| Notes: Burton Point station was situated on the North Wales & Liverpool Railway Committee’s (NW&LRC) line that connected Hawarden Bridge with Bidston. The NW&LRC was a joint concern consisting of the Manchester, Sheffield & Lincolnshire Railway (MS&LR) and the Wrexham, Mold and Connah's Quay Railway (WM&CQR). The MS&LR |
 |
had opened a line from Chester Northgate to the south bank of the River Dee via Hawarden Bridge on 31st March 1890. The line made on end-on connection with the WM&CQR’s line from Buckley to the River Dee which opened a few days earlier. At Buckley it connected with the original WM&CQR line of 1866 which gave access to Wrexham. A through route had thereby been created between Chester and Wrexham that could compete with the Great Western Railway (GWR).
 |
The MS&LR had ambitions to reach the River Mersey at Birkenhead. For this reason they lured the WM&CQR into what was first called the Dee & Birkenhead Committee (D&BC) venture to build a line to Bidston on the Wirral Railway’s (WR) network. The WR had originally proposed a line to link with the WM&CQR, and they had even received an Act to build it, but failed to raise the capital. They were happy, therefore, to offer running rights over their network to the D&BC.
Work on the line began on 21st October 1892, and it opened on 18th May 1896. On 7th August 1896 the D&BC was renamed the NW&LRC, and on 1st August 1897 the MS&LR became the Great Central Railway.
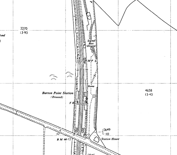
Burton Point station opened on 1st August 1899. It was located in a fairly isolated position just under a mile west of Burton village, overlooking the Dee Estuary. The station was positioned in the cutting on the north side of Station Road. The main facilities were in a building east of the line, with two storeys at platform level and a single storey adjacent to the station approach road, which connected into Station Road. The building was of yellow brick with red brick decoration, as seen at many of the WM&CQR stations.
|
 |
Steps within the building led down to platform level, and it accommodated the booking office and storage facilities. The line was double-track so the station was provided with two platforms. The main building was on the southbound platform. Just to the north of the building was a metal footbridge for access to the northbound platform. North of the footbridge was |
another building, single-storey and in yellow brick, that provided waiting facilities. On the northbound platform, north of the footbridge, was another single-storey waiting shelter which was almost a mirror image of that on the southbound platform.
A small goods yard was provided on the up side of the line to the north of the station. This comprised two sidings, a short siding serving a cattle dock with a pen and the longer siding running behind the up platform which also acted as a dock.
| At the time of opening Burton Point was served by trains between Wrexham Central and Seacombe and between Chester Northgate and Seacombe. The trains were the responsibility of the NW&LRC, but they were worked by GCR locomotives. Since 1897, when the WM&CQR had gone into receivership, the GCR had been dominant in the affairs of the line; arguably – |
 |
as the MS&LR - they had been from the beginning, and it was involvement in the Bidston line scheme that had bankrupted the WM&CQR. Seacombe was a WR station on the west bank of the Mersey, opposite Liverpool, in the town of Wallasey. A ferry service between Seacombe and Liverpool connected with trains. Through tickets were issued, and timetables stated the arrival and departure times from Liverpool Landing Stage. When the line to Bidston opened there had been hopes of direct working to Liverpool Central Low Level station via the WR to Birkenhead Park and then via the Mersey Railway (MR) under the river to Liverpool. Some excursions had run, but the MR proved uncooperative, and running rights for regular services could not be agreed. By the time Burton Point opened the idea had been dropped. In any event from 1903 the MR was electrified, and no steam workings were permitted.
On 1st May 1900 Burton Point station was renamed Burton Point for Burton & Puddington.
On the 1st January 1905 the GCR formally absorbed the insolvent WM&CQR, and the NW&LRC was no more. Burton Point and the lines between Wrexham Central, Chester Northgate and Bidston became purely GCR.
 |
In April 1910 the GCR was operating eight trains to Wrexham Central from Burton Point - although one was by request only - four to Chester Northgate and thirteen to Seacombe on weekdays. There was an extra service to Seacombe on Saturdays and a service to Penyffordd on Wednesdays only. The first weekday departure for Seacombe was at 7.59am. The first |
southbound departure was for Wrexham Central at 8.23am. The last departure on weekdays was for Seacombe at 9.46pm. On Sundays there were three trains to Chester Northgate, two to Chester and five to Seacombe.
On 1st January 1923 Burton Point became a London & North Eastern Railway (LNER) station. By September 1937 the LNER was running ten trains to Wrexham Central between Monday and Friday, fourteen on Saturdays and three on Sundays. The first Wrexham Central departure was at 8.18am and the last was at 10:10pm Monday to Friday and at 11:39pm on Saturdays. Two trains also ran to Connahs Quay and Shotton between Monday and Saturday. To Seacombe there were thirteen Monday to Friday services and fourteen on Saturdays. The first departure was at 7.27am and the last was at 9.52pm.
| On 1st January 1948 Burton Point became part of the nationalised British Railways’ Eastern Region, but some months later the former LNER lines in NE Wales and the Wirral were transferred to the London Midland Region. By June 1950 British Railways was operating seven trains to Wrexham Central between Monday and Friday and nine on Saturdays. Only three |
 |
trains ran to Wrexham on Sundays. The first left Burton Point at 7.53am and the last left at 10.09pm. There were also four trains to Connah’s Quay and Shotton between Monday and Saturday, but none on Sundays. To Seacombe there were twelve trains Monday to Friday and fourteen on Saturdays. The first Seacombe departure was at 7.20am and the last at 10:10pm. Three services ran to Seacombe on Sundays.
Being isolated, and at some distance from the village, Burton Point suffered from the effects of road competition. British Railways closed the station completely on 5th December 1955. The platform level waiting rooms and the footbridge were demolished after closure, but the main building was left in situ and found other uses.
 |
The line itself remained open to passenger and goods services, but by March 2011 the section through Burton Point had no scheduled goods services. An hourly passenger service in each direction was operated by Arriva Trains Wales as part of the Borderlands service connecting Wrexham and Bidston. The former booking office was in use as the |
office of a garden centre, and both platforms were extant.
Ticket from Michael Stewart, Bradshaw from Chris Totty, route map drawn by Alan Young
Sources:
To see other stations on the Wrexham Central to Bidston Line click
Wrexham Central, Wrexham Exchange, Rhosddu, Hope High Level, Buckley (1st station), Chester Golf Club Halt, Birkenhead Junction Golf Club Platform, Sealand Rifle Range Halt, Storeton,
See also
Liscard & Poulton, Seacombe
See also MS&LR Stations between Shotton and Chester Northgate
Chester Junction Golf Club Platform, Sealand, Saughall, Blacon, Chester Liverpool Road, Chester Northgate
See also related items
The Buckley Railway
Hawarden Loop
Hawarden Bridge
Railways at Bidston |