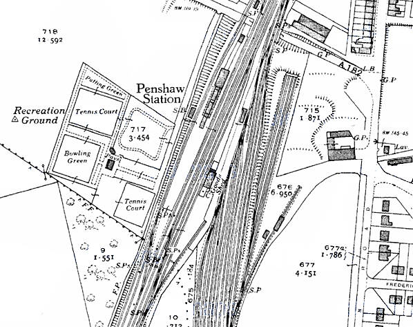
The second Penshaw station had facing platforms south of Station Road. However Ordnance Survey map evidence suggests that the up platform might have been sited south of Station Road before the down platform. Hoole (1985) notes that the earlier buildings of this second station were destroyed by fire, and it was rebuilt in 1913 with a 199yd concrete island platform; the new platform building, largely of timber construction, resembled that of Wilmington near Hull which dated from the previous year. It was an ample hipped-roof structure. In the southern half of the building the roof extended beyond the offices and waiting rooms to shelter the platform faces, and additional protection from the elements was provided by a glazed end-screen; in the northern half of the building, however, office accommodation extended to almost the full width of the roof and ended with parcels facilities entered by a sliding door on the north elevation, and topped by a hipped roof rising above the general roof level. Access to the platform was via a ramp which emerged at the southern end of the platform, sheltered by a wooden shed with eight windows under a hipped roof. A further wooden shed, again with a hipped roof, stood to the south of the station building.
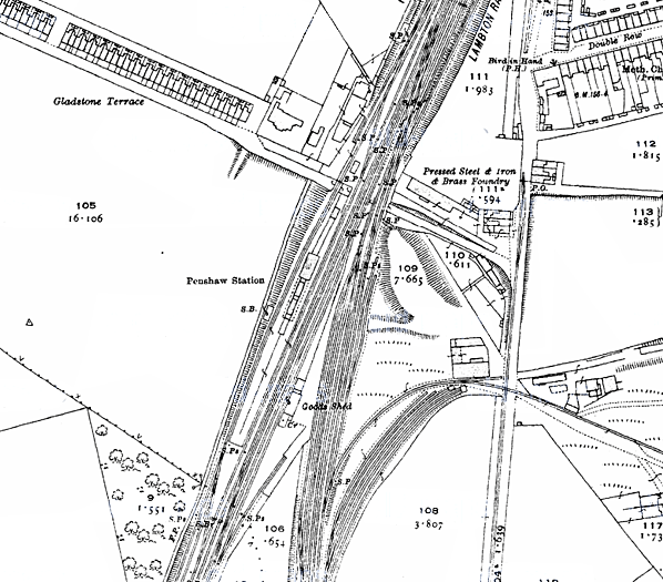
The tall Penshaw signal box stood west of the up track, adjacent to the station. To the east of the passenger lines additional through goods lines and sidings were provided, with a goods warehouse on the easternmost through goods line corresponding to the southern end of the passenger platform. Immediately south of the warehouse was a 33yd cattle dock reached from the south by a dead-end siding. Immediately north of Station Road bridge a 20yd horse dock was served by a siding from the down passenger line.
North Eastern Railway statistics for 1911 indicated that a population of 16,833 was within the station’s catchment and that 134,243 tickets were issued. Goods traffic handled in 1913 consisted of bricks, creosote / pitch / tar, building stone and livestock.
Penshaw benefitted from passenger train services to and from the Newcastle and Sunderland lines to the north and the Durham and Ferryhill lines to the south. In June 1920 on weekdays in the up direction there were nine weekday and two Sunday trains to Ferryhill whilst ten weekday (12 Saturday) and four Sunday trains ran to Durham. Eight down trains ran to Newcastle, with two on Sundays, and 12 left for Sunderland, with four on Sundays.
In 1923 at the Grouping of Britain’s railways the NER lines, and thus Penshaw station, were allocated to the London & North Eastern Railway. During the LNER era on the Old Main Line the frequency of passenger services on the line to Newcastle via Washington was reduced, and an infrequent service of about half-a-dozen trains each way operated on the route to Ferryhill until it was withdrawn in 1941. Nevertheless in winter 1937-8 Penshaw enjoyed a high frequency of trains, the majority being on the Sunderland – Durham route.
Up trains winter 1937-8 |
Destination |
Down trains winter 1937-8 |
Destination |
5.18am |
Durham |
6.31am |
Sunderland |
7.15am |
Ferryhill |
8.02am |
Newcastle |
7.25am |
Durham |
8.29am |
Sunderland |
8.27am |
Bishop Auckland |
8.51am |
Sunderland |
9.04am |
Durham |
8.59am |
Newcastle |
10.19am |
Bishop Auckland |
9.28am |
Sunderland |
11.02am |
Ferryhill |
10.11am |
Sunderland |
11.07am SX |
Bishop Auckland |
10.53am |
Sunderland |
11.07am SO |
Barnard Castle |
11.01am |
Newcastle |
11.34am SO |
Middleton-in-Teesdale |
11.36am |
Sunderland |
11.34am SO |
Leamside |
12.09pm SO |
Newcastle |
11.52am SX |
Middleton-in-Teesdale |
12.16pm |
Sunderland |
12.49pm SO |
Durham |
1.02pm SO |
Newcastle |
1.14pm |
Durham |
1.49 pm |
Sunderland |
1.47pm |
Darlington via Durham |
2.02pm SO |
Newcastle |
2.06pm |
Ferryhill |
2.32pm |
Sunderland |
2.19pm |
Durham |
3.10pm |
Newcastle |
3.19pm |
Durham |
3.22pm |
Sunderland |
4.24pm |
Durham |
4.19pm |
Sunderland |
4.49pm SX |
Middleton-in-Teesdale |
4.45pm |
Newcastle |
4.49pm SO |
Barnard Castle |
5.04pm |
Sunderland |
5.32pm |
Durham |
5.23pm |
Sunderland |
5.38pm |
Ferryhill |
5.29pm SX |
Gateshead East |
5.57pm |
Bishop Auckland |
5.46pm |
Sunderland |
6.24pm |
Leamside |
5.51pm SO |
Newcastle |
6.53pm |
Durham |
6.19pm |
Sunderland |
7.22pm |
Leamside |
7.07pm |
Sunderland |
7.31pm |
Durham |
7.15pm |
Newcastle |
8.35pm |
Durham |
7.44pm |
Sunderland |
8.47pm |
Bishop Auckland |
8.01pm SX |
Newcastle |
9.19pm |
Bishop Auckland |
8.06pm SO |
Newcastle |
9.27 pm SO |
Leamside |
8.44pm |
Sunderland |
10.57pm |
Durham |
9.43pm |
Sunderland |
11.16pm SO |
Durham |
10.09pm |
Sunderland |
|
|
10.30pm SO |
Newcastle |
|
|
11.00pm SO |
Sunderland |
On Sundays there were six up trains - two to Durham and four to Bishop Auckland - and six down trains, all to Sunderland. |
At nationalisation in 1948 the station found itself in the North Eastern Region of British Railways. By 1951 ticket bookings at Penshaw had fallen sharply to 20,872 a mere 16% of the figure forty years earlier. By this time the train services to and from Fencehouses via Washington had virtually ceased: in summer 1952 only one passenger train ran south of Washington, calling at Penshaw at 4.55am on weekdays on its way to Middleton-in-Teesdale. British Railways invested little in Penshaw station leaving it gas-lit and with LNER signage at each end of the platform.
Up trains summer 1952 |
Destination |
Down trains summer 1952 |
Destination |
4.55am |
Middleton-in-Teesdale |
5.51am |
Sunderland |
7.34am |
Bishop Auckland |
6.50am |
Sunderland |
8.30am |
Middleton-in-Teesdale |
8.26am |
Sunderland |
10.51am |
Bishop Auckland |
10.00am |
Sunderland |
12.34pm |
Durham |
12.20pm |
Sunderland |
2.21pm |
Middleton-in-Teesdale |
2.18pm |
Sunderland |
4.25pm |
Bishop Auckland |
4.01pm |
Sunderland |
5.29pm |
Bishop Auckland |
5.13pm SX |
Sunderland |
5.56pm |
Durham |
5.20pm SO |
Sunderland |
6.31pm |
Durham |
6.18pm |
Sunderland |
7.09pm |
Bishop Auckland |
7.51pm |
Sunderland |
9.51pm |
Bishop Auckland |
10.31pm |
Sunderland |
|
|
11.36pm (by request to set down only) |
Sunderland |
| On Sundays there were five up trains: three to Durham, one to Bishop Auckland and one to Saltburn (via Bishop Auckland). There were six down trains, all to Sunderland, the last of the day calling by request to set down only. |
In response to decreasing traffic Penshaw station was demoted to the status of a ‘staffed halt’ on 14 August 1961, and from 18 June 1962 it was identified as unstaffed in the public timetable; the North Eastern Region, in customary fashion, did not officially add ‘Halt’ to the station’s name.
Passenger traffic surveys were carried out on the Sunderland – Durham line on representative days in summer 1962 and winter 1962-3. The figures showed that passengers from and to Penshaw dominantly used trains in the Sunderland, rather than Durham, direction. The winter 1962-3 survey found 74 passengers joining trains at Penshaw on weekdays and 45 on Saturdays, with similar numbers alighting. When the Reshaping of British Railways was published in March 1963, Beeching dealt severely with County Durham, recommending the closure of the Sunderland – Durham – Bishop Auckland and the Pelaw – Washington (not ‘Fencehouses’) lines; although the BR(NE) summer 1963 timetable book included a Newcastle - Fencehouses table, only one train ran on the whole route, weekdays en route to Durham, and it did not call at Penshaw. This train did not call at Washington either, so effectively there was no Washington – Fencehouses service. Closure of the Washington route was one of the few to which no objections were received, so its demise was swift, formal closure taking place on 9 September 1963. This seems to have caught the timetable compilers napping as the Newcastle - Fencehouses table appeared, as before, in the winter 1963-4 book.
Following the publication of the formal proposal of closure19 July 1963, Ernest Marples, Minister of Transport, gave his consent on 28 February 1964 to the closure of the Sunderland – Durham – Bishop Auckland line, and services were officially withdrawn on 4 May 1964. Penshaw station was demolished within a few years of its closure, but the station house remains in use. The line through Penshaw continued to be used by mineral and goods trains, and for occasional passenger trains diverted from the East Coast main line. Penshaw station handled goods traffic until 30 April 1981. Although the route from Leamside to Durham closed entirely later in 1964 and the connection to Sunderland was lost in 1967, the Old Main Line remained in use until 1991 when British Rail ‘mothballed’ and singled the line from Pelaw to Ferryhill through Penshaw with a view to possible future use. Various proposals were made to reopen it to passengers, but gradually the line was rendered unusable: some track was stolen, and elsewhere lengths were officially removed at some level crossings, and fly-tipping also obstructed some of the route. In 2012 the decision was taken to close the line, and by late February 2013 most of the track south of Penshaw had been removed by rail vehicles, access being made possible by the reconnection of the junction with the East Coast main line at Tursdale, just north of Ferryhill: a correspondent noted a track recovery train topped and tailed by a DRS (Direct Rail Services) class 27 and 47 loaded with concrete sleepers. Nevertheless restoration of the track and services might eventually take place.

The Reshaping of British Railways (‘Beeching’) report of March 1963 did not recommend the Newcastle – Sunderland / South Shields local services and stations for closure, but the Washington route was earmarked. The closure to passengers of the line to Washington on 9 September 1963 entailed the withdrawal of the Newcastle to Washington train departing from Pelaw at 8.44 am and a reverse working from Washington to Newcastle which called at 5.47 pm, both operating on Monday-to-Friday only. As part of the programme of withdrawing goods services from wayside stations, Pelaw ceased to handle this traffic on 4 October 1965. On 2 January 1967 the North Eastern Region was abolished and its lines and stations were transferred to Eastern Region management. The Newcastle – Sunderland and South Shields branch local services were among those changed by the Eastern Region to ‘Paytrain’ operation in which, as an economy measure, booking offices were closed at all but the most important stations and tickets were issued instead by conductor-guards on the train. Pelaw and all of the other intermediate stations between Newcastle and Sunderland / South Shields consequently became unstaffed on 5 October 1969. Without staff in place, Pelaw station buildings were targeted by vandals. In early 1972 BR demolished all of the buildings, replacing them with a brick shelter. Electric lighting on the tall vandal-proof standards favoured by the Newcastle Division of the Eastern Region was installed. In 1974/5 Corporate Identity name signs were added.
Plans were approved in 1973 for conversion of the South Shields branch to light rail operation as part of the Tyne & Wear Metro. In preparation for this Felling and Pelaw stations were to close and be replaced with a new station at Heworth approximately midway between the two to act as an interchange between Sunderland line trains (which would continue to be operated by British Rail) and the South Shields Metro services. Heworth opened and Felling and Pelaw closed on 5 November 1979. Pelaw station was demolished. However Felling was rebuilt and reopened on 15 November 1981 to be served by the frequent South Shields Metro trains, but not the Sunderland trains.
ADDITIONAL SOURCE: Durham Mining Museum website
BRIEF HISTORY OF 'THE OLD MAIN LINE'
The ‘Old Main Line’ was the name frequently given to the railway between Ferryhill and Pelaw in County Durham which, from 1850 until 1872 formed part of the ‘East Coast’ route from London (Kings Cross) to Newcastle. Prior to 1850 trains ran via Brockley Whins, prior to the opening of the Washington – Pelaw line, and until 1848 terminated at Gateshead rather than Newcastle. From 1872 the present East Coast main line route was used, with diversions in 1906 when the opening of King Edward Bridge removed the need to travel via Gateshead (West) and at Newton Hall Junction, north of Durham, where the curvature of the tracks was reduced in the late 1960s. The evolution of the ‘Old Main Line’ was far from straightforward.

By the beginning of the nineteenth century waggonways were already in existence to move coal from the mines in south-east Northumberland and north-eastern County Durham to tidal water for export. It stands to reason that passengers will have been carried unofficially on such lines, but the first recorded passenger transport by rail in north-east Durham was in 1834 on the Pontop & South Shields route. Originally opened as the Stanhope & Tyne Railroad, it was not established by parliamentary Act but was built on the ‘wayleave’ system under a Deed of Settlement dated 3 February 1834, perhaps to conceal the ambitious nature of the scheme, which was 33¾ miles in length. Under this arrangement the company was to pay a toll, based on the amount of traffic carried, to each landowner through whose property the railway passed.
The south-western end of the line was in Weardale, on the moors just south of Stanhope. Here limestone was quarried, and there were deposits of coal available at intervals between Consett and South Shields. In July 1832 building of the line began, and progress was rapid. Although much of the terrain it crossed was moorland at high altitude, few earthworks were constructed or excavated, and some steep slopes on the south-western section of the route were negotiated with inclines; indeed more than half was worked by inclined planes, either self-acting or with a winding engine, and a few near-level stretches were worked by horses. Locomotives were used only at the eastern end. Much of the line remained unfenced until it closed in the 1960s. The route from Stanhope lime-kilns to Annfield was opened on 15 May 1834, and the eastern section onward to South Shields on 10 September 1834. The engineer T E Harrison surveyed the route; he was to become one of the most influential personnel of the NER.
The carriage of minerals was the priority of the Stanhope & Tyne, and no attempt was made to serve centres of population which would generate passenger traffic. Nevertheless there were requests for passengers to be conveyed so they were permitted to ride free-of-charge on top of the coal wagons. Soon a wagon was attached specifically for passenger use, and shortly afterwards a separate locomotive-hauled passenger coach was provided fortnightly on pay days. Finally, on 16 April 1835, a full passenger service was instated between Durham Turnpike (one mile north of Chester-le-Street) and South Shields, possibly calling from the start at Vigo and Washington. At South Shields a nearby inn sold tickets, and passengers boarded the train in sidings. Part of this route, from Washington to Brockley Whins, was to become a section of the original ‘Old Main Line’. The isolated stretch of passenger railway between Durham Turnpike and South Shields was joined by the Brandling Junction Railway from Gateshead to Brockley Whins, three miles south-west of South Shields, opening to minerals on 30 August 1838 and passengers on 5 September 1839; and the Durham Junction Railway, stretching north from an obscure terminus at Rainton Meadow (with horse-bus connection to Durham) to Washington opened for mineral traffic on 24 August 1838 and passengers on 9 March 1840.
Unfortunately the cost of running the Stanhope & Tyne proved unsustainable. In the moorlands wayleaves cost about £25 per mile per year, but at the eastern end the figures were £300 or more. The outgoings on wayleaves alone amounted to £5,600. Plans for a dock (where Tyne Dock was later opened) were abandoned. Traffic did not develop to the expected levels and the wayleaves proved to be financially crippling. By the close of 1840 the railway company was £440,000 in debt, and it was wound up on 5 February 1841. The following year the Pontop & South Shields Railway obtained an Act to take over the northern end of its track which had hosted the passenger service. The Derwent Iron Company took control of the section south-west of Carr House to bring limestone from Stanhope to its furnaces at Consett. This section later passed into the hands of the S&D.
The Brandling Junction Railway (BJ) originated as a private venture by brothers R W and J Brandling to connect Gateshead, South Shields and Monkwearmouth. The brothers obtained an Act to buy or purchase leases for the land over which their lines would pass, but they chose to proceed by the wayleave system. A company came into being on 7 September 1835 to acquire the assets of the Brandling Railway, and as the Brandling Junction Railway Company it was incorporated by Act of Parliament on 7 June 1836. The Stanhope & Tyne also sponsored a Gateshead, South Shields & Monkwearmouth Railway, but discussions with the BJR resulted in the abandonment of the plan. The BJR opened in three sections. The first was from the Newcastle & Carlisle Railway’s Redheugh in Gateshead, adjacent to the River Tyne, which ascended at 1:23 through Greenes Field to Oakwellgate; this was operated by a stationary engine. A self-acting incline from Gateshead Quayside was opened with it on the same day, 15 January 1839. The route from South Shields to Monkwearmouth opened on 19 June 1839, followed by the connecting lines between Gateshead and Cleadon Lane (later East Boldon) and between Brockley Whins and Green Lane (north-east of Brockley Whins) on 5 September 1839. A chord known as the Newton Garths branch opened on 9 September 1839 between East Boldon and West Boldon junctions, immediately south-east of Pontop Crossing, but this was not used by passenger trains. On 9 March 1840 the west-to-north link between the BJ and S&T opened at Pontop Crossing which enabled through services between the several termini at Gateshead, South Shields, Monkwearmouth and the Durham Junction Railway’s Rainton Meadows to operate. However services from the south had, at first, to reverse from just north of Pontop Crossing to reach Brockley Whins in a complex operation (described on the Brockley Whins page).
The Durham Junction Railway (DJ) was authorised by an Act of 16 June 1834. It became an important link in the chain of railways forming the ‘Old Main Line’, the original intention was merely to redirect to the Tyne coal from the pits in the Houghton-le-Spring area, and from pits served by the Hartlepool Railway. Even these modest ambitions were not realised as its southern terminus was to be at Rainton Meadows, two miles short of Moorsley, its intended destination, and the Houghton-le-Spring branch, authorised by an Act of 1837, was never constructed. Nevertheless a ‘Station Road’ was partly constructed in Houghton – the triumph of hope over reality – which was to be one of the largest population centres in the North-East never to have the benefit of a passenger station.
The DJ’s crowning glory was the stately stone viaduct over the River Wear between Penshaw and Washington, and based upon the Roman bridge at Alcántara, Spain. The last stone was laid on the day of Queen Victoria’s coronation, 28 June 1838, thus it was named Victoria Bridge (or Viaduct). The engineer T E Harrison constructed four main arches, those at each end of 100ft span and the two central arches of 160ft and 144ft; the total length was 811ft and the height above water level was 135ft. In 1843 the DJ became part of the portfolio of the ambitious George Hudson (the ‘Railway King’) as part of his plan for an integrated east-coast route. The Act of 23 May 1844 which confirmed his purchase of the line also made provision for the project of bridging the Tyne.
At Washington the DJ connected with the Stanhope & Tyne whose metals were used as far as Brockley Whins. Here the BJ line was joined, and the passenger service between Rainton Meadows and Gateshead took this route from its inception on 9 March 1840. The S&T owned over half of the DJ shares and also worked the services. As noted above a reversal was necessary at Brockley Whins, and this inconvenience was compounded by congestion caused by the DJ and S&T/P&SS trains sharing the line between Washington and Brockley Whins. To allow more efficient operation powers were sought to construct a direct curve and to widen the line between Washington and Brockley Whins: an Act of 23 May 1844 authorised these projects. The curve was on a difficult site intersected by the River Don and was constructed on a wooden viaduct which stood until 1940. The viaduct was used by main line trains until 1 October 1850 when the more direct route between Washington and Pelaw via Usworth was opened.
For the next stage in the evolution of the ‘Old Main Line’ through County Durham it is necessary to return to the 1830s. The Great North of England Railway obtained its Act for a route from Redheugh Quay at Gateshead to Croft (south of Darlington) on 4 July 1836. After opening from York to Darlington the GNE decided, for financial reasons, not to construct the route onward to Gateshead, and on 5 October 1841 agreed to relinquish the powers to Robert Davies, James Richardson and John Hotham, who acted on behalf of the embryo Newcastle & Darlington Junction Railway. The N&DJ agreed to apply for powers to finish the line and pay all costs. The N&DJ was incorporated on 18 June 1842, and on 11 April 1843 the northern part of the GNE was transferred by Act of Parliament to the N&DJ. Work proceeded swiftly, and the line opened throughout on 15 April 1844 to mineral traffic and to passengers on 19 June. The short section between Belmont Junction (where the Durham branch left the main line) to join the Durham Junction line at Rainton Crossing was the last to be completed. There was now a direct railway link from London to the Tyne: on 18 June 1844, the day before the route opened to regular passenger traffic, a special train made history when it ran from London (Euston Square) to Gateshead in 9h 21m, including stops totalling 70 minutes. At the time of opening the N&DJ did not actually own the line beyond Washington, but had a station at Gateshead, reached via the P&SS and BJ railways: although only authorised by the Act of 23 May 1844 the station was illustrated by an engraving in a Gateshead newspaper four weeks later.

The early days of the N&DJ were difficult owing to strained relations with the GNE. For details see K Hoole’s Regional History vol 4.
The original ‘East Coast’ main line of 1844 therefore ran from Ferryhill to Gateshead via Shincliffe, Leamside, Penshaw, Washington, Brockley Whins and Pelaw. The Gateshead terminus was at Oakwellgate, which had opened on 5 September 1839. On 2 September 1844 Oakwellgate closed, and the service was diverted to the Greenesfield terminus, which had opened on 19 June 1844. This terminus, in turn, gave way to a new through station which would eventually be known as Gateshead East, when the main line was extended to Newcastle Central, crossing the River Tyne on a temporary bridge (opened 1 November 1848) then on the High Level Bridge, which opened on 30 August 1850. From 1 October 1850 the new, shorter route via Usworth was used between Washington and Pelaw, avoiding Brockley Whins. This ‘Old Main Line’ or ‘Leamside’ route was used until 15 January 1872 when through express services were diverted to the route via Durham.
The ‘Old Main Line’ continued life as an important freight route and retained its stopping passenger service between Leamside and Ferryhill into LNER days. This service - latterly amounting to four up and five down trains on weekdays and one up on a Sunday, calling at the intermediate stations of Shincliffe and Sherburn Colliery – was to have been withdrawn in 1939 but closure was deferred until June 1941. Thereafter the Leamside – Ferryhill line was used for passenger trains diverted from the main line via Durham and for freight traffic. In 1991 British Rail mothballed the line, but owing to dumping of rubbish on the lines, removal of rails at level-crossings, theft of 2½ miles of track near Penshaw in 2003, and effects of overall neglect Network Rail decided to close the line entirely and the rails were removed by April 2013. Concrete sleepers recovered from the route are understood to be destined for re-use on the Waverley Route currently under construction between Edinburgh, Galashiels and Tweedbank.
The Durham diversion was, like the development of the Leamside route, a result of evolution rather than one direct action.
BRIEF HISTORY OF 'THE NEW MAIN LINE'
Access to Gateshead from the south was via Leamside until 1872, when the present-day East Coast main line superseded it. However much earlier, in July 1846, the York & Newcastle Railway announced its intention to promote a Bill for a line following a route via the Team valley from Gateshead (and ultimately Newcastle). On 30 June 1848 the Y&N – by now the York, Newcastle & Berwick Railway – obtained an Act authorising construction. The proposed route was from Gateshead via Team Valley to Newton Hall, where a branch to Durham and Bishop Auckland continued southwards, while the main line curved eastwards for about a mile then turned south to join the main line near Belmont Junction. However in 1849 the work was postponed owing to the downfall of George Hudson.
The NER in 1862 revived the project, but the line authorised was only between Gateshead and Newton Hall on the Bishop Auckland branch north of Durham, which had opened from Leamside in 1857. The section eastwards from Newton Hall had been constructed as part of the Bishop Auckland branch, but there was no west-to-south curve near Leamside to allow through running from the north onto the old main line via Shincliffe. Consequently the new line could be used only as an alternative route to Durham and the south via Bishop Auckland; and at first there were only four stopping trains in each direction between Newcastle and Durham. The Team Valley route opened on 1 December 1868, and it became part of the ‘new’ East Coast main line on 15 January 1872 when the line between Relly Mill Junction (one mile south of Durham) and Tursdale Junction (one mile north of Ferryhill) was completed.
SUNDERLAND TO DURHAM (AND BISHOP AUCKLAND) VIA LEAMSIDE
Despite its name the Durham & Sunderland Railway (D&S) – not via Leamside – never did not reach Durham City. Its route from South Dock, Sunderland, extended through Murton to Haswell (where the Hartlepool Dock & Railway Company already had a terminus) which opened in 1836, with a branch from Murton through Hetton, Pittington and Sherburn House to Shincliffe, two miles south-east of the Durham City centre, which opened in 1839. The North Eastern Railway eventually diverted the line from Shincliffe to terminate in Durham at Elvet station in 1893.
In an Act of 27 July 1846 the Newcastle & Darlington Junction Railway (see ‘Old Main Line’ history) was authorised to build a line from Pensher (later known as Penshaw) to join the D&S Railway at Sunderland. The line was known as the Painshaw Branch (another variation on the spelling of Penshaw). From Sunderland as far as Penshaw the line followed the River Wear valley but its route was generally some distance from the river to avoid a meander near Hylton and to serve the communities which were growing south of the river. The line opened on 20 February 1852 for goods traffic and 1 June 1853 for passengers. The terminus in Sunderland was Fawcett Street station, which opened on the same day on the southern edge of the developing commercial centre of the town.
The Bishop Auckland branch from Leamside via Durham opened to passengers on 1 April 1857. Beyond Leamside, at Auckland Junction (later known as Leamside Junction) it swung westwards from the route to Ferryhill, crossed the River Wear on a viaduct, then sharply south-west to reach Durham City. The curious dog-leg in the route enabled the line to follow the intended course of the moribund YN&B project of 1848: see details in the section above on the ‘new’ main line. Durham City’s centre is densely built up on the narrow, steep-sided peninsula within a meander of the River Wear, dominated by the cathedral and castle; the railway did not enter this historically important area, but passed by to the north-west, where a substantial viaduct was necessary and the city’s station was found. The Leamside – Bishop Auckland branch now provided an alternative route between Durham and Sunderland, far more convenient than via the Durham & Sunderland’s Shincliffe (for Durham) terminus – which was abandoned in 1893 when the D&S was re-routed to a terminus at Durham Elvet. On the day the Bishop Auckland branch was opened the branch from Belmont Junction to Durham Gilesgate closed to passengers: this had been opened by the N&DJ on 15 April 1844, providing the first station in Durham City.
From 1857 Leamside station enjoyed some importance as the de facto junction where trains to and from Sunderland and Durham connected with the services on London Kings Cross – Newcastle – Edinburgh main line. Fencehouses or Penshaw could equally have been awarded this status, but Leamside station, in its remote rural surroundings, was rebuilt with an island platform and bays at each end to accommodate the connecting services and allow convenient interchange by passengers. Its importance was short-lived and was suddenly removed when the new main line route between Ferryhill and Newcastle via Durham opened in 1872. Leamside station was now an extravagance, with little local population to serve; conversely the splendid Durham viaduct, originally serving only the Leamside – Bishop Auckland branch, was now a prominent feature of the main line providing a vantage point from which millions of passengers would be able to admire Durham and its cathedral.
In Sunderland the inconvenient gap between Monkwearmouth, the terminus of trains from Newcastle and South Shields on the north bank of the River Wear, and the lines from the south was closed in 1879 when in the ‘Monkwearmouth Junction’ project a bridge over the river and a tunnel under the town centre were constructed together with a new station known either as Sunderland (or Sunderland Central). From August 1879 Fawcett Street station closed and trains on the Durham line ran into the new station. The Central station also replaced the Hendon terminus, formerly used by trains to Seaham and West Hartlepool.

As with most lines in northern County Durham the Sunderland – Durham route carried large quantities of goods and mineral traffic, notably coal. Several collieries were directly linked to the line, and there were branches into shipyards and Deptford staiths on the Wear as well as to the Hudson, Henson and South docks on the coast.
Expecting that coal exports from Sunderland’s South Dock would increase, the North Eastern Railway and local authorities jointly funded the construction of the Queen Alexandra Bridge, to carry both rail and road traffic in the manner of High Level Bridge between Gateshead and Newcastle. The NER paid £325,000 (including railway approaches) while Sunderland Corporation contributed £146,000 and Southwick Council a further £11,000. The new bridge and associated lines would enable coal from the ex-Stanhope & Tyne line to reach South Dock, eliminating reversals at Washington and Penshaw, using instead a mineral line from Southwick Junction (between Washington and Boldon) over the new Queen Alexandra Bridge, then the Sunderland – Durham line from Diamond Hall Junction (just west of Millfield station). The bridge opened in 1909, but from the NER perspective it was a financial disaster since it apparently carried one coal train per day until the early 1920s when regular traffic ceased.
Passenger services on the Sunderland – Durham line remained frequent. However from the 1920s motor buses began to provide a more intensive service and linked the numerous mining villages and towns in north-east Durham. The ‘Old Main Line’ south of Leamside lost its passenger services in 1941. On the Sunderland – Durham route, apart from the very early loss of Frankland station, between Leamside and Durham, in 1877, casualties began with Leamside in 1953, followed by Millfield in inner Sunderland in 1955. Diesel multiple units replaced steam haulage on the route during 1957. Further economies were exercised when Pallion and Penshaw were downgraded to ‘staffed halts’ and Cox Green became an ‘unstaffed halt’ on 14 August 1961. Passenger traffic censuses in summer 1962 and winter 1962-3 showed a respectable level of use on Monday-to-Friday of Hylton and Pallion stations, but limited traffic at the other stations, notably Cox Green.
The Reshaping of British Railways (‘Beeching’) report of March 1963 recommended the withdrawal of passenger services between Sunderland, Durham and Bishop Auckland - as well as the services between Newcastle and Washington - and the official proposal of closure was published on 19 July 1963. Not a single objection was lodged to the Washington closure, which took place on 9 September 1963. BR must have been unprepared for the lack of resistance to this closure as a timetable for Usworth and Washington stations appeared in the winter 1963-4 North Eastern Region book. On 28 February 1964, having considered objections to the Sunderland – Durham – Bishop Auckland proposals, Ernest Marples, Minister of Transport, consented to the closure, and services were officially withdrawn on 4 May 1964.
The author was blissfully unaware of this development, and alighted from a Newcastle train at Durham on 15 May to catch the Sunderland train, only to be informed that the last one had gone! He decided to travel on to Darlington and Middleton-in-Teesdale instead – which was still open.
Goods services ceased between Leamside (Auckland Junction) and Durham (Newton Hall Junction) and at Finchale siding (Frankland) on 22 October 1964. The tracks into the former Fawcett Street terminus in Sunderland, which had continued as a goods facility reached from the Durham line, were severed on 3 October 1965. Goods services were retained between Penshaw and Sunderland until 21 August 1967 when they were discontinued west of Hylton Quarry sidings. In January 1971 traffic ceased between Hylton Quarry and Pallion, and the line was officially taken out of use on 20 November 1976. The remainder of the line to Hendon, including Deptford Johnson Siding closed to goods on 27 November 1984. The section of the ‘Old Main Line’ which the Sunderland – Durham services shared between Penshaw Junction and Auckland Junction continued in goods use for some years more, but was ‘mothballed’ in 1991 but closed in 2012.
Sources and bibliography:
- Biddle, Gordon Victorian stations (David & Charles 1973)
- Biddle, Gordon Britain’s historic railway buildings (Oxford University Press 2003)
- Bragg, S and Scarlett, E North Eastern lines and stations (NERA 1999)
- Clinker, C R Register of closed passenger stations and goods depots
(Avon Anglia 1978)
- Cook, R A and Hoole, K North Eastern Railway historical maps
(RCHS 2nd edition 1991)
- Fawcett, Bill A history of North Eastern Railway architecture (Three volumes)
(NERA 2001-05)
- Fawcett, Bill George Townsend Andrews of York (NERA 2011)
- Guy, Andy Steam and speed: railways of Tyne and Wear from the earliest days
(Tyne Bridge Publishing 2003)
- Hoole, Ken A regional history of the railways of Great Britain: vol 4 The North East
(David & Charles 2nd edition 1974)
- Hoole, Ken Railway stations of the North East (David & Charles 1985)
- Hurst, Geoffrey Register of closed railways 1948-1991(Milepost Publications 1992)
- Quick, Michael Railway passenger stations in Great Britain: a chronology
(RCHS 2009)
- Sinclair, Neil T Railways of Sunderland (Tyne & Wear County Council Museums 1985)
- Teasdale, John G (Ed) A history of British Railways’ North Eastern Region (NERA 2009)
- Young, Alan Lost stations of Northumberland & Durham (Silver Link 2011)
- Hansard Various (HMSO)
- North Eastern Express North Eastern Railway Society (various)
Tickets from Michael Stewart except 400 JC Dean. Bradshaws from Chris Totty & Nick Catford, Route maps drawn by Alan Young.
To see other stations on the Old Main Line click on the station name: Felling 2nd, Felling 3rd , Felling 1st, Pelaw 1st, Pelaw 3rd, Pelaw 4th , Pelaw 2nd, Usworth, Washington 2nd, Washington 1st, Penshaw 1st, Fencehouses, Rainton, Rainton Meadows (on branch), Leamside 1st, Leamside 2nd, Belmont Junction, Durham Gilesgate (on branch), Sherburn Colliery, Shincliffe & Ferryhill
See also Coxhoe (on branch)
See also: Springwell, Brockley Whins (1st site),
Brockley Whins (2nd site) & Boldon
(route prior to 1850)
See also Sunderland and Durham (via Leamside):
Durham (still open), Frankland, Cox Green, South Hylton, Hylton, Pallion 1st, Pallion 2nd , Millfield 2nd, Millfield 1st, Millfield 3rd , Sunderland Fawcett Street (on branch) & Sunderland Central (Still open)
Station still open as part of the Tyne & Wear metro |