Station Name: HESWALL

[Source: Paul Wright]

Date opened: 19.4.1886
Location: On the south side of Station Road, Riverbank Close now occupiers the site of the station.
Company on opening: Birkenhead Joint (Great Western Railway and London North Western Railway)
Date closed to passengers: 17.9.1956
Date closed completely: 7.5.1962
Company on closing: British Railways (London Midland Region)
Present state: The ground level was raised and built over in the 1960s. No trace of the station or the track bed remains. Even the walkers, riders and cyclists using the country park, have to take a 1Km road detour to regain the track bed.
County: Cheshire
OS Grid Ref: SJ266808
Date of visit: 8.4.2005 & 9.8.2009

Notes: Heswall station was situated on the 12 mile Birkenhead Joint Railway (BJR) Hooton and West Kirby line. The BJR was a joint concern of the London & North Western Railway (LNWR) and the Great Western Railway (GWR). The line had opened in two stages. The first section opened between Hooton and Parkgate on 1 October 1866. The section of line on which Heswall stood opened as an extension to the original line on 19 April 1886.

Heswall station was located 1 mile to the south-west of its namesake on the western side of a small settlement known as Lower Heswall. It was 7 miles from Hooton and 5 from West Kirby.

The passenger facilities were on the south side of station road which passed over the line on a bridge. The booking office was at street level on the east side of the line.

The line was a single track railway but a passing loop was provided at Heswall and the station had two platforms. Passengers accessed the platforms by passing from the booking hall directly onto a footbridge which linked to them by stairways.

On the up platform (Hooton direction) there was a brick built waiting room with canopy.

Just to the south of the up platform waiting rooms there was a signal box which controlled the main line and access to the goods sidings.

The down platform (West Kirby direction) also had waiting rooms with a canopy.

Heswall was provided with goods facilities. They were located on the north side of station road on the east side of the line. They consisted of two sidings, a brick built goods shed, a 10-ton lifting crane and a weighing machine.

At the time of opening Heswall was served by trains that ran between Birkenhead Woodside and West Kirby with some shorter workings that commenced or terminated at Hooton. The December 1895 timetable showed 10 up and 11 down services Monday-to-Friday. There was an extra down service on Tuesdays and Saturdays and there were 4 trains in each direction on Sundays.

After the opening of the station Lower Heswall developed as a residential area which became fashionable with commuters. As a consequence of this Heswall became the busiest intermediate station on the line. Photographs from the early twentieth century show crowded platform scenes when trains were due or had arrived.

The 1904 Handbook of Stations listed Heswall as having facilities for passengers, parcels, general goods, furniture vans, livestock and horse boxes.

The July 1922 timetable showed 14 trains in each direction Monday-to-Friday. There was an extra train in each direction on Saturdays. On Sundays there were five trains each way.

On 1 January 1923 the LNWR became part of the London, Midland & Scottish Railway (LMS). The BJR was wound up as a legal entity and the line became simply a joint route of the GWR/LMS.

The LMS summer timetable for 1932 showed the best service that the line had ever had with 22 up and 23 down trains Monday-to-Friday. On Saturdays there was an extra up train and there were 7 trains each way on Sundays. An important through service passed through Heswall at this time. It ran once a day and consisted of one or two coaches that ran from New Brighton via Bidston and West Kirby to Hooton and Chester, where it was attached to a London Euston train; this ran until the Second World War broke out on 3 September 1939.

Although the line enjoyed such a good level of service in the 1930s, and Heswall station remained busy, the branch had been uneconomical since the 1920s (it had lost it principal freight traffic in 1927 when Neston colliery had closed). Many of its stations were located far from the locations that they purported to serve and bus competition had affected passenger numbers.

During the Second World War the line saw extra traffic as a number of military establishments opened along its course.

On 1 January 1948 Heswall became part of British Railways [London Midland Region] (BR[LMR]). The summer timetable for 1949 showed 13 up and 14 down services Monday-to-Friday. On Saturdays there was an extra up service and on Sundays there were five trains in each direction.

By 1953 services were down to 9 up and 11 down services Monday-to-Friday. There was an extra up service on saturdays but no trains on Sundays. On 7 July 1954 all three of the intermediate stations between Heswall and West Kirby were closed (Thurstaston, Caldy and Kirby Park).

The 1956 Handbook of Stations listed Heswall as being able to handle passengers, general goods, livestock and horse vans. .

Being hopelessly uneconomic BR[LMR] withdrew the passenger service on 17 September 1956. The last trains ran on Saturday 15 September. The last train to depart from Heswall left for Hooton at 7.10pm. Interestingly it had coupled to it a box van containing two circus elephants that had boarded at West Kirby.

Heswall remained open for goods.

In 1961 passenger trains were once again seen at Heswall. However they carried no passengers. They were DMUs that were being introduced onto the Birkenhead and Chester line and the West Kirby branch was used for driver training purposes. The increased level of traffic was short lived lasting for only a couple of weeks.

By 1962 the goods service had reduced to a couple of services per week that often did not run if they were not required. BR[LMR] proposed the line for closure and the last goods service ran on 7 May 1962. It called at the former passenger station and removed any remaining salvageable assets that were still present. Heswall station was then closed completely.

Early in 1964 the demolition gangs began their work and the line was lifted.

In 1968 the route of the Hooton - West Kirby Branch was chosen to create Britain's first country park the Wirral Country Park opening in 1973. The park forms the central section of Wirral Way, a 12 miles cycleway and footpath that follows the course of the railway between West Kirby and Hooton; however the site of Heswall station had been developed as part of a housing estate before the Country Park was created so nothing of it remains today.

Tickets from Michael Stewart

To see the other stations on the Hooton - West Kirby line click on the station name:West Kirby, Kirby Park, Caldy, Thurstaston, Parkgate (2nd), Parkgate (1st), Neston South, Hadlow Road & Hooton


A busy scene at Heswall Station in the earl 1900s. The view is looking south-east along the down platform. The service is a GWR train that has probably travelled from Birkenhead Woodside and will be heading to West Kirby.
Copyright photo from John Alsop collection




Heswall station shown on a 6-inch scale map from 1897.


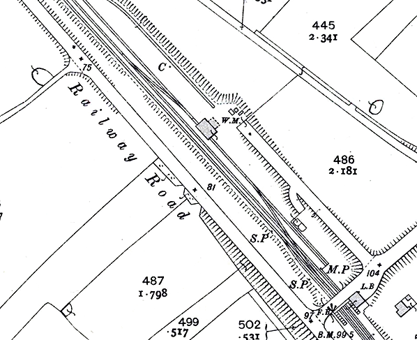
The passenger facilities at Heswall station shown on a 25-inch scale map from 1909.


Heswall station had substantial goods facilities which are shown on this 25-inch scale map from 1909.


Heswall station looking north-west in the early Twentieth century as a Hooton direction train arrives from West Kirby. The platform is crowded with passengers which was typical for Hewall at that time.
Copyright photo from John Alsop collection

The Heswall station up platform looking south-east from a passing train in September 1954.
Copyright photo by H C Casserley


The booking office at Heswall station looking west in 1960. The station had been closed to passengers for six years but it retained its signs and poster boards. Public goods services still operated
at this time.
Photo from the Simon Thornton collection


A view looking north along the down platform at Heswall station during the winter of 1962/3.
Photo by Joseph Higham

Looking north at the site of Heswall station, from the position of the trackbed, in August 2009. Beneath the position of the tree directly ahead can be seen the retaining wall that supported the street level booking office. Steps originally led down to the platform.
Photo by Paul Wright

Looking north in August 2009 showing the retaining wall, next to the garage, which supported the station booking office. The only surviving evidence that a station once stood at this location.
Photo by Paul Wright

c.1905

c.1905

August 2009


click on thumbnail to enlarge

 

 

 

[Source: Paul Wright]



Last updated: Sunday, 24-Dec-2017 15:11:28 CET
© 2004-2018 Disused Stations