Station Name: CRAG MILL

[Source: Alan Young]


Date opened:

2.1871 (Passenger train calls shown in working timetable), but probably earlier unadvertised use.  First in Bradshaw 11.1875.

Location:

East Coast main line - immediately north-west of level crossing on Cragmill Lane.

Company on opening:

North Eastern Railway

Date closed to passengers:

10.1877 (Last appearance in Bradshaw)

Date closed completely: After 1955
Company on closing:

North Eastern Railway

Present state:

Crossing cottage (possibly used as station house) on up side immediately north-west of level crossing. Ramp and platform of former coal depot on up side south-east of crossing.

County: Northumberland
OS Grid Ref: NU115349
Date of visit: 1977

Notes: The spelling of this name is inconsistent, having been seen as Crag Mill in Quick’s Railway passenger stations, Cragmill on Ordnance Survey maps (the current preferred spelling) and in the Railway Clearing House Handbook, and as Cragg Mill (in Clinker’s Register, and publications derived from this source).

The origins of this short-lived station are puzzling. At neighbouring Smeafield, and at Goswick, Plessey and Forest Hall, from the outset the Newcastle & Berwick Railway provided crossing keepers’ houses which bore a strong resemblance to the 1847 station buildings, and stations were eventually opened at these points. At Chevington and Newham semidetached crossing cottages were also built in 1847; at these places, too, stations were opened. In all cases the N&B buildings were of stone. There is no reference in the N&B Railway contracts to a building being required at Crag Mill; the crossing cottage is of brick, rather than stone; and although the building possesses N&B features of raised gables (raking parapets) and kneelers , and the proportions are not unlike other crossing cottages, in other respects it is unlike N&B buildings. Fawcett (in Addyman 2011) suggests that the building at Crag Mill level crossing might have been an early work of Thomas Prosser, the first NER Architect who was appointed in December 1854. The modest pitched-roof building was aligned transverse to the railway and it possessed one storey, but with an attic whose windows were in the gable ends. A porch faced the road and a small single-storey section was placed on the opposite elevation.

This unfortunate station has from suffered from inaccurate descriptions in several publications. In R V J Butt’s The directory of railway stations (1995) the author wrongly states that this station and other late openers such as Goswick and Forest Hall on the ECML in Northumberland opened with the line in 1847. Two atlases have catapulted the station from Northumberland into Yorkshire. C J Wignall’s Complete British Railways maps and gazetteer (First edition, 1983) incomprehensibly places the station (as Cragg Mill) between Horsforth and the southern portal of Bramhope Tunnel. This error is repeated in Tony Dewick’s useful publication Complete atlas of railway station names (2002). The present writer also has to hang his head in shame as in Railways in Northumberland (2003) the photograph captioned as Cragg Mill is, in fact, the roadside elevation of Scremerston station, further north on the ECML. Robert Kinghorn in Lost railways of Northumberland (2006) has regrettably been misled by this error. The source of the misinformation about the building is a wrongly labelled photograph in an album housed in the Ken Hoole Study Centre, North Road station, Darlington.

Considering that Crag Mill is only a mile north-west of Belford station it might be asked why the North Eastern Railway thought it worth opening a station here to serve the limited population. However much the same can be said of Newham, provided just a mile from Chathill after the line had been open for only four years. The answer may simply be that the NER (and its predecessor the York, Newcastle & Berwick Railway) recognised that there was some traffic potential, and that other companies were more cautious. A case in point is the Great Western Railway which on its main line from Paddington to Bristol spaced stations more widely and failed to provide them at some lineside hamlets and villages, but from early in the twentieth century added ‘halts’ to serve these neglected settlements in response to the threat from competing road transport. By the time that the GWR began to open the many halts on its lines, the NER had realised that Crag Mill station was an unnecessary luxury and had closed it after only a short time.

Exactly when it opened is yet another area of uncertainty about the station. Quick (2009) notes that Crag Mill is included in an 1857 list of NER stations in the Clinker Collection and that it is shown (as ‘Cragmill’) on an Ordnance Survey map of the mid 1860s; he warns that passenger use at that time cannot be guaranteed but suggests that trains possibly made untimetabled market day calls. He notes the present author’s research that the station appeared in the NER working timetable of February 1871 with calls by passenger trains, but adds that it was not until November 1875 that it was included in the Bradshaw public timetable.

Smeafield, the next station to the north, also appeared in the working timetable of February 1871. Both stations had restricted services. In Bradshaw of May 1877 Crag Mill is served ‘when required’ by the 8.05am, 1.20pm and 6.15pm departures from Newcastle on Tuesday and Saturday only and on the same days, again ‘when required’, by the 6.30am and 5.20pm trains from Berwick.  Tuesday was market day in Belford, and Berwick and Alnwick markets were held on Saturday.

Whereas Smeafield survived as a passenger station into the LNER era, Crag Mill’s last appearance in Bradshaw was in October 1877.

As noted above, the OS map of 1865 names ‘Cragmill’ station, and by this date a coal depot was provided immediately south-east of the level crossing. The placing of the station name on the 1:10,560 map (1865) suggests that the passenger station was immediately north-west of the crossing, but the 1:2,500 edition of the same year  places the name south-east of the crossing. This latter map is at a sufficiently large scale to show the platforms but they are absent; neither are any shown on the next 1:2,500 edition, published in 1898 by which time the station had closed to passengers, and its name has been changed to ‘Cragmill Siding’. The Railway Clearing House Handbook of stations (1904 and 1955) includes Cragmill Siding (supervised by Belford) but provides no details about the types of goods that could be handled there. Long after it closed to passengers a Bartholomew’s ‘half-inch’ map c1905 marked and named Cragmill station, showing it north-west of the crossing.

By October 1877 a signal box had opened at Crag Mill, located immediately south-east of the level crossing on the down side of the line. It was built of brick and NER N2 design; in 1897 it was fitted with a Stevens 15-lever frame and a new 25-lever frame was fitted in 1925 in connection with the opening of loops approximately one mile in length between Crag Mill and Belford (officially described as Up and Down Independents) which could be used by slow-moving freight trains, enabling faster passenger trains to pass them on the original tracks. The 1931 LNER Sectional Appendices noted that the ‘Independents’ could be used, when necessary, for passenger train working, but the 1947 edition refers to them as ‘Passenger Independents’. The 1960 (BR) edition called them ‘Up and Down Slow Lines’, but by 1969 they were ‘Up and Down Passenger Loops’.  They remain in use in 2015.

Sometime around the mid 1920s Cragmill Quarry was opened about half-a-mile west of the former station. Whinstone was extracted, principally for use in road surfacing, and the quarry is still in operation. Although the quarry is known to have had internal 2ft-gauge rails within it, research by Jermy (2011) has located no maps of the railway layout, and it is likely that the tracks were moved and extended as the quarry was developed. From the outset stone was removed from the site by road, so there was no direct link with the East Coast main line.

On 25 February 1962 Crag Mill signal box was reduced to operating only as a gate box, and on 7 April 1963 a new frame of five levers was installed. The crossing gates were replaced with barriers on 6 November 1975 and the box closed on 25 September 1977. Thereafter the crossing was supervised from Belford signal box by CCTV, and when this box closed on 8 July 1990 Tweedmouth box assumed the supervisory role. The crossing keeper’s house remains in residential use.

Click here for a brief history of the East Coast Main Line
in Northumberland.

Route maps drawn by Alan Young

BIBLIOGRAPHY:

  • Addyman, John F (Editor) A history of the Newcastle & Berwick Railway (North Eastern Railway Association, 2011) – especially Chapter 5 ‘The buildings’ by Bill Fawcett
  • Fawcett, Bill A history of North Eastern Railway architecture Vol 1: The Pioneers (North Eastern Railway Association 2001)
  • Young, Alan Railways in Northumberland (Martin Bairstow, 2003)
  • Jermy, Roger  Northern Northumberland’s minor railways: Vol 3 Sandstone, whinstone and gravel lines (Oakwood Press 2011)

See other ECML stations:
Tweedmouth, Scremerston, Goswick, Beal, Smeafield, Belford, Lucker, Newham, Fallodon, Christon Bank,
Little Mill,
Longhoughton, Lesbury, Warkworth, Longhirst, Ashington Colliery Junction, Morpeth, Stannington, Plessey, Annitsford (1st), Annitsford (2nd), Killingworth, Forest Hall, Heaton (2nd), Heaton (1st), Durham, Croft Spa, Eryholme, Otterington, Alne & Tollerton


Crag Mill crossing keeper’s cottage and timber cabin looking north-east over the level crossing in 1966. The cottage is brick-built, whilst others on the Newcastle & Berwick Railway were of stone and its design bears only a weak resemblance to them. The passenger station here was to the north-west of the crossing – that is to say, to the left of the picture - and it appears to have been in use by 1857 and closed in 1877. The cottage was possibly pressed into service as accommodation for station staff during this period.
Photo by John M Fleming / NERA


1865 1: 10,560 OS map. Cragmill [sic] station is named, but no platforms are shown. The positioning of the name suggests that the passenger station was north-west of the level crossing and that it therefore adjoined the crossing keeper’s cottage. A coal depot is indicated south-east of the level crossing. There are a few isolated buildings and hamlets in the vicinity of the station which must have justified its opening but, it seems, insufficient population to make it worth providing a daily train service when it briefly appeared in the public timetable in the mid 1870s.

1865 1: 2,500 OS map. The source of this map of Cragmill is the same survey as was used on the 1: 10,560 map. The larger scale permits the two main line railway tracks to be shown as well as two sidings into the coal depot, south-east of the crossing on the up side of the main line. The station name on this map is shown south-east of the level crossing. An early twentieth century ‘half inch’ Bartholomew’s map indicates that the passenger station was north-west of the level crossing'

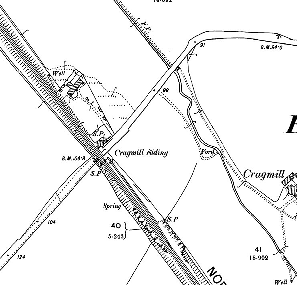
1898 1: 2,500 OS map. Cragmill [sic] ceased to be a passenger station in 1877, and it is now referred to as Cragmill Siding. The signal box immediately south-east of the level crossing, on the down side, has been added. There appears to be an outline of a platform adjoining one of the sidings
in the coal depot.

1924 1: 2,500 OS map. Only one siding is now shown as entering the coal depot. In other respects there has been little change in the locality of Cragmill within the area of this map. At about this time Cragmill Quarry opened beyond the western border of the map. Although it had internal narrow gauge railways there was never a rail connection to the main line.

Crag Mill signal box is seen in this 1960s view, looking west.  The box was constructed by October 1877 and was a brick-built North Eastern Railway N2 design. In 1962 it was reduced to gate box status, closed in 1977 and subsequently demolished.

Looking north-west from the level crossing at Crag Mill in August 1986.
There is no trace of any passenger platforms of the station which closed in 1877. The former crossing keeper's cottage is off the picture, to the right.
Photo by John Mann

Looking south-east from the level crossing at Crag Mill in August 1986. The structure on the left is part of the coal depot which long outlived the passenger facility here.
Photo by John Mann

Looking south-west towards the level crossing at Crag Mill in May 2015. The former crossing keeper's cottage is on the right. The passenger station was to the north-west of the crossing – behind the building - and it appears to have been in use by 1857 and closed in 1877. The cottage was possibly pressed into service as accommodation for station staff during this period.
Photo by Roger Cornfoot, reproduced from Geograph under creative commons licence

Looking north at Crag Mill on 30 July 2015. The crossing keeper’s cottage is beyond the level crossing.  Virgin East Coast 82 206 is working the 1E 19 14:30 Edinburgh – London Kings Cross service and passing the site of the short-lived passenger station.
Photo by Terry Callaghan

The site of Crag Mill station looking north-west from the level crossing in July 2015. The building on the right is the crossing keeper’s cottage, which possibly served as the station house for the short time that the station was open
Photo by Terry Callaghan

Looking south-east from the level crossing at Crag Mill in July 2015. The crossing cottage and former passenger station are behind the photographer. The structure on the left is part of the coal depot which long outlived the passenger facility here.
Photo by Terry Callaghan

The crossing keeper’s cottage at Crag Mill, looking north-west in July 2015. Although built of brick (whilst other such cottages on the ECML in Northumberland were of stone) there is a stone section to the right of the main building. It was not one of the structures provided when the line was opened by the Newcastle & Berwick Railway in 1847, but was probably constructed in the mid-to-late 1850s.
Photo by Terry Callaghan

Fragments of brick masonry, immediately south-east of Crag Mill level crossing, are all that remain of the signal box in July 2015.


 

 

 

[Source: Alan Young]




Last updated: Wednesday, 17-May-2017 09:21:44 CEST
© 1998-2015 Disused Stations