HAWARDEN BRIDGE

[Source: Paul Wright]


The Hawarden Bridge was located on the Manchester, Sheffield & Lincolnshire Railways (MS&LR) Chester Northgate to Hawarden Bridge Junction line. Hawarden Bridge Junction was on the south side of the River Dee just to the north of Shotton. At Hawarden Bridge Junction the MS&LR line made an end-on connection with the Wrexham, Mold & Connahs Quay Railway’s (WM&CQR) ‘Hawarden Loop’ line which connected into that company’s original Wrexham and Buckley line of 1866.

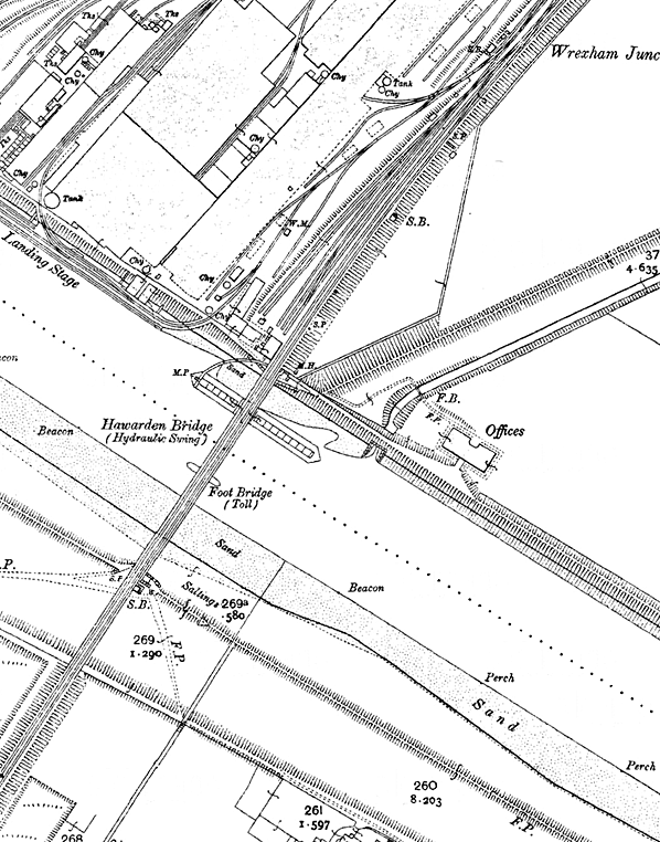
1913 1:2,500 OS map

The MS&LR had entered into an agreement with the WM&CQR in the early 1880s which aimed at creating a through route by constructing the Chester line and the Hawarden Loop. The Wrexham area had numerous collieries and at Brymbo, on the WM&CQR network by 1889, there were steel and other manufacturing enterprises. The traffic was lucrative but the Great Western Railway, which had opened a line between Chester and Wrexham as early as 1846, was the better placed company to take advantage. At Chester Northgate the MS&LR could make a connection with the Cheshire Lines Committee Railway (CLC) which had a line to Manchester. The CLC was a joint line of which the MS&LR was a partner.

The MS&LR obtained an Act to build its line on 28th July 1884. The WM&CQR had already been authorised to build the Hawarden Loop on 29th June 1883.


Engineering Drawings of Hawarden Bridge

For the MS&LR the single biggest engineering obstacle was the River Dee. Not only was the river a physical barrier, but it was heavily used by ships, and the interests of the shipping companies had to be considered. Navigation along the river had to be maintained. The solution was to create a swing bridge which could be opened to allow vessels to pass.

On 16th August 1887 Sir William Gladstone MP (who had previously been Prime Minister - and would be again in 1892) laid the first cylinder of the bridge. Gladstone lived at Hawarden and had been a supporter of both the MS&LR and the WM&CQR schemes.

The bridge was to be a remarkable engineering feat. It was designed by Mr C A Hobson and was constructed by contractors Messrs John Cochrane & Sons of Westminster. The steel structure and machinery construction was subcontracted to Horsley Bridge Company of Tipton, Staffordshire. The Chief Engineer for the entire project was Mr Francis Fox, and the total cost of the bridge was £71,000.


1914 junction diagram

The bridge was substantially complete by the early months of 1889. It consisted of three arched spans. The largest span, 278ft in length, was on the north side, and it was the span that opened. At the time it was the largest opening structure in Great Britain. The other two spans were fixed. The bridge carried a double-track railway, and on the outsides of the spans were footpaths which pedestrians could use on payment of a toll.

On the north bank, west of the line, there was a brick building and tower. The working mechanism was housed in the building, and the tower controlled both rail and river traffic. 

Hawarden bridge open in 1910

The Bridge was opened on 3rd August 1889. That day was the Golden Wedding anniversary of Sir William Gladstone and his wife Catherine. Mrs Gladstone was invited to formally open the bridge. The Gladstones arrived at the bridge on a special train from London Kings Cross which arrived at the bridge at 3.37 pm - twenty minutes later than scheduled. Huge crowds had gathered to see the event. The special train crossed the opening span of the bridge and came to a stop on the first fixed span. Accompanied by Sir Edward Watkin, Chairman of the MS&LR, the party alighted onto a specially constructed platform. The train then reversed to the north bank. Mrs Gladstone was then presented with a magnificent bouquet by one of the contractors. When she picked it up there was a button underneath which she was invited to press; when she did so the span swung open in only 40 seconds. Catherine Gladstone then closed the span and announced, ‘I have the greatest pleasure in declaring the bridge open and calling it by the name of the Hawarden Bridge’.

Great cheers arose from the crowds. The bridge was reopened, and a flotilla of vessels passed through. When the ceremony was over the Gladstones and other guests were served refreshments at a marquee: the MS&LR spared no expense!

Hawarden Bridge looking east from the Commander's position on RNLI Hovercraft H005 Hurley Spirit which was on route to Chester as part of a training exercise on 11th March 2011. The Hovercraft passed under the larger arched span, seen towards the left, which was the span that originally opened to allow larger ships to pass.
Photo by Paul Wright

The line to Buckley was not complete so the Gladstones had to return to their home at Hawarden by coach and horses.

On 2nd December 1889 the MS&LR ran a special train from Hawarden to Manchester for Sir William Gladstone MP which crossed the bridge, but it was not until 31st March 1890 that regular services between Wrexham and Chester began.

In 1895 the John Summers & Sons Company, with the encouragement of the MS&LR, purchased six acres of land west of Hawarden Bridge to build an iron foundry. It opened in 1896 and went on to be the largest manufacturer of galvanised steel in the country and continued to expand into the 20th century.

On 18th May 1896 a line opened from a point a short distance north of the bridge to Bidston which allowed trains to run between Wrexham and the River Mersey at Wallasey. The opening of this line increased the volume of rail traffic over the bridge. As well as regular passenger trains the bridge carried a steady stream of goods services, many of which went to the steelworks complex that layimmediately to the west


Looking west at the swing mechanism at Hawarden Bridge in March 2011. The bridge no longer opened by this date, having been fixed permanently into position in the 1960s.
P
hoto by Paul Wright

The control tower, which was responsible for opening and closing the bridge as well as for semaphore signals on both the railway and the river, was open 24 hours per day when the bridge first came into use. Vessels were given priority, which often caused delays to trains. Most vessels passed east beyond the bridge at High Water, and if that was at midday the bridge would open about three times to allow flotillas of vessels towed by tugs to pass through. The tugs would return later in the day. Records from 1901 show trains being delayed by up to 20 minutes.

On 1st August 1897 the MS&LR changed its name to the Great Central Railway (GCR). In 1912 the GCR sought permission to end opening of the bridge to river traffic between certain night hours and on Sundays. On 1st of January 1923 Hawarden Bridge became part of the London & North Eastern Railway (LNER)

On 22nd September 1924 Hawarden Bridge Halt was opened by the LNER just to the north of the bridge. Its primary purpose was to serve the John Summers & Sons works which, by that time, employed 6000 people. Hawarden Bridge Halt was upgraded to a station in 1954 to serve the continually increasing workforce which peaked at 13,100 in 1968.


In April 1977 a Birkenhead North to Wrexham Central service waits for a signal to come off so that it can proceed across the Hawarden Bridge. The picture was taken from the north end of Hawarden Bridge Halt's southbound platform.
Copyright photo by Nigel Mundy

As vessels became larger throughout the 20th century traffic on the River Dee to the east of Connah’s Quay declined, and the opening span was used less and less. On 1st January 1948 Hawarden Bridge became part of the nationalised British Railways (Eastern Region) but was transferred to the London Midland Region some months later. In the 1950s so sparse was river traffic

that British Railways had to schedule a once per week opening of the bridge just to ensure that the mechanism was working. In the 1960s the opening mechanism was dismantled and the bridge was fixed into position.

In February 1980 the John Summers works, which had been British Steel ‘Shotton’ since 1967, cast its last steel and 6,000 jobs were lost.  (The works had employed 10,400 in 1978). This led to a decline in traffic over Hawarden Bridge. The works survived in various guises, eventually becoming part of the Corus company. Also in 1980 the control tower for the bridge was demolished.

In 2011 the Hawarden Bridge carries an hourly passenger service in each direction running between Wrexham Central and Bidston as well as freight services to the Corus Works. Hawarden Bridge station has only a handful of services on weekdays to serve a much smaller workforce at the works (just 700 in 2001). The station is unstaffed with only basic facilities, a bus shelter on each platform, no train announcements or display boards, and only a barrow crossing between platforms.

Tickets from Michael Stewart


Hawarden Bridge from the south shore of the River Dee looking north west in September 2006. A Class 153 DMU had just crossed the bridge and is heading for Wrexham Central.
Photo by Bevan Price

See Also

The Hawarden Loop

and The History of Shotton web site

see also stations on former MS&LR Chester Northgate to Hawarden Bridge Line:
Chester Northgate, Chester Liverpool Road, Blacon, Saughall, Sealand, Chester Golf Club Platform & Chester Golf Club Halt

See stations on the former WM&CQR Wrexham Central to Shotton line:
Wrexham Central, Wrexham Exchange, Rhosddu, Hope High Level, Buckley

See stations on the Wirral Railway Seacombe Branch:
Liscard & Poulton, Seacombe


Last updated: Thursday, 18-May-2017 17:20:55 CEST
© 1998-2011 Disused Stations