SANDS
Station still open but included for completeness


[Source: Nick Catford]


Date opened: 18.11.1846
Location: West side of Station Road (A5130)
Company on opening: Bedford Railway
Date closed to passengers: Still open
Date closed completely: Still open
Company on closing: Still open
Present state: Still open
County: Buckinghamshire
OS Grid Ref: SP923363
Date of visit: December 1967

Notes: Opened in 1846 by the Bedford Railway, the Woburn Sands station buildings are in a half-timbered Gothic Revival style with high pitched gables that had been insisted upon by the 7th Duke of Bedford for stations close to the Woburn Estate. The buildings are Grade II listed. The building is partly faced with roughcast render. The gable facing onto the platform has ornamental timber framing is in cross and herringbone pattern with a projecting bay window from the booking office on the ground floor. Assuming the 1852 engraving reproduced below is correct the gable was flanked by verandah porches, their braces forming pointed arches; one porch is the entrance from the road and the other is the exit from the building onto the platform. The gables have pierced decorative bargeboards with finials. The upper floor of the building was the station master’s house while the lower floor included the booking office, booking hall, ladies’ waiting room, general waiting room and a porters’ room. All contemporary photographs of the building show that verandah on the east side of the building has been replaced by another highly decorated gable facing onto the road.

The station has two facing platforms; originally these were low but they were later raised to the standard height. The station was initially called Woburn but 'Sands' was added to the name on 1 February 1860 taking its name from the underlying layer of Greensand, a type of sandstone.

After the opening of the station a community and industry began to develop around it. The first industry to arrive was Eastwood's brick works followed by the Woburn Sands and Aspley Guise gas company who had a siding laid into their works in 1871. The goods yard was spread over both sides of the line. There were four sidings on the up side, two serving a cattle dock and pens immediately behind the up platform. The other two served a large timber goods shed with one of them passing through it. There was a five-ton capacity crane between the two pairs of sidings. There was a stable at the back of the yard behind the goods shed. The siding Eastwood's brick works was at the west end of the yard. There had originally been a manure siding here before the brickworks was built. On the north side of the line two sidings served the coal depot which was behind the down platform. The coal depot was very busy, supplying coal for the gas works which had its own siding, and as early as 1848 it handled 3.393 tons of coal, exceeding that of any other station on the line.

The goods yard had six wagon turntables (or turnplates). Four turntables were 11ft wide and were sited at the end of four of the sidings. The other two turntables were 12ft wide and enabled wagons to be moved from one side of the yard to the other by crossing the main line at right angles. This facility had been removed by 1900 as had three of the turntables.

Woburn Sands was demoted to an unstaffed halt in 1968, freight facilities having been withdrawn on 17 July 1967. Woburn Sands lost its Victorian signal box in August 2004 as part of the development and modernisation of the route. Until 2004 the line was controlled by staffed signal boxes located at various stations, but the entire line is now controlled from one signalling centre at Ridgmont.

Woburn Sands station, in common with others on the Marston Vale Line, is covered by the Marston Vale Community Rail Partnership, which aims to increase use of the line by involving local people. Services are operated by a Class 153 single-car diesel multiple unit and 2-car class 150 unit.

BRIEF HISTORY OF THE BEDFORD RAILWAY
A group of local businessmen first promoted a line to Bedford in 1844. The proposal was supported by engineer George Stephenson. A public meeting was held on 23 April 1844 where there was some discussion about where the line should form a junction with the London & Birmingham. Stephenson was keen that the junction should be at Bletchley and although there was spirited opposition his proposal was eventually accepted.

A prospectus for the Bedford & London & Birmingham Railway was drawn up on 28 May 1844, with the engineers being named as George and Robert Stephenson. When complete the line was to be worked by the London & Birmingham Railway; work started on 13 December 1845 and was completed in September 1846

During the construction of the Bedford line, the London & Birmingham Railway amalgamated with the Grand Junction Railway to form the London & North Western Railway who took over the running of the line.

Intermediate stations from Bletchley were Fenny Stratford, Ridgmont, Lidlington and Manston (later renamed Millbrook). The line opened on 18 November 1846; the line from Oxford - Bletchley opened on 20 May 1851. The final link from Bedford to Cambridge opened on 7 July 1862 provided an important cross-country line between Oxford and Cambridge, forming one of the few east-west routes with the capability of reaching the east coast ports. Most services, however, ran from Oxford to Bletchley and from Bletchley to Cambridge.



A rail-motor service between Bletchley and Belford was introduced on 1 December 1905. Seven new stations were opened at Bow Brickhill, Aspley Guise, Husborne Crawley, Wootton Pillinge, Wootton Broadmead, Kempston Hardwick and Kempston & Elstow. An eighth one called Brickyard Halt is shown in company records near Wootton Pillinge but this never appeared in a public timetable. Whereas the Great Western Railway named such additional unstaffed stations ‘halts’ the London & North Western Railway referred to them as ‘motor’ or ‘rail-motor’ stations, and subsequently there has been uncertainty about whether Bow Brickhill and the others should be called ‘halts’. The Ordnance Survey practice for the Bedford Railway motor stations was to identify them as halts until the London Midland Region ceased to use this suffix in 1968.

The rail-motors were superseded by pull-and-push units which continued in operation until the introduction of DMUs in 1959.

The Second World War intensified traffic on the line as never before. With the return of peace and the nationalisation of the run-down railway network the newly formed British Railways Board was looking to close unprofitable lines.

In 1955 the Railway Modernisation Plan proposed improvements to cross-country facilities between Oxford and Cambridge with the aim of maintaining a link between the major main line railways outside the congested Greater London area thereby allowing freight traffic to be transferred between three railway regions and easing the burden on London marshalling yards. Within a few years the policy changed and the line was not upgraded with the Bletchley flyover remaining as a monument to the fruitless proposal.

An attempt was made to close the Oxford - Bletchley - Cambridge line in 1959 but local pressure succeeded in winning a reprieve. There was some relief when Dr Beeching did not include the cross country Oxford to Cambridge line in his closure proposals in 1963, but just one year later the British Railways Board published closure plans for the whole route. The introduction of new diesel trains in the 1960s allowed British Railways to run much faster trains, and the need for a cross country service declined as passengers found it quicker to travel between Oxford and Cambridge via London. The lines between Oxford and Bletchley and Bedford and Cambridge closed after the last day of service on 30 December 1967; the section between Bletchley and Bedford remained open, although downgraded.

All of the stations lost their goods and parcels facilities, and every station except Bletchley became an unstaffed halt from 15 July 1968. Closure was once again proposed, and it was announced that the remaining section of the Oxford - Cambridge route would close in October 1972. There were numerous objections to the closure which was postponed until a suitable replacement bus service could be introduced. Once this was in place closure was announced for 31 December 1972.

The Bedford Rail Users' Association was formed to fight the closure, and the opposition was so strong that British Rail was forced to postpone once again, pending an appeal by local groups. At this time government thinking on rail closures was changing and a grant was provided to maintain the service. With the development of the large new town of Milton Keynes, which incorporated Bletchley, the line began attracting new customers.

In 1973 a 20-year contract between the Greater London Council and the London Brick Company assured the line’s future. The contract was worth £10m to British Rail who began operating block trains between new sidings at Stewartby and a new handling depot at Hendon.

For much of the twentieth century this 16-mile line had a particularly distinctive character, its closely-spaced stations being either in the Gothic Revival style or diminutive halts. The numerous staffed level crossings also gave the line a certain charm; even in the mid 1980s the passenger would be aware of gate-keepers standing at each crossing as their train passed. The landscape was also distinctive between Bedford and Ridgmont as the route was hemmed in by forests of tall chimneys and massive clay pits. Nowhere was this more the case than at Stewartby. From 1968 until its replacement in 1984 on a new route into Bedford (Midland) the Bedford – Bletchley line had its eastern terminus at Bedford St Johns, an unstaffed ‘halt’ an inconvenient distance from the main line station.

The Bletchley to Bedford line closed on 23 July 2004 for rebuilding. This included re-signalling, the replacement of crossing gates with lifting barriers and the staggering of platforms at Stewartby, Lidlington and Aspley Guise. The line reopened on 6 September 2004 controlled from new Marston Vale Signalling Centre and Ridgmont.

The service is now operated by Marston Vale Community Rail Partnership part of London Midland who operate services on the West Coast Main Line from London Euston previously run by Silverlink and in the West Midlands previously run by Central Trains. The franchise was originally due to expire in September 2015 but in March 2013 was extended until June 2017.

The Bedford - Bletchley (Marston Vale) Line is one of the two remaining sections of the former Varsity Line (Oxford - Cambridge) still in passenger use. In the 2011 Autumn Statement the Chancellor of the Exchequer, George Osborne, announced the allocation of £270 million for the East West Rail Consortium to reinstate the Oxford – Bletchley – Bedford section of the Varsity Line. The service will link the Marston Vale Line (calling at Bedford, Lidlington, Woburn Sands and Bletchley only) to Winslow, Bicester Town, Oxford and Reading. The Consortium hopes later to reopen the Bedford — Cambridge section, for which a new route may be required, possibly involving the use of the East Coast main line south from Sandy then the Hitchin – Cambridge line, with a new north-to-east chord just north of Hitchin.

On 16 July 2012 the Coalition Government announced that the Marston Vale route would be electrified, as will the currently disused line from Bletchley to Oxford. This would form part of a wider 'Electric Spine' stretching from Yorkshire and the West Midlands to Southampton and South Coast Ports.

Ticket from Michael Stewart. BR timetable from Alan Young. Route map by Alan Young.

To see other stations on the Bedford Railway between Bletchley and Bedford (The Marston Vale Line) click on the station name:
Fenny Stratford, Bow Brickhill, Aspley Guise, Husborne Crawley (Closed), Ridgmont, Lidlington, Millbrook, Stewartby, Wooton Broadmead (Closed), Kempston Hardwick & Kempston & Elstow (Closed)

To see the other stations on the Oxford - Cambridge line click on the station name: Oxford Rewley Road, Port Meadow Halt, Wolvercote Halt, Oxford Road Halt, Islip, Oddington Halt, Charlton Halt, Wendlebury Halt, Bicester London Road, Launton, Marsh Gibbon & Poundon, Claydon, Verney Junction, Winslow, Swanbourne, Bedford St. Johns, Willington, Blunham, Girtford Halt, Sandy, Potton, Gamlingay, Old North Road & Lords Bridge


Woburn Sands Station Gallery 1 1852 - Late 1960s


Engraving of Woburn station in 1852. Note the scales on the platform. Assuming this engraving is correct the station building was similar to others within the Woburn estate with the gable facing onto the platform flanked by verandah porches, their braces forming pointed arches. In all the pictures below there is only a verandah on the west side of the gable; on the east side of the building the verandah has been replaced by another gable facing onto the road.



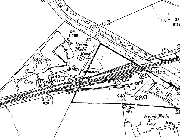
1882 1:2,500 OS map shows the original layout of the station. The goods yard is to the south of the station with sidings running behind the up platform, serving a cattle dock and pens immediately behind the platform and a large timber goods shed. There are further sidings to the north of the station serving the Woburn Sands and Aspley Guise Gas Company and a coal depot. Note six wagon turntables (often referred to as turnplates). Those at the end of the sidings are 11ft and those linking both sided of the goods yard are 12ft. Eastwood brickworks is seen to the north of the station.


1900 1:2,500 OS map. Three of the turnplates have now gone as has the track running at right angles across the main line. One of the sidings running behind the down platform has been re-laid at an angle to the other. To the north of the station the kilns have been demolished and replaced with a Fullers Earth works. The Station Hotel, which is shown on the earlier map, is identified.


1925 1:2,500 OS map, There have been minor changes in the goods yard. The other three turnplates have been removed and the position of the yard crane is now identified between the sidings. The Woburn Sands brickworks is seen on the right but it has no rail connection. The large brickworks of the New Fletton Brick Company opened in the early years of the twentieth century to the west of Woburn Sands. This has a rail connection to the Bedford line and an internal tramway.. Click here for a larger version of this map.


Woburn Sands station layout in 1957. The bulk of the goods yard was to the gods yard was behind the up platform with four sidings. Immediately behind the platform two sidings served the cattle dock, one along side and one end on. A cattle pen was located on the dock. To the south one siding passed through the large timber goods shed while another ran alongside it. The 5-ton capacity yard crane stood between these sidings and the cattle dock. The goods office, weighbridge and weigh office were sited at the entrance to the yard with a small stable block behind the goods shed. On the down side of the line two sidings served the coal yard which was behind the down platform. The coal office was at the entrance to the yard. From here a private siding ran into the gas works (originally the Woburn Sands and Aspley Guise Gas Company). Click here for a larger version of this map.


Woburn Abbey station, level crossing and signal box before December 1905. The rural setting seen here looks very different today.
Copyright photo from John Alsop collection


Passengers wait on the Oxford platform at Woburn Abbey station as a passenger train, possibly hauled by a Precedent or 'Jumbo' class 2-4-0 locomotive approaches the station in the early years of the 20th century. This view shows the original height of the platforms edged with stone blocks.
Photo from John Mann collection


An LNWR steam railmotor bound for Bedford waits in the down platform at Woburn Sands in 1908. The LNWR had six of these 43-ton rail-motors from 1905, They had 9.5 x 15in inside cylinders and 3ft 9in wheels. Click here to see more pictures of an LNWR rail-motor at Bicester London Road station c1910. Note the original height of the station platforms.
Copyright photo from John Alsop collection


Woburn Sands station looking east before June 1911. Woburn Sands was one of four stations on the Bedford to Bletchley line to have a building in a cottage orné Gothic Revival style at the insistence of the 7th Duke of Bedford. The waiting shelter on the down platform. The tongue-and-groove plank waiting room with plain valance on the down platform was also used at the other original stations on the Bletchley - Bedford line.
Copyright photo from John Alsop collection


Aerial view of Woburn Sands station and goods yard in 1931. The two platforms are seen at the bottom. Behind the up platform two sidings serve the large cattle dock, one ending end-on to the dock. Cattle pens are seen on the dock. Behind the pens there are two further sidings, one of which passes through the large goods shed. The building behind it is a stable. The five-ton capacity yard crane is seen bottom right. The goods office is seen at the entrance to the goods yard with the weigh office next to it; the weighbridge is in shadow alongside. The end of the coal depot can just be made out behind the down platform. Woburn Sands brick works is seen to the north of the station. The Station Hotel is seen top left, and between the hotel and the weigh office there is a stable block. Click here to see a larger version of this picture.
Reproduced with the kind permission of Simmons Aerofilms Ltd


By June 1953 the platforms had been rebuilt to the standard height. Note the step at the end of the up platform with a short section of low platform remaining. This was retained to allow continued use of the door from the station building but even this section of platform has been re-edged and resurfaced unlike some other stations on the line where the original edge stones were kept. Note the LMS 'hawkseye' sign on the right. All the stations on the Bletchley - Bedford line were provided with BR (LMR) maroon signage in the later 1950s but some stations between Bedford and Cambridge retained their LMS signage until closure on 1 January 1968.
Copyright photo from John Alsop collection


Woburn Sands level crossing and station forecourt in July 1958. The entrance to the goods yard is on the left. The station building is in a ‘cottage orné’ Gothic Revival style at the insistence of the 7th Duke of Bedford for all stations close to the Woburn Estate.
Copyright photo by RM Casserley


Woburn Sands station looking east from the down platform in the 1960s. The large water tank on the far side of the crossing is new. Its purpose is unknown but it is short lived; it is not shown on a 1957 station plan and was gone by the end of the decade. Note the station now has BR (LMR) signage with totem signs visible on the lamp posts.
Photo from John Mann collection.


Woburn Sands station looking west along the up platform in the 1960s. The reason for retaining a section of low platform is apparent in this view with two doors opening onto the platform. Wagons and the jlib of the 5-ton yard crane are seen in the goods yard behind the platform.
Photo from John Mann collection


Passengers waiting for a westbound train at Woburn Sands station on a summer day in the 1960s. The 'way out' is indicated by a sign to the left of the bay window. At other stations in the Woburn estate there was a verandah porch here, a mirror image of that seen on the west side of the gable. At Woburn Sands the 1852 engraving reproduced above shows two verandahs but all photographs show this arrangement. Either the engraving is wrong or the building was changed at an early date.
Photo from John Mann collection


Woburn Sands up platform and goods yard seen from a Cambridge DMU in December 1967, a week before the Oxford - Cambridge service was withdrawn. The goods yard closed a few months earlier on 17 July 1967 and was the last intermediate station yard on the line to close. The cattle dock is seen behind the platform with the large timber goods shed behind it. The 5-ton capacity yard crane is also seen. The goods office is seen set at an angle near the entrance to the yard.
Photo by Nick Catford


Woburn Sands station looking east from the Bletchley platform c late 1960s.
Photo from John Mann collection

Click here for Woburn Sands Station Gallery 2
May 1970 - February 2014

 

 

 

[Source: Nick Catford]




Last updated: Friday, 26-May-2017 10:03:51 CEST
© 1998-2014 Disused Stations