Station Name: ST. HELENS (Lancs) 2nd Station

[Source: Paul Wright & Bevan Price]


Date opened: 19.12.1849
Location: South side of Church Street on what is now Chalon Way
Company on opening: St. Helens Canal & Railway Company
Date closed to passengers: 1.2.1858
Date closed completely: By 1871
Company on closing: St. Helens Canal & Railway Company
Present state: No trace remains the site is occupied by roads.
County: Lancashire
OS Grid Ref: SJ514950
Date of visit: 14.2.2006

Notes: St. Helens's second station was the northern passenger terminus of the St Helens Canal & Railway Company's (SHC&RC) line that connected the town to the banks of the River Mersey at Runcorn Gap (Widnes) and provided a connection with the Liverpool and Manchester line of 1830. The line had opened as the St Helens & Runcorn Gap Railway between St Helens and St Helens Junction (on the Liverpool and Manchester line) on 2 January 1832 and through to Runcorn Gap on 21 February 1833. The line was built to carry coal from St Helens to the River Mersey for onward movement by river and sea and little thought was given to passengers. Due to local lobbying a passenger service was introduced as early as September 1832 and a station was provided. It was however not close to the centre of town and very basic.

The early years of the line were difficult mostly due to intense competition from the Sankey Canal which also linked St Helens to the River Mersey. The two concerns merged on 21 July 1845 as the SHC&RC and finances improved. In 1847 the company obtained an act to build a number of new lines and carry out improvements to the original route. Traffic built up to such an extent that there was serious congestion at the original station. The solution was to build a new station close to the centre of town. A site was found opposite the Raven Inn and work commenced on a 21 ¾ chain extension line and the replacement station in February 1849. The works were completed by 25 October 1849. However the Board of Trade Inspector Captain Laffan RE, was not pleased with what he found and two further inspections were necessary. The first public train ran to the new station on 19 December 1849.

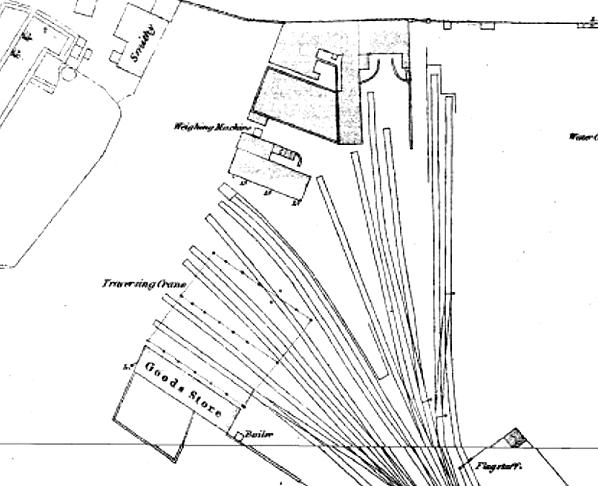
The main entrance was on what was at that time Raven Street. Booking facilities, waiting rooms and railway offices fronted onto the street. To the rear of the buildings there were six lines that could have been used by passenger trains. To the south there were a further seven lines that were used for goods. Five of the goods lines had a roof over them and a goods store. The station also had a weighing machine and a travelling crane.

Despite all of these facilities a local historian writing some 40 years after the second station had opened described it as a 'small, rudely constructed erection'.

Passenger services from the second St Helens station ran to Runcorn Gap and to St Helens Junction. The services to St Helens Junction had onward connections to Liverpool, Manchester, Warrington, Wigan and Preston as seen in the 1850 timetable below.

From 1 July 1852 passenger services began to run between St Helens and Garston Dock when a new line opened from Runcorn Gap to Garston Dock. The following year on 1 February 1853 services began to run to a temporary station at Warrington Whitecross via Runcorn Gap. On 1 May 1854 they were extended to run into Warrington Arpley station.

The May 1853 timetable showed twelve trains per day on weekdays between St Helens and Runcorn Gap running mostly at hourly intervals. Departures from St Helens were at half past the hour. Alternate trains at two hourly intervals served Garston and Warrington. On Sundays there were four trains each way between St Helens and Runcorn Gap, four to Garston and three to Warrington. Trains also ran between St Helens and St Helens Junction.

In August 1856 the Pilkingtons glass company took 1,300 of its employees and their families to Southport from the second St Helens station on a special excursion train. At that time the train would have had to take a circuitous route via St Helens Junction, Earlestown and Wigan.

As early as 22 July 1847 the SHC&RC had been authorised to build a line between St Helens and Rainford which would link with the Lancashire & Yorkshire Railway (LYR) Liverpool and Bury line at Rainford. Work did not commence on the line until July 1856. The Rainford branched off from the Runcorn Gap line to the south of the second St Helens station. Had the second station been retained Rainford line trains would have had to perform a reverse move to enter or leave. This would have been impractical and so a new station was decided upon.

The new station, located on the north side of Raven Street opened on 1 February 1858 and after less than nine years the second station was closed to passengers. It remained open for goods services but only until 1871 by which time it had passed into the ownership of the London & North Western Railway (LNWR).

The LNWR obtained an act on 5 July 1865 to build a railway between Huyton and St Helens. The line cut through the second St Helens station forcing its closure. The Huyton line opened on 18 December 1871.

Some of the second stations buildings survived closure and remarkably in 1959 during demolition of one of them, thought to have been the booking office, passenger receipts from this period were found. Nothing survived of the station in 2013 its site being occupied by roads.

Sources:

  • Industrial Railways of St Helens, Widnes and Warrington - Part 2 St Helens Coalfield and the Sandfields - C H A Townley & J A Peden - Industrial Railway Society 2002
  • The St Helens Railway, Its Rivals and Successors – J M Tolston – The Oakwood Press 1982
  • The Widnes to St Helens Railway in Halton 1833 - 1982 - P T Wright - Halton Borough Council 2008

To see the other stations on Widnes - St. Helens line click on the station name: Runcorn Gap, Ann Street, Appleton, Farnworth & Bold, Union Bank Farm Halt, Sutton Oak, Peasley Cross, St Helens 1st & St Helens 3rd

The site of the second St.Helens station looking north in February 2006.
P
hoto by Bevan Price



The second St. Helens station shown on an 1850s town plan when it was in use as a goods station.


The second St Helens station after it had closed to passenger services. To the right of the station can be seen the line that opened in February 1858 as part of the route to Rainford.


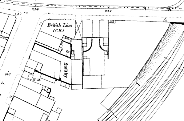
The station buildings of the second St. Helens station seen on a 1892 town plan. By this time physically isolated from the railway they had been used for other purposes.


A hundred years after closure the second St Helens station was still standing as shown on a 1958 map.

Looking north at the site of second St. Helens station in February 2006. On the far side of the roundabout is 'The Raven' hotel.
P
hoto by Bevan Price


A view looking south at the site of the second St Helens station on 9 November 2013.
P
hoto by Paul Wright


Looking towards the site of the second St Helens station on 9 November 2013. The narrow point on the canal was the site of a swing bridge which carried the railway towards the station. In the distance is 'The Raven' hotel which existed when the station was open.
Photo by Paul Wright

 

 

 

[Source: Paul Wright & Bevan Price]


Home Page
Last updated: Friday, 26-May-2017 11:05:56 CEST
© 1998-2013 Disused Stations